| Похожие рефераты | Скачать .docx |
Реферат: Ориентирование на местности
Содержание
Введение
1. Измерение расстояний по карте
2. Определение по карте точек местности
3. Определение по карте азимутов и дирекционных углов
Заключение
Литература
Введение
Предмет тактико-специальная подготовка органов внутренних дел представляет собой комплекс учебных дисциплин. Она включает: специальную тактику, гражданскую оборону, военную топографию. Связь последней с этими дисциплинами настолько тесная, что многие ее вопросы органически входят в задачи, решаемые сотрудниками ОВД при чрезвычайных обстоятельствах.
Использование топографии в ОВД предусматривает в первую очередь изучение элементов местности с целью учета их влияния на действие сторон при проведении специальных операций, а также изучение топографических карт и планов, как основных графических документов, обеспечивающих научно-обоснованное планирование и надежное управление подразделениями.
Одним из важных факторов оказывающих влияние на действия сотрудников ОВД является местность. Умелое использование ее элементов и тактических свойств во многом способствует успешному решению служебно-боевых задач подразделениями, поэтому местность является одним из важных элементов боевой обстановки.
Знание способов изучения местности, навыки в ориентировании на ней в различных условиях, днем, ночью, при ограниченной видимости способствуют правильному использованию благоприятных свойств местности для достижения успеха при решении служебно-боевых задач, помогают быстро и уверенно ориентироваться и выдерживать заданное направление движения.
1. Измерение расстояний по карте
Все наши топографические карты, за исключением карт масштаба 1:1000000, составляются в единой равноугольной проекции — раздельно по 6-градусным зонам. Это позволяет каждою такую зону у ревенной поверхности развертывать в плоскость, т. е. изображать на карте без практически заметных искажений, вызываемых кривизной Земли. Поэтому такую карту можно использовать при измерениях как план, сохраняющий геометрическое подобие всех очертаний местности.
Численный масштаб. Степень уменьшения линий на карте относительно горизонтальных проложений соответствующих им линий на местности называется масштабом карты (плана). Иначе говоря, под масштабом разумеют отношение длины линии на карте к длине горизонтального проложения соответствующей ей линии на местности.
Это числовое выражение называют численным масштабом и представляют в виде отношения единицы к числу, показывающему, во сколько раз уменьшены длины линий местности при изображении их на карте. Например, масштаб 1:50000 показывает, что все линейные размеры на карте уменьшены в 50 000 раз, т. е. 1 см карты на местности соответствует 500 м, или 0,5 км.
Расстояние на местности в метрах или километрах, соответствующее 1 см карты, называется величиной масштаба. В приведенном примере величина масштаба будет 500 м, или 0,5 км.
Очевидно, чем меньше знаменатель численного масштаба, тем изображение на карте крупнее, и наоборот; поэтому более крупным называется тот масштаб, у которого знаменатель меньше.
Численный масштаб—величина отвлеченная, не зависящая от системы линейных мер; поэтому если известен численный масштаб карты, то измерять расстояния по ней можно в любых линейных мерах. Например, если на английской карте масштаба 1:63360, составленной в английских мерах длины (63360 дюймов=1 английской миле), измерить отрезок в 1 см, то ему на местности будет соответствовать 633,6 м; если же на карте измерить отрезок в 1 дюйм, то на местности это будет 63360 дюймов, или 1 английская миля.
При пользовании численным масштабом расстояния на карте измеряют в сантиметрах обычно при помощи линейки с сантиметровыми делениями. Полученное при этом число сантиметров умножают на величину масштаба. Например, па карте масштаба 1:50000 измерено 3,8см; на местности это будет соответствовать Д=3,8х0,5=1,9 км. Если же расстояние Д измерено на местности и треб\е1ся отложить его на карте, то следует Д разделить на величину масштаба карты. Например, если Д=1350 м, то на карте масштаба 1:25000 надо отложить отрезок d = 1350-250=5,4 см.
Линейный масштаб. Более просто измерять расстояния по карте с помощью линейного масштаба. Оформление линейных и численных масштабов на топографических картах показано на рис. 1.
1:25000 в 1 сантиметре 250 метров
![]()
1:50 000
в 1 сантиметре 500 метров
![]()
1:100000 в 1 сантиметре 1 километр
![]()
Рис. 1. Оформление линейных и численных масштабов на топографических картах
Измерения по линейному масштабу производятся обычно с помощью циркуля, как показано на рис. 1.

