| Скачать .docx |
Курсовая работа: Проект водоснабжения с. Бурибай Хайбуллинского района
Содержание
Введение
1 Общий раздел
1.1 Краткая характеристика
1.2 Нормативные данные
2 Расчетно-технологический раздел
2.1 Теоретическое обоснование выбора схемы водоснабжения
2.2 Определение режима водопотребления и расчетных расходов воды
2.3 Трассировка и конструирование водопроводной сети
2.4 Гидравлический расчет водопроводной сети
2.5 Гидравлический расчет водоводов
2.6 Расчет пьезометрических и свободных напоров
2.7 Расчет напорно-регулирующих сооружений
2.8 Расчет сооружений водоподготовки
2.9 Расчет водозаборных сооружений
2.10 Подбор насосов
3 Эксплуатационный раздел
3.1 Автоматизация работы насосов
3.2 Контроль процессов обработки воды
3.3 Техника безопасности и противопожарная защита
4 Мероприятия по охране окружающей среды
5 Экономический раздел
Выводы и заключение
Список литературы
.
Введение
Состояние важнейшей системы жизнеобеспечения водопровода непосредственно отражает уровень развития любого населенного пункта.
Главной целью на новом этапе развития централизованного водоснабжения и канализования городов следует считать обеспечение экологической безопасности водопользования в секторе хозяйственно-питьевого водообеспечения. Удовлетворение насущных потребностей населения в воде, как и прежде, остается базовой составляющей. Усиливается роль социально-экологических составляющих, не снижая роли инженерно-технических факторов. Под безопасностью водопользования понимается такое состояние развития, при котором все потребности населения и экономики гарантированно обеспечиваются водой необходимого качества в потребном количестве. При этом водные ресурсы наиболее эффективно используются для предотвращения экологических и иных угроз и создания условий устойчивого водопользования в настоящем и будущем.
Важнейшей эколого-экономической задачей необходимо считать ликвидацию или хотя бы существенное сокращение потерь воды в водохозяйственных системах. Позитивные результаты по реализации этих мер:
экологические - уменьшение отбора воды из природных источников и, следовательно, оптимизация ресурсопользования; снижение уровня подтопления городских территорий, повышение устойчивости зданий и сооружений; улучшение санитарно-эпидемиологической обстановки и др.;
экономические - уменьшение платежей за отбор воды из источников; значительное сокращение энергопотребления с соответствующей долей расходов, снижение нагрузки на все элементы водохозяйственной системы и уменьшение эксплуатационных расходов.
Эколого-экономический подход делает более привлекательными для населения реформы в сфере ЖКХ, включая водопроводно-канализационное хозяйство, в том числе в тарифном регулировании водопользования.
1. Общий раздел
1.1 Краткая характеристика объекта проектирования
С. Бурибай – находится в Хайбуллинскомо районе РБ, Расчетное население 6 тыс. чел., степень благоустройства зданий: водопровод, канализация с местными водонагревателями; 2 тыс. чел обслуживаются через водоразборные колонки. Застройка - одноэтажная. Территория района характеризуется относительно малым количеством рек и ручьев. Реки имеют снеговое питание. В суровые зимы наблюдается перемерзание рек, в летний период возможно пересыхание.
Подземные воды в районе содержатся в различных по литологическому составу и возрасту пластах рыхлых пород, зонах открытой региональной трещиноватости и тектонических разломов, разнообразных по составу и происхождению скальных образований.
По форме залегания подземных вод выделяются водоносные горизонты и комплексы, воды спорадического распространения и воды экзогенной открытой трещиноватости.
Район занимает Зауральскую возвышенно - холмистую равнину на востоке, Зилаирское плато - на западе. Поверхность имеет общий наклон на восток. Рельеф западной части сильно расчленен, встречается много глубоких и сравнительно узких долин и логов с крутыми, иногда обрывистыми склонами, которые рассекают территорию на ряд извилистых возвышенных хребтов и отдельных холмов. Средняя высота этой части колеблется от 300 до 500 м. над уровнем моря. Максимальная высота - 619 м.
Восточная часть представляет собой равнину с пологими холмами, которые расчленены неширокими и неглубокими долинами рек и балками с пологими склонами, максимальной высотой 490м.
Для района характерен резко выраженный континентальный климат, т.е. длительный период отрицательных температур, значительные отклонения по годам от средних норм по тепловому режиму и количеству осадков.
Наиболее теплый месяц года - июль, со среднесуточной температурой воздуха +18°С , +20°С, с максимумом до + 39°С, в январе среднесуточное значение -15,8°С, иногда температура опускается до - 44°С, -47°С. Средняя продолжительность безморозного периода - 100-120 дней. Часты поздние весенние (до 9 июня) и ранние осенние (до 25 августа - 2 сентября) заморозки. Среднегодовое количество осадков колеблется от 210 до 400 мм. в год.
Летние месяцы характеризуются засушливыми днями с частыми сильными ветрами - суховеями южного, юго-западного направлений, с пыльными бурями.
1.2 Нормативные данные
В зависимости от степени благоустройства здания и климатических условий удельное водопотребление принято:
- при потреблении воды через водоразборные колонки - 50 л.чел/сут [1], для водопотребителей, проживающих в зданиях, оборудованных местными водонагревателями - 230л.чел/сут [1]. Нормы приняты с учетом засушливого климата.
В проекте все расчеты и технические решения приняты в соответствии со следующими нормативными документами:
- СНИП 2.04.02-84 Водоснабжение. Наружные сети и сооружения., Москва. Строиздат,1985-136с.
- СанПин2.1.4.1074-01 Питьевая вода. Гигиенические требования к качеству воды централизованных систем питьевого водоснабжения. Контроль качества
2. Расчетно-технологический раздел
2.1 Теоретическое обоснование выбора схемы водоснабжения
Выбор схемы водоснабжения производён на основании сопоставления возможных вариантов ее существования с учетом особенностей объекта, требуемых расходов воды на разных этапах их развития, источников водоснабжения, требовании к напорам, качеству воды и обеспеченности ее подачи.