Рис. 2. Измерение расстояний по линейному масштабу с помощью циркуля
Циркуль при измерениях по масштабу следует держать правой рукой, наклоняя его несколько от себя, так, чтобы хорошо было видно одновременно оба острия ножек. Необходимый раствор циркуля устанавливается легким нажимом среднего или указательного пальца на левую ножку (на рис. 2 показано стрелками).
При отсутствии циркуля его может заменить масштабная линейка или же полоска бумаги, на которой черточками отмечается измеренное на карте или откладываемое на ней по масштабу расстояние.
Приближенно расстояния по карте можно определять с помощью подручного предмета (спички, карандаша и т. п.). Для этого надо предварительно определить по масштабу карты, какому расстоянию на местности соответствует длина этого предмета.
Измерение длинных линий , не умещающихся на линейном масштабе карты, производится по частям. Для этого берут по масштабу раствор циркуля, соответствующий какому-нибудь целому числу километров или метров, и таким «шагом» проходят по карте определяемое протяжение, ведя счет перестановок ножек. Наиболее рациональный порядок перестановки ножек показан на рис. 3, где AF—измеряемая линия, А, В и т. д.—места постановки ножек. Стрелками показано направление перемещения ножек.

Рис. 3. Измерение циркулем длинных линии


Для измерения извилистой линии шаг циркуля берется меньше (например, 0,5 см или 1 см), сообразно длине звеньев линии. Но более удобно измерение вести следующим образом (рис. 4). Пусть требуется измерить по карте расстояние по линии ABCDEF. Установив раствор циркуля по первому звену линии, т. е. по АВ, переставляем заднюю ножку в точку А1 (на продолжении следующего по ходу измерения звена ВС). Оставляя ее теперь на месте, т. е. в точке А1 , увеличиваем раствор циркуля перемещением передней его ножки в точку С. Затем, не изменяя положения передней ножки, заднюю из точки А1 переставляем в точку А2 (на продолжении третьего звена CD). После этого переднюю ножку перемещаем дальше в точку D и т. д., пока не пройдем таким образом всю линию. В итоге получим отрезок A4 F, равный искомой длине линии на карте. Остается, не изменяя полученного раствора циркуля, перенести его на линейный масштаб или миллиметровую линейку и определить расстояние, как было указано выше.
2. Определение по карте точек местности
Координатами называются угловые или линейные величины, определяющие положение точек на какой-либо поверхности или в пространстве.
Существует много различных систем координат. Для определения положения точек на земной поверхности применяются главным образом географические, плоские прямоугольные и полярные координаты,
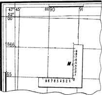
Географические координаты. Географическими координатами называются угловые величины — широта и долгота, определяющие положение точек на земном шаре.
| Рис. 5. Географические координаты |