Схема подачи воды следующая: вода из водозаборных скважин погружными насосами подается по водоводу через установку водоподготовки напорные резервуары и в водопроводные башни, которые расположены на площадке водопроводных сооружений у с.Бурибай и далее в водопроводную сеть.
Водозаборные скважины
В конструкции скважины необходимо предусматривать возможность контроля дебита, уровня и отбора проб воды, а так же производства ремонтно-восстановительных работ при применении импульсных, реагентных и комбинированных методов регенераций при эксплуатации скважин.
Диаметр эксплуатационной колонны в скважинах следует принимать при установке насосов: с погружным электродвигателем— равным номинальному диаметру напорного водовода.
Исходя из местных условий и оборудования устье скважины расположено в наземном павильоне.
Габариты павильона в плане приняты из условия размещения в нем электродвигателя, электрооборудования и контрольно-измерительных приборов (КИП).
Высота наземного павильона принята в зависимости от габаритов оборудования.
Верхняя часть эксплуатационной колонны труб должна выступать над полом не менее чем на 0,5 м.
Конструкция оголовка скважины должна обеспечивать полную герметизацию, исключающую проникание в межтрубное и затрубное пространство скважины поверхностной воды и загрязнений.
Монтаж и демонтаж секций скважинных насосов следует предусматривать через люки, располагаемые над устьем скважины, с применением средств механизации.
Верхняя часть надфильтровой трубы должна быть выше башмака обсадной колонны не менее чем на 3 м при глубине скважины до 50 м и не менее чем на 5м при глубине скважины более 50 м; при этом между обсадной колонной и надфильтровой трубой при необходимости должен быть установлен сальник.
После окончания бурения скважин и оборудования их фильтрами необходимо предусматривать прокачку, а при роторном бурении с глинистым раствором—разглинизацию до полного осветления воды.
Для установления соответствия фактического дебита водозаборных скважин принятому в проекте необходимо предусматривать их опробование откачками.
Для обеззараживания воды в проекте применена ультрафиолетовая технология обработки воды. Выбор технологии обновлен: во-первых, новыми научными проработками проблемы, доказывающими, что ультрафиолетовое излучение может применяться как альтернативаокислительным методом (хлорирование) за счет простоты, безопасности и низких эксплуатационных затрат. К бесспорным достоинствам технологии ультрафиолетового обеззараживания относится отсутствие какого-либо воздействия на химический состав воды, что позволяет решать задачи обеззараживания без образования побочных токсичных продуктов.
Во-вторых, серийный выпуск отечественных установок, отвечающих требованиям международных стандартов и способных обеспечить приемлемые технико-эксплуатационные и экономические показатели, позволяет значительно расширить область применения ультрафиолетовой обработки. В - третьих, появилась возможность обеспечения надежного санитарно-эпидемиологического контроля за обеззараженной водой, так как в 1998 году были утверждены методические указания, в которых впервые установлена база облучения, а также определены правила эксплуатации и контроля работы ультрафиолетовых установок, величина базы облучения впервые утверждена в качестве косвенного показателя достижения бактерицидного эффекта.
Умягчение воды
Умягчение подземных вод достигается катионитным методом фильтрования воды через загрузку, способную обменивать катионы кальция и магния на катионы натрия или водорода. Анализ проб воды свидетельствует о превышении предельно-допустимой концентрации по жёсткости. Поэтому в данном проекте предусмотрена дополнительно технология умягчения воды катионированием.
Водонапорные башни
Водонапорные башни предназначены для регулирования подачи и расхода воды и обеспечения необходимого напора в каждой точке сети в любое время суток.
В поселке Бурибай сооружены пять водонапорных башен емкостью бака 0 м3 , высотой ствола 12м, диаметром опоры 1420 мм и по типовому проекту 901-5-29, разработанному институтом «ГипроНИИсельхоз» и ЦНИИЭП Госгражданстроя.
Водонапорная башня включает следующие конструктивные элементы: бак (резервуар), ствол или, иначе, несущую конструкцию.
Башня - колонна (ствол) составляется из двух частей, стальной бак сварной, цилиндрической формы, не имеет днища и переходит конической частью (горловиной) в цилиндрическую опору, заполненную водой.
Стальная крыша приваривается на заводе к цилиндрической стенке бака и является диафрагмой жесткости в крыше имеется смотровой люк. На внутренних стенках бака приварены скобы -льдодержатели.
Наружная лестница стальная, с предохранительным ограждением. Внутри башни предусмотрены скобы для спуска обслуживающего персонала при очистке и ремонте башни.
2.2 Определение режима водопотребления и расчетных расходов воды
Максимальный суточный расход, м3 /сут
Qсут max = Kcymmax *K((g1 *N + q 2 N2 )/1000), (1)
где Ксуттах - коэффициент суточной неравномерности водопотреб-ления, Ксуттах = 1,3 [1]
К - коэффициент, учитывающий неучтенные расходы и нужды местной промышленности К = 1,2[1]
q1 - удельное водопотребление для потребителей получающих воду через водоразборные колонки, д1 =50 л * чел/сут [1] N - расчетное население, пользующееся водоразборными колонками, N = 2000 чел.