Географической широтой называется угол между отвесной линией в данной точке земной поверхности и плоскостью экватора. Широту принято обозначать греческой буквой φ (фи). Очевидно, что для любой точки М на поверхности шара (рис. 5) угол MCN будет широтой этой точки. Широты отсчитываются по дуге меридиана в обе стороны от экватора, начиная с 0° до 90°. В северном полушарии шпроты считаются северными , а в южном — южными .
Все точки, лежащие на одной географической параллели, имеют одинаковую широту, поэтому одна широта еще не определяет положения точки на земной поверхности. Необходимо знать вторую координату — долготу.
Географической долготой называется угол между плоскостью меридиана данной точки и плоскостью меридиана, условно принятого за начальный. Географическую долготу обычно обозначают греческой буквой (ламбда). Угол OCN (рис.6) будет долготой точки М. Как уже указывалось, у нас за начальный принят Гринвичский меридиан . Долготы отсчитываются по дуге экватора или параллели в обе стороны от начального меридиана, начиная с 0° до 180°. Долготы к востоку от начального меридиана до 180° называются восточными , а к западу—западными . Все точки, лежащие на одном меридиане, имеют одинаковую долготу.
Разность долгот двух пунктов показывает не только их взаимное расположение, но и разницу во времени в этих пунктах в один и тот же момент: каждые 15° по долготе соответствуют одному часу времени . Например, долгота г. Москва 37°37/ (восточная), а г. Хабаровск 135 °05 ', т. е. последний лежит восточное на 97°28'. Таким образом, когда в Москве полдень (13 часов), о Хабаровске 19 часов 30 минут (по поясному времени 20 часов).
3. Определение по карте азимутов и дирекционных углов
Понятие о системе плоских полярных координат. Если вместо двух взаимно-перпендикулярных осей Х и Y, применяемых в системе прямоугольных координат, взять одну ось Х и начальную точку О на ней, то получим систему полярных координат , которая широко применяется в войсковой практике при целеуказании и ориентировании на местности. В этой системе (рис. 7) ось ON, соответствующая оси Х в прямоугольных координатах, называется полярной осью, а исходная точка О на ней— полюсом.

Рис. 6. Нанесение на карту целей по прямоугольным координатам

Рис. 7. Полярные координаты

Рис. 8. Разновидности углов положения
Относительно них положение любой точки М на местности или на карте определяется следующими двумя координатами:
а) углом NOM=a, который называется углом положения и измеряется от направления полярной оси до направления на определяемую точку М;
б) расстоянием ОМ=Д от полюса О до определяемой точки М.
Различают следующие три основных вида углов положения:
дирекционный угол а, истинный азимут А и магнитный азимут Ам (рис. 8).

Рис. 9. Дирекционные углы
Дирекционным углом ά называется угол, измеряемый по ходу часовой стрелки от 0 до 360° между северным направлением вертикальной линии координатной сетки и направлением на определяемую точку. Таким образом, в данном случае за полярную ось принимается вертикальная линия координатной сетки, т. е. та же ось X, что в прямоугольных координатах, или линия, параллельная ей.
На рис. 20 показаны дирекционные углы в данной точке О (полюс) на ветряную мельницу (а =45°) и отдельное дерево (а =315°).
Истинным азимутом А называется угол, измеряемый по ходу часовой стрелки от 0 до 360° между северным направлением истинного меридиана и направлением на определяемую точку. В этом случае полярной осью является направление истинного меридиана.

Рис. 10. Магнитные румбы
При ориентировании по сторонам горизонта за направление меридиана обычно принимают направление магнитной стрелки компаса. Оно не совпадает с направлением истинного меридиана и лишь приближенно указывает направление север—юг. Направление магнитной стрелки называется в отличие от истинного (географического) меридиана магнитным меридианом .
Помимо перечисленных углов, в морской практике, а также в метеорологии, например, при определении направления ветра, применяются румбы.
Румбом называется угол между северным или южным направлением меридиана данной точки и определяемым с нее направлением (рис. 10).
Румб может отсчитываться в обе стороны от северного или южного направления меридиана в зависимости от того какое из них ближе к данному направлению. Величина его не может быть больше 90°.
Очевидно, что указание величины румба еще не определяет полностью положения данной линии. Поэтому величина румба всегда сопровождается названием той четверти горизонта, к которой данное направление относится. Эти четверти обозначаются первыми буквами названий сторон горизонта: СВ (северо-восток), СЗ (северо-запад), ЮВ (юго-восток), ЮЗ (юго-запад). Первая из этих букв показывает, от какого направления меридиана отсчитывается румб, а вторая — в какую сторону. Например, румб ЮВ 43° означает, что данное направление составляет с южным направлением меридиана угол 43°, отсчитываемый от него к востоку.
Сближение меридианов, магнитное склонение и поправка направления. Вертикальные линии координатной сетки не совпадают с направлениями истинных меридианов, а образуют с ними некоторый угол (рис. 11). Происходит это потому, что меридианы сходятся у полюса в одной точке, в то время как вертикальные линии координатной сетки в пределах каждой зоны остаются параллельными между собой.
Угол между северным направлением истинного меридиана данной точки и вертикальной линии координатной сетки называется сближением меридианов и обозначается греческой буквой γ (гамма).