q2 - удельное водопотребление для жителей проживающих в
зданиях, оборудованных местными водонагревателями q2 = 230 л*чел/сут[1]
N2 - расчетное население, проживающих в зданиях оборудованных местными водонагревателями
Таблица 1 - Сводное водопотребление
| Часы |
Население |
Баня |
Всего |
|
| % |
расход |
|||
| 1 |
2 |
3 |
4 |
5 |
| 0-1 |
0,75 |
10,64 |
10,64 |
|
| 1-2 |
0,75 |
10,64 |
10,64 |
|
| 2-3 |
1 |
14,18 |
14,18 |
|
| 3-4 |
1 |
14,18 |
14,18 |
|
| 4-5 |
3 |
42,55 |
42,55 |
|
| 5-6 |
5,5 |
78,01 |
78,01 |
|
| 6-7 |
5,5 |
78,01 |
78,01 |
|
| 7-8 |
5,5 |
78,01 |
10,8 |
88,81 |
| 8-9 |
3,5 |
49,64 |
10,8 |
60,44 |
| 9-10 |
3,5 |
49,64 |
10,8 |
60,44 |
| 10-11 |
6 |
85,1 |
10,8 |
95,9 |
| 11-12 |
8,5 |
120,56 |
10,8 |
131,36 |
| 12-13 |
8,5 |
120,56 |
10,8 |
131,36 |
| 13-14 |
6 |
85,1 |
10,8 |
95,9 |
| 14-15 |
5 |
70,92 |
10,8 |
81,72 |
| 1516 |
5 |
70,92 |
10,8 |
81,72 |
| 16-17 |
3,5 |
49,64 |
10,8 |
60,44 |
| 17-18 |
3,5 |
49,64 |
10,8 |
60,44 |
| 18-19 |
6 |
85,1 |
10,8 |
95,9 |
| 19-20 |
6 |
85,1 |
10,8 |
95,9 |
| 20-21 |
6 |
85,1 |
10,8 |
95,9 |
| 21-22 |
3 |
42,55 |
10,8 |
53,35 |
| 22-23 |
2 |
28,37 |
10,8 |
39,17 |
| 23-24 |
1 |
14,18 |
14,18 |
|
| Итого |
100 |
1418 |
172,8 |
1591,2 |
Qcymmax= 1,3 * 1,2 ((50 * 2000 + 230*4000)/1000) = 1591,2 м3 /сут
Коэффициент максимальной часовой неравномерности:
Кч.тах = αтах * 1,4 = 1,82 (2)
где αтах - коэффициент, учитывающий степень благоустройства зданий, αтах = 1,3 [1] βтах - коэффициент, учитывающий число жителей в населенном пункте, βтах =1,4 [1]
Кч.тах = 1,3 * 1,4 = 1,82
Расчетный часовой расход, м3 /ч
Qч max = Кч.тах * Qcymmax /24 (3)
Qч max = 1,82 * 1591,2/24 = 120,67м3 /ч
2.2.1 Определение расчетных расходов на хозяйственно-питьевые нужды
Сосредоточенный расход воды (для бани), м3 /ч
Qсоср
=
, (4)
где g- норма водопотребления, g = 150 л [8]
N - расчетное население, N = 6000 чел
Qcocp =150*8* 6000/106 = 7,2 m3 /ч или 172.8 m3 /сутки , или 2 л/с
2.2.2 Определение противопожарного расхода
Противопожарный расход, л/с:
Qпож =gпож *nпож +gвр (5)
гдe g пож - норма расхода воды на тушение одного пожара, g пож = 10 л/с п пож - количество одновременных пожаров п пож - 1[1] gвр - расход на внутренние пожары, gвр = 2,5л/с [2]
Qпож =10*1+2,5=12,5 л/с
2.2.3 Определение расчетных расходов по участкам сети
Удельный расход, л /с*м
Qуд
=
(6)
где Σl - сумма длин участков сети, Σl =24145M
Qуд
=
=0,00127л/см
Путевой расход, л/с
g i =gуд* l1
где gуд - удельный расход, gуд = 0,00127 л/с l1 - длина рассматриваемого участка (7)
Расчеты по определению путевых расходов сведены в таблицу 2
Таблица 2 -Определение расчетных расходов по участкам сети
| Номер участка |
Путевой |
Длина |
| 1 |
2 |
3 |
| 83'-83 |
0,10795 |
85 |
| 81-83 |
0,10795 |
85 |
| 82'-82 |
0,14605 |
115 |
| 81-82 |
0,15875 |
125 |
| 81-82 |
0,15875 |
125 |
| 80-81 |
0,5715 |
450 |
| 80'-81 |
0,1905 |
150 |
| 80-79 |
0,4953 |
390 |
| 86'-86 |
0,3048 |
240 |
| 86-79 |
0,2794 |
220 |
| 79-78 |
0,1397 |
110 |
| 92-91 |
0,7874 |
620 |
| 91'-91 |
0,08255 |
65 |
| 91"-91 |
0,14605 |
115 |
| 91-88 |
0,1397 |
110 |
| 90'-90 |
0,0762 |
60 |
| 90-89 |
0,17145 |
135 |
| 89-88 |
0,61595 |
485 |
| 87’ -87 |
0,1143 |
90 |
| 88-87 |
0,23495 |
185 |
| 33'-33 |
0,04445 |
35 |
| 33-32 |
0,1651 |
130 |
| 32-27 |
0,65405 |
515 |
| 32-93 |
0,18415 |
145 |
| 93'-93 |
0,09525 |
75 |
| 72'-72 |
0,4826 |
380 |
| 72-73 |
0,1397 |
110 |
| 73'-73 |
0,4699 |
370 |
| 52-1 |
0,0889 |
70 |
| 8-2 |
0,22225 |
115 |
| 2-1 |
0,4445 |
350 |
| 2-1 |
0,4445 |
350 |
| 2-3 |
0,37465 |
295 |
| 05.-5 |
0,127 |
100 |
| 3-4 |
0,254 |
200 |
| 4-5 |
0,3175 |
250 |
| 5-6 |
0,1524 |
120 |
| 3-7 |
0,46355 |
365 |
| 7-6 |
0,24765 |
195 |
| 1-вЗ |
0,57785 |
455 |
| 74'-71 |
0,14605 |
115 |
| 74"-74 |
0,0635 |
50 |
| 47'-47 |
0,0635 |
50 |
| 47"-47 |
0,03175 |
25 |
| 47"'-47 |
0,08255 |
65 |
| 47-46 |
0,0508 |
40 |
| 46'-46 |
0,0508 |
40 |
| 46"-46 |
0,03175 |
25 |
| 46-45 |
0,10795 |
85 |
| 45'-45 |
0,0508 |
40 |
| 45-44 |
0,09525 |
75 |
| 44'-44 |
0,12065 |
95 |
| 44-43 |
0,1143 |
90 |
| 43'-43 |
0,3175 |
250 |
| 43"-43 |
0,03175 |
25 |
| 43-42 |
0,14605 |
115 |
| 42-36 |
0,14605 |
115 |
| 41’ -41 |
0,127 |
100 |
| 41-40 |
0,2032 |
160 |
| 40'-40 |
0,28575 |
225 |
| 40-39 |
0,127 |
100 |
| 39-38 |
0,17145 |
135 |
| 38'-38 |
0,03175 |
25 |
| 38-37 |
0,01905 |
15 |
| 37'-37 |
0,0889 |
70 |
| 37-36 |
0,1651 |
130 |
| 36-35 |
0,05715 |
45 |
| 35'-35 |
0,03175 |
25 |
| 35-34 |
0,03175 |
25 |
| 34'-34 |
0,08255 |
65 |
| 34-31 |
0,04445 |
35 |
| 87-93 |
0,17145 |
135 |
| 93-31 |
0,01905 |
15 |
| 31-30 |
0,27305 |
215 |
| 30-29 |
0,27305 |
215 |
| 51'-51 |
0,15875 |
125 |
| 51"-51 |
0,127 |
100 |
| 51-50 |
0,08889 |
70 |
| 50'-50 |
0,127 |
100 |
| 50-49 |
0,127 |
100 |
| 49'-49 |
0,0635 |
50 |
| 49-48 |
0,1905 |
150 |
| 48'-48 |
0,0635 |
50 |
| 48-29 |
0,36195 |
285 |
| 29-26 |
0,1397 |
110 |
| 26'-26 |
0,0508 |
40 |
| 28'-28 |
0,508 |
400 |
| 28"-28 |
0,33655 |
265 |
| 28-27 |
0,09525 |
75 |
| 27-26 |
0,2921 |
230 |
| 26-25 |
0,0508 |
40 |
| 25'-25 |
0,1905 |
150 |
| 25-24 |
0,09525 |
75 |
| 24'-24 |
0,08255 |
65 |
| 24-23 |
0,12065 |
95 |
| 23'-23 |
0,24765 |
195 |
| 23-18 |
0,03175 |
25 |
| 22,1-22 |
0,22225 |
175 |
| 22"-22 |
0,05715 |
45 |
| 22-21 |
0,20955 |
165 |
| 21'-21 |
0,1905 |
150 |
| 21-19 |
0,1016 |
80 |
| 20"-20 |
0,05715 |
45 |
| 20"'-20 |
0,0508 |
40 |
| 20" "-20 |
0,03175 |
25 |
| 20-19 |
0,1778 |
140 |
| 19-18 |
0,127 |
100 |
| 18’ -18 |
0,03175 |
25 |
| 78-71 |
0,17145 |
135 |
| 71-70 |
0,4699 |
370 |
| 78-77 |
0,14605 |
115 |
| 70'-70 |
0,0508 |
40 |
| 70"-70 |
0,15875 |
125 |
| 70-68 |
0,34925 |
275 |
| 72-71 |
0,1016 |
80 |
| 77,1-77 |
0,36195 |
285 |
| 77-76 |
0,3683 |
290 |
| 84'-84 |
0,2286 |
180 |
| 85'-85 |
0,1143 |
90 |
| 85-84 |
0,15875 |
125 |
| 84-76 |
0,29845 |
235 |
| 76-75 |
0,14605 |
115 |
| 11’ -11 |
0,127 |
100 |
| 11"-11 |
0,1016 |
80 |
| 11"'-11 |
0,127 |
100 |
| 11-10 |
0,1524 |
120 |
| 12’ -12 |
0,08255 |
65 |
| 12-10 |
0,15875 |
125 |
| 10-9 |
0,12065 |
95 |
| 17’ -17 |
0,09525 |
75 |
| 17-16 |
0,09525 |
75 |
| 69'-69 |
0,14605 |
115 |
| 16-15 |
0,17145 |
135 |
| 15-9 |
0,2667 |
210 |
| 9-8 |
0,2286 |
180 |
| 15-14 |
0,09525 |
75 |
| 14-13 |
0,3048 |
240 |
| 13-9 |
0,127 |
100 |
| 13-53 |
0,22225 |
175 |
| 14-69 |
0,2032 |
160 |
| 69-68 |
0,4318 |
340 |
| 68-67 |
0,254 |
200 |
| 75-67 |
0,3175 |
250 |
| 67'-67 |
0,5207 |
410 |
| 67-66 |
0,1651 |
130 |
| 66-65 |
0,0762 |
60 |
| 65'-65 |
0,1524 |
120 |
| 65-64 |
0,4445 |
350 |
| 64-58 |
0,1905 |
150 |
| 58-59 |
0,29845 |
235 |
| 58-57 |
0,12065 |
95 |
| 57-56 |
0,12065 |
95 |
| 57-63 |
0,2794 |
220 |
| 59-63 |
0,13335 |
105 |
| 59-60 |
0,27305 |
215 |
| 63'-63 |
0,13335 |
105 |
| 63-62 |
0,13335 |
105 |
| 56-55 |
0,12065 |
95 |
| 60-61 |
0,23495 |
185 |
| 55-54 |
0,04445 |
35 |
| 61-62 |
0,23495 |
185 |
| 52-61 |
0,28575 |
225 |
| 52,1-52 |
0,0254 |
20 |
| 54-53 |
0,13335 |
105 |
| 52-53 |
0,69215 |
545 |
2.3 Трассировка и конструирование водопроводной сети
Первоочередной задачей при проектировании и расчете водоводов и водопроводных сетей является обоснование выбора трасс линий на плане. Трассировку водоводов и сетей производят исходя из условия обеспечения требуемой надежности их работы и наименьшей строительной стоимости. Размещение линий водоводов и сетей зависит от следующих условий:
- местоположения источников водоснабжения, характера планировки населенного пункта или промышленного предприятия, размещения отдельных потребителей воды, формы и размеров жилых кварталов, цехов, зеленых насаждений, расположения проездов и т. п.;
- наличия естественных и искусственных препятствий для прокладки труб (реки, овраги, каналы, железные и шоссейные дороги и т.п.);
- рельефа местности.