Рис. 11. Сближение меридианов
Из рис. 11 видно, что во всех точках осевого меридиана сближение равно нулю. Чем дальше вертикальные линии отстоят от осевого меридиана зоны, тем этот угол становится больше; на краях зоны он достигает 3°.
Если вертикальная линия сетки отклоняется северным концом к востоку от истинного меридиана, то сближение меридианов считается восточным (со знаком +), при отклонении же в противоположную сторону — западным (со знаком —).
Истинный меридиан в свою очередь не совпадает с магнитным меридианом. Угол между одноименными направлениями истинного и магнитного меридианов называется магнитным склонением и обозначается греческой буквой δ (дельта). Склонение считается восточным (со знаком +), если северный конец стрелки уклоняется к востоку от истинного меридиана, и западным (со знаком —) при уклонении к западу (рис. 12).
В силу магнитных свойств Земли магнитное склонение в различных пунктах земной поверхности неодинаково. На одном и том же месте оно также не остается постоянным, а из года в год изменяется.
Таким образом, из сказанного видно, что вертикальные линии координатной сетки и магнитные меридианы образуют между собой угол, представляющий сумму сближения меридианов и магнитного склонения. Этот угол называется отклонением магнитной стрелки или поправкой направления (П). Он отсчитывается от северного направления вертикальной линии координатной сетки и считается положительным (со знаком +), если северный конец магнитной стрелки отклоняется к востоку от этой линии, и отрицательным (со знаком —) — при западном отклонении магнитной стрелки.

Рис. 12. Склонение магнитной стрелки (магнитное склонение)
Данные о величине поправки направления и слагающих ее величинах сближения меридианов и магнитного склонения помещаются в виде схемы на полях карты, под нижней стороной ее рамки (рис. 13). Эти данные о поправке направления необходимы для того, чтобы можно было быстро переходить от дирекционных углов, измеренных по карте, к соответствующим им магнитным азимутам и обратно.
Определение по карте азимутов и дирекционных углов. В войсковой практике при использовании компаса (буссоли) обычно приходится иметь дело с магнитными азимутами и дирекционными углами и переходить от измеренных по карте дирекционных углов к магнитным азимутам на местности или, наоборот, от магнитных азимутов, измеренных на местности, к дирекционным углам на карте.

Рис. 13. Схема магнитного склонения, сближения меридианов и поправки направления, помещаемая на полях карты