На выбор трассы магистральных линий существенное влияние оказывает рельеф местности. Их по возможности следует прокладывать по наиболее возвышенным точкам территории. При соблюдении этих условий наличие достаточных свободных напоров в магистральной сети гарантирует создание достаточных напоров и в распределительной сети, получающей воду от магистральной сети и располагаемой на более низких отметках рельефа. Подобная трассировка магистралей обеспечивает относительно меньшее давление в трубах больших диаметров. Кроме того, выбор трассы магистральных линий зависит от места расположения регулирующих емкостей.
Разработку схемы водопроводной сети населенных пунктов начинают с определения места расположения регулирующей емкости. Затем наносят на план основные линии водопроводной сети с таким расчетом, чтобы они снабжали водой все жилые районы и промышленные предприятия. Из числа линий, расположенных в направлении движения основной массы воды и подающих воду к регулирующим емкостям, назначают магистрали. Они должны быть равномерно распределены на территории населенного пункта, охватывая все наиболее крупные водопотребители. Для надежности водоснабжения по основному направлению прокладывают не менее двух параллельных -магистральных линий на расстоянии 400—800 м. Основные магистрали соединяют перемычками обычно через 600—1000 м. К регулирующим емкостям должна быть предусмотрена подача воды не менее чем по двум линиям.
Выполнив трассировку сети, задают режим подачи воды в нее и определяют расходы воды, поступающие в сеть, а также объемы регулирующих емкостей. Дальнейшая методика расчета и проектирования сети заключается в следующем: намечают расчетную схему отбора воды из сети; задают начальное распределение потоков воды по отдельным линиям сети и находят расчетные расходы воды по участкам; руководствуясь давлением воды, геологическими и другими местными условиями, выбирают материал труб; определяют диаметры труб, потери напора па участках; осуществляют гидравлическую увязку сети, подбор насосов, уточняют первоначально принятые объемы регулирующих емкостей и расходы воды, подаваемой в сеть.
Водопроводная сеть является, как правило, наиболее дорогостоящей частью системы водоснабжения объекта. Она должна удовлетворять основному требованию — бесперебойная подача воды в необходимом количестве к точкам ее отбора под требуемым напором. В соответствии с этим к водопроводным сетям предъявляют следующие требования: герметичность, минимальные гидравлические сопротивления на трение при движении воды в трубах, высокое сопротивление внутренними внешним нагрузкам, длительный срок службы труб и оборудования на сети. Кроме того, водопроводные сети должны удовлетворять требованиям максимальной экономичности.
Трубы, используемые для устройства водопроводных сетей, должны обеспечивать возможность их простого, быстрого и надежного соединения. Они должны быть рассчитаны на давление транспортируемой воды на внутреннюю поверхность, а также иметь необходимую прочность для сопротивления давлению грунта, прогибам от собственного веса и нагрузкам от транспорта.
Важное значение имеет герметичность как самих труб, так и стыковых соединений. Она является необходимым условием успешной и экономичной эксплуатации водопровода. При нарушении герметичности трубопроводов происходят утечки воды, повышаются эксплуатационные затраты, создается опасность загрязнения питьевой воды в результате инфильтрации грунтовой. Кроме того, утечки вызывают размыв грунта, что приводит к серьезным авариям.
В данном проекте приняты полимерные водопроводные трубы по ГОСТу 18599 - 83 Достоинствами труб являются: долговечность, малые сопротивления, малый вес, простота монтажа и демонтажа, санитарная надёжность.
2.4 Гидравлический расчет водопроводной сети
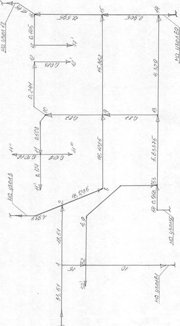
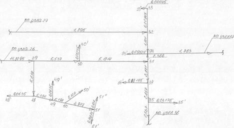
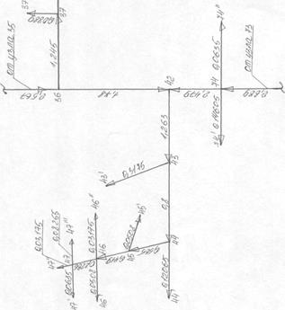
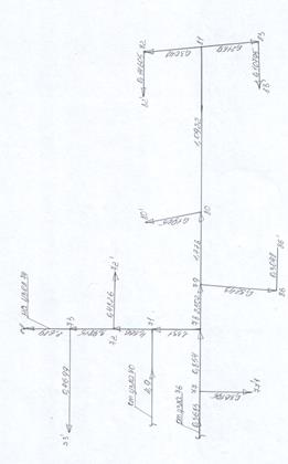
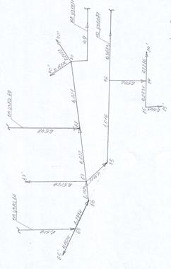
Расчётные расходы воды по участкам сети представлены на схеме отбора воды в л/с - рис. 1
Гидравлический расчет кольцевой сети выполнен с использованием таблиц [3 ]Потери напора, м
h = l.2S*q2 (8)
где S - сопротивление участка трубы

Рисунок 1- Схема отбора воды (узлы 1-2;1-54;1-53;1-14;1-16)

Рисунок 1- Схема отбора воды (узлы 52-61; 54-55;14-69), продолжение

Рисунок 1- Схема отбора воды (узел 2-3), продолжение

Рисунок 1- Схема отбора воды (узлы 16-18; 18-27; 18-26), продолжение

Рисунок 1- Схема отбора воды (узлы 26-29; 27-32; 29-35; 29-93), продолжение

Рисунок 1- Схема отбора воды (узлы 93-87; 87-92), продолжение

Рисунок 1- Схема отбора воды (узлы 35-36; 73-74), продолжение

Рисунок 1- Схема отбора воды (узлы 76-77;70-71;73-74), продолжение

Рисунок 1- Схема отбора воды (узлы 64-65;69-68;70-71;76-77), продолжение
S=S0 *q (9)
где: Sо - удельное сопротивление, принимаемое в зависимости
от диаметра и материала труб [3 ] q q- расход воды по участку, л/с
Результаты гидравлического расчета сети сведены в таблицу
Таблица 3 Гидравлический расчет сети
| Номер участка |
Длина, 1,м |
Расход, д. л/с |
Диаметр, d мм |
Скорость, м/с |
Уд.сопротивление, S0 *W6 |
Сопротивление S=SO*I |
Потери напора, п, м |
|
| 1 |
2 |
3 |
4 |
5 |
6 |
7 |
8 |
|
| в 3-1 |
455 |
33,51 |
250 |
0,68 |
0,000001454 |
0,0020266 |
2,73 |
|
| 1-2 |
350 |
18,51 |
200 |
0,58 |
0,00001426 |
0,004991 |
2,05 |
|
| 1-52 |
70 |
15 |
140 |
1,45 |
0,00009162 |
0,0064134 |
1,73 |
|
| 2-3 |
295 |
1,937 |
90 |
9,54 |
0,0009268 |
0,273406 |
1,23 |
|
| 3-4 |
200 |
0,9509 |
90 |
0,22 |
0,0009268 |
0,18536 |
0,2 |
|
| 4-5 |
250 |
0,6969 |
90 |
0,22 |
0,0009268 |
0,2317 |
0,14 |
|
| 5-5' |
100 |
0,127 |
90 |
0,019 |
0,0009268 |
0,09268 |
0,002 |
|
| 5-6 |
120 |
0,2524 |
90 |
0,039 |
0,0009268 |
0,111216 |
0,01 |
|
| 6-7 |
195 |
0,2476 |
90 |
0,038 |
0,0009268 |
0,180726 |
0,015 |
|
| 3-7 |
365 |
0,6112 |
90 |
0,096 |
0,0009268 |
0,338282 |
0,1 |
|
| 52-52' |
20 |
0,025 |
90 |
0,004 |
0,0009268 |
0,018536 |
0,000014 |
|
| 52-61 |
225 |
10 |
140 |
1,57 |
0,00009162 |
0,020615 |
2,47 |
|
| 52-53 |
545 |
4,9 |
180 |
0,223 |
0,00002476 |
0,0134942 |
0,41 |
|
| 53-54 |
105 |
0,956 |
90 |
0,22 |
0,0009268 |
0,097314 |
0,11 |
|
| 54-55 |
35 |
1 |
90 |
0,24 |
0,0009268 |
0,032438 |
0,04 |
|
| 55-62 |
115 |
2 |
90 |
10,4 |
0,0009268 |
0,106582 |
0,51 |
|
| 55-56 |
95 |
0,854 |
90 |
0,13 |
0,0009268 |
0,088046 |
0,08 |
|
| 61-62 |
185 |
4,7 |
90 |
0,74 |
0,0009268 |
0,171458 |
4,55 |
|
| 61-60 |
185 |
5 |
125 |
0,41 |
0,0001666 |
0,03082 |
0,92 |
|
| 60-59 |
215 |
4,77 |
125 |
0,38 |
0,0001666 |
0,035819 |
0,98 |
|
| 59-63 |
105 |
0,867 |
90 |
0,14 |
0,0009268 |
0,097314 |
0,08 |
|
| 63'-63 |
105 |
0,1333 |
90 |
0,02 |
0,0009268 |
0,097314 |
0,002 |
|
| 63-62 |
105 |
2,46 |
90 |
15,5 |
0,0009268 |
0,097314 |
0,71 |
|
| 63-57 |
105 |
1,347 |
90 |
4,87 |
0,0009268 |
0,097314 |
0,21 |
|
| 57-56 |
95 |
0,733 |
90 |
0,12 |
0,0009268 |
0,088046 |
0,06 |
|
| 57-58 |
95 |
1,96 |
90 |
9,54 |
0,0009268 |
0,088046 |
0,41 |
|
| 59-58 |
235 |
5,205 |
200 |
0,82 |
0,00001426 |
0,0033511 |
0,11 |
|
| 58-64 |
150 |
6,97 |
180 |
1,65 |
0,00002476 |
0,003714 |
0,22 |
|
| 2-8 |
175 |
16,128 |
160 |
1,55 |
0,00004591 |
0,0080343 |
2,51 |
|
| 8-9 |
180 |
16,128 |