Рис. 14. Артиллерийский целлулоидный круг АК-3
Измерение и построение дирекционных углов на карте производится с помощью транспортира или артиллерийского круга. Последний представляет собой (рис. 14) целлулоидную пластинку, по внешнему срезу которой нанесена угломерная шкала в делениях угломера. Цена деления 0-10. Большие деления, соответствующие 1-00, оцифрованы от 0 до 60, при этом ряд красных цифр нанесен в возрастающем порядке по ходу часовой стрелки, а ряд черных цифр—в обратном порядке.
Чтобы измерить на карте дирекционный угол какого-нибудь направления, надо наложить на нее транспортир так, чтобы середина его линейки, отмеченная штрихом, совпала с точкой пересечения определяемого направления с вертикальной километровой линией сетки, а край линейки (т. е. деления 0 и 180° на транспортире) совместился с этой линией. Затем отсчитать по шкале транспортира угол по ходу часовой стрелки от северного направления километровой линии до определяемого направления (рис. 15,а).
При измерении дирекционного угла артиллерийским кругом надо, наложив центр круга на точку пересечения определяемого направления с вертикальной километровой линией сетки, совместить нулевой штрих круга с северным направлением этой километровой линии, как показано на рис. 15,б. Величину дирекционного угла получим, взяв отсчет по шкале круга против определяемого направления, пользуясь при этом красной (т. е. возрастающей по ходу часовой стрелки) оцифровкой делений.
Для построения на карте в какой-либо точке дирекционного угла проводят через эту точку прямую, параллельную вертикальным линиям координатной сетки, и от этой прямой строят заданный дирекционный угол.
Переход от дирекционного угла к магнитному азимуту и обратно. Чтобы перейти от дирекционного угла к магнитному азимуту, надо ввести в этот угол поправку направления, т. е. поправку за отклонение магнитной стрелки. При этом если отклонение магнитной стрелки указано на карте восточное (со знаком +), то поправка вычитается из дирекционного угла, а если западное (со знаком —), то прибавляется.
Чтобы яснее представить себе при работе на карте переход от дирекционных углов к азимутам и обратно, рассмотрим рис. 16, на котором показаны шесть основных случаев взаимного расположения направлений магнитного меридиана и вертикальной линии координатной сетки относительно истинного меридиана. Как видно из рисунка, для всех этих случаев зависимость между различными углами можно представить в виде следующих общих алгебраических формул:
1) П ==(δ)-(γ),
т.е. поправка направления П равна алгебраической разности магнитного склонения δ и сближения меридианов γ (в формуле величины δ и γ заключены в скобки, чтобы показать, что они берутся алгебраически—со своими знаками).
Пример. δ=+5° (восточное); γ =-1° (западное). П= +5°— (—1°) =6°, т. е. отклонение магнитной стрелки будет восточное 6°.2) Ам=α-(П), т. е. магнитный азимут Ам равен алгебраической разности дирекционного угла α и поправки направления П.
Пример. α = 45°; δ= +7°30' (восточное); γ = —2°30' (западное); Ам = = 45° — [+7°30' — (—2°30)] = 35°.
3) α=Ам+(П).
т.е. дирекционный угол равен алгебраической сумме магнитного азимута Ам и поправки направления П.
Пример: Ам= 175°; δ= —4° (западное); γ= +2° (восточное). α = 175° + [—4° — (+2°)] = 169°

Рис. 15. Измерение дирекционного угла на карте: а — транспортиром; б — артиллерийским кругом

Рис. 16. Переход от дирекционного угла к магнитному азимуту и обратно
Заключение
Рассмотрев кратко влияние местности на различные стороны деятельности подразделений, можно сделать вывод, что для принятия обоснованного решения, непрерывного управления подразделениями, быстрой и правильной ориентировки в обстановке каждый командир наряду с уяснением полученной служебно-боевой задачи обязан тщательно и всесторонне учитывать условия местности, на которой предстоит действовать. Изучение и оценка местности может проводиться как непосредственным ее осмотром и наблюдением, так и по топографическим картам и аэрофотоснимкам.
Литература
1. А.С. Николаев «Военная топография». Ученик;
2. Б.Е. Бызов «Военная топография». Ученик;
3. Бубнов И.А. «Военная топография». Учебник;
4. Калинин А.К. «Военная топография». Учебник;
Похожие рефераты:
Топогеодезическое обеспечение боя
Геодезический чертеж. Теодолит
Электронные системы отображения навигационных карт
Оборудование летательных аппаратов
Блокнот старшего офицера батареи наземной артиллерии
Техническая подготовка юных ориентировщиков на этапе начальной спортивной специализации