180 |
1,55 |
0,00002476 |
0,0044568 |
1,39 |
|
| 53-13 |
175 |
5,6337 |
180 |
0,89 |
0,00002476 |
0,004333 |
0,16 |
|
| 13-9 |
100 |
0,87 |
90 |
0,14 |
0,0009268 |
0,09268 |
0,08 |
|
| 13-14 |
240 |
4,329 |
140 |
0,68 |
0,00009162 |
0,0219888 |
0,49 |
|
| 14-15 |
75 |
2,905 |
90 |
0,457 |
0,0009268 |
0,06951 |
0,703 |
|
| 9-10 |
95 |
0,87 |
90 |
0,14 |
0,0009268 |
0,088046 |
0,08 |
|
| 10-11 |
120 |
0,508 |
90 |
0,08 |
0,0009268 |
0,111216 |
0,03 |
|
| 11-11' |
100 |
0,127 |
90 |
0,019 |
0,0009268 |
0,09268 |
0,001 |
|
| 11-11" |
80 |
0,1016 |
90 |
0,01 |
0,0009268 |
0,074144 |
0,009 |
|
| 11-11"' |
100 |
0,127 |
90 |
0,019 |
0,0009268 |
0,09268 |
0,002 |
|
| 10-12 |
125 |
0,241 |
90 |
0,04 |
0,0009268 |
0,11585 |
0,01 |
|
| 12-12' |
65 |
0,083 |
90 |
0,013 |
0,0009268 |
0,060242 |
0,0004 |
|
| 9-15 |
210 |
15,862 |
140 |
1,5 |
0,00009162 |
0,0192402 |
5,81 |
|
| 15-16 |
135 |
18,595 |
160 |
1,38 |
0,00004591 |
0,00619785 |
2,57 |
|
| 16-17 |
75 |
0,1905 |
90 |
0,03 |
0,0009268 |
0,06951 |
0,003 |
|
| 17-17' |
75 |
0,0952 |
90 |
0,015 |
0,0009268 |
0,06951 |
0,0007 |
|
| 16-18 |
115 |
18,45 |
180 |
1,34 |
0,00002476 |
0,0028474 |
1,16 |
|
| 14-69 |
160 |
1,1258 |
90 |
4,22 |
0,0009268 |
0,148288 |
0,23 |
|
| 69-69' |
115 |
0,1461 |
90 |
0,023 |
0,0009268 |
0,106582 |
0,003 |
|
| 69-68 |
340 |
0,548 |
90 |
0,09 |
0,0009268 |
0,315112 |
0,11 |
|
| 64-65 |
350 |
6,526 |
250 |
1,03 |
0,000004454 |
0,0015589 |
0,079 |
|
| 65'-65 |
120 |
0,1524 |
90 |
0,023 |
0,0009268 |
0,111216 |
0,003 |
|
| 65-66 |
60 |
6,2974 |
90 |
2,09 |
0,0009268 |
0,055608 |
2,65 |
|
| 66-67 |
130 |
6,1323 |
90 |
2,06 |
0,0009268 |
0,120484 |
5,44 |
|
| 67'-67 |
410 |
0,5207 |
90 |
0,08 |
0,0009268 |
0,379988 |
0,12 |
|
| 67-68 |
200 |
4,022 |
90 |
0,63 |
0,0009268 |
0,18536 |
3,6 |
|
| 67-75 |
250 |
1,3355 |
90 |
0,21 |
0,0009268 |
0,2317 |
0,49 |
|
| 68-70 |
275 |
4,221 |
90 |
0,66 |
0,0009268 |
0,25487 |
5,45 |
|
| 70'-70 |
40 |
0,1587 |
90 |
0,025 |
0,0009268 |
0,037072 |
0,001 |
|
| 70"-70 |
125 |
0,0508 |
90 |
0,008 |
0,0009268 |
0,11585 |
0,0004 |
|
| 70-71 |
370 |
4,9 |
180 |
0,77 |
0,00002476 |
0,0091612 |
0,2639 |
|
| 71-72 |
80 |
4,566 |
90 |
0,71 |
0,0009268 |
0,074144 |
1,85 |
|
| 75-76 |
115 |
1,016 |
90 |
0,16 |
0,0009268 |
0,106582 |
0,13 |
|
| 76-84 |
235 |
0,502 |
90 |
0,078 |
0,0009268 |
0,217796 |
0,076 |
|
| 84-85 |
125 |
0,2731 |
90 |
0,042 |
0,0009268 |
0,11585 |
0,01 |
|
| 85-85' |
90 |
0,1143 |
90 |
0,017 |
0,0009268 |
0,083412 |
0,001 |
|
| 84-84' |
180 |
0,2286 |
90 |
0,04 |
0,0009268 |
0,166824 |
0,01 |
|
| 76-77 |
290 |
0,3683 |
90 |
0,06 |
0,0009268 |
0,268772 |
0,04 |
|
| 7Т-77 |
285 |
0,3619 |
90 |
0,06 |
0,0009268 |
0,264138 |
0,04 |
|
| 77-78 |
115 |
0,854 |
90 |
0,13 |
0,0009268 |
0,106582 |
0,09 |
|
| 71-78 |
135 |
1,331 |
90 |
4,87 |
0,0009268 |
0,125118 |
0,27 |
|
| 71-72 |
80 |
4,566 |
90 |
0,72 |
0,0009268 |
0,074144 |
1,85 |
|
| 78-79 |
110 |
2,502 |
90 |
15,5 |
0,0009268 |
0,101948 |
0,77 |
|
| 86'-86 |
240 |
0,3048 |
90 |
0,05 |
0,0009268 |
0,222432 |
0,02 |
|
| 86-79 |
220 |
0,5843 |
90 |
0,09 |
0,0009268 |
0,203896 |
0,08 |
|
| 79-80 |
390 |
1,778 |
90 |
7,83 |
0,0009268 |
0,361452 |
1,37 |
|
| 80'-80 |
150 |
0,1905 |
90 |
0,0009268 |
0,13902 |
0,006 |
||
| 80-81 |
450 |
1,0922 |
90 |
0,24 |
0,0009268 |
0,41706 |
0,6 |
|
| 81-82 |
125 |
0,3048 |
90 |
0,047 |
0,0009268 |
0,11585 |
0,01 |
|
| 82'-82 |
115 |
0,1461 |
90 |
0,023 |
0,0009268 |
0,106582 |
0,003 |
|
| 81-83 |
85 |
0,2159 |
90 |
0,034 |
0,0009268 |
0,078778 |
0,04 |
|
| 83'-83 |
85 |
0,1079 |
90 |
0,016 |
0,0009268 |
0,078778 |
0,001 |
|
| 22-22 |
175 |
0,0572 |
90 |
0,009 |
0,0009268 |
0,16219 |
0,0006 |
|
| 22"-22 |
45 |
0,2222 |
90 |
0,034 |
0,0009268 |
0,041706 |
0,002 |
|
| 22-21 |
165 |
0,2667 |
90 |
0,042 |
0,0009268 |
0,152922 |
0,013 |
|
| 21'-21 |
150 |
0,1905 |
90 |
0,029 |
0,0009268 |
0,13902 |
0,03 |
|
| 21-19 |
80 |
0,5588 |
90 |
0,087 |
0,0009268 |
0,074144 |
0,03 |
|
| 19-20 |
140 |
0,927 |
90 |
0,146 |
0,0009268 |
0,129752 |
0,13 |
|
| 20-20' |
75 |
0,0952 |
90 |
0,014 |
0,0009268 |
0,06951 |
0,0008 |
|
| 20-20" |
45 |
0,5715 |
90 |
0,09 |
0,0009268 |
0,041706 |
0,02 |
|
| 20-20'" |
40 |
0,0508 |
90 |
0,008 |
0,0009268 |
0,037072 |
0,0001 |
|
| 20-20"" |
25 |
0,0317 |
90 |
0,005 |
0,0009268 |
0,02317 |
0,00003 |
|
| 19-18 |
100 |
1,6128 |
90 |
7,03 |
0,0009268 |
0,09268 |
0,29 |
|
| 1848 |
25 |
0,0317 |
90 |
0,005 |
0,0009268 |
0,02317 |
0,00003 |
|
| 18-23 |
25 |
16,488 |
140 |
1,6 |
0,00009162 |
0,0022905 |
0,75 |
|
| 23'-23 |
195 |
0,2477 |
90 |
0,039 |
0,0009268 |
0,180726 |
0,01 |
|
| 23-24 |
95 |
16,12 |
140 |
1,55 |
0,00009162 |
0,0087039 |
2,71 |
|
| 24'-24 |
65 |
0,0825 |
90 |
0,013 |
0,0009268 |
0,060242 |
0,0005 |
|
| 24-25 |
75 |
15,94 |
160 |
1,55 |
0,00004591 |
0,0034425 |
1,05 |
|
| 25'-25 |
150 |
0,1905 |
90 |
0,03 |
0,0009268 |
0,13902 |
0,006 |
|
| 25-26 |
40 |
15,701 |
140 |
1,52 |
0,00009162 |
0,0036648 |
1,08 |
|
| 26'-26 |
40 |
0,0508 |
90 |
0,008 |
0,0009268 |
0,037072 |
0,0001 |
|
| 26-27 |
230 |
3,4889 |
90 |
0,8 |
0,0009268 |
0,213164 |
3,11 |
|
| 27-28 |
75 |
0,9398 |
90 |
0,22 |
0,0009268 |
0,06951 |
0,07 |
|
| 28'-28 |
400 |
0,3365 |
90 |
0,053 |
0,0009268 |
0,37072 |
0,05 |
|
| 28"-28 |
265 |
0,508 |
90 |
0,08 |
0,0009268 |
0,245602 |
0,08 |
|
| 27-32 |
515 |
1,895 |
110 |
9,54 |
0,0003239 |
0,1668085 |
0,72 |
|
| 26-29 |
110 |
11,809 |
120 |
1,04 |
0,0001667 |
0,018337 |
3,07 |
|
| 29-48 |
285 |
5,638 |
160 |
0,89 |
0,00004591 |
0,01308435 |
0,49 |
|
| 48'-48 |
50 |
0,0635 |
90 |
0,01 |
0,0009268 |
0,04634 |
0,002 |
|
| 48-49 |
150 |
5,384 |
90 |
0,85 |
0,0009268 |
0,13902 |
4,84 |
|
| 49'-49 |
50 |
0,0635 |
90 |
0,01 |
0,0009268 |
0,04634 |
0,0002 |
|
| 49-50 |
100 |
5,194 |
110 |
0,82 |
0,0003239 |
0,03239 |
1,04 |
|
| 50'-50 |
100 |
0,127 |
90 |
0,02 |
0,0009268 |
0,09268 |
0,002 |
|
| 50-51 |
70 |
4,978 |
90 |
0,78 |
0,0009268 |
0,064876 |
1,9 |
|
| 51'-51 |
125 |
0,127 |
90 |
0,02 |
0,0009268 |
0,11585 |
0,02 |
|
| 51 "-51 |
100 |
0,1587 |
90 |
0,025 |
0,0009268 |
0,09268 |
0,003 |
|
| 29-30 |
215 |
5,537 |
90 |
0,87 |
0,0009268 |
0,199262 |
7,33 |
|
| 30'-30 |
65 |
0,0825 |
90 |
0,012 |
0,0009268 |
0,060242 |
0,0005 |
|
| 30-31 |
215 |
5,1814 |
90 |
0,81 |
0,0009268 |
0,199262 |
6,42 |
|
| 31-93 |
15 |
2,366 |
90 |
13,4 |
0,0009268 |
0,013902 |
0,09 |
|
| 93'-93 |
75 |
0,0952 |
90 |
0,015 |
0,0009268 |
0,06951 |
0,0008 |
|
| 33'-33 |
35 |
0,0444 |
90 |
0,007 |
0,0009268 |
0,032438 |
0,008 |
|
| 33-32 |
130 |
0,2095 |
90 |
0,033 |
0,0009268 |
0,120484 |
0,006 |
|
| 32-93 |
145 |
1,501 |
90 |
6,27 |
0,0009268 |
0,134386 |
0,36 |
|
| 93-87 |
135 |
1,753 |
90 |
7,83 |
0,0009268 |
0,125118 |
0,46 |
|
| 87-87' |
90 |
0,1143 |
90 |
0,02 |
0,0009268 |
0,083412 |
0,001 |
|
| 87-88 |
185 |
1,467 |
90 |
5,55 |
0,0009268 |
0,171458 |
0,44 |
|
| 90'-90 |
60 |
0,0762 |
90 |
0,001 |
0,0009268 |
0,05561 |
0,0004 |
|
| 90-89 |
135 |
0,2476 |
90 |
0,04 |
0,0009268 |
0,125118 |
0,009 |
|
| 89-88 |
485 |
0,8636 |
90 |
0,14 |
0,0009268 |
0,449498 |
0,4 |
|
| 88-91 |
110 |
0,3683 |
90 |
0,06 |
0,0009268 |
0,101948 |
0,016 |
|
| 91'-91 |
65 |
0,0825 |
90 |
0,012 |
0,0009268 |
0,060242 |
0,0005 |
|
| 92"-91 |
120 |
0,1461 |
90 |
0,022 |
0,0009268 |
0,106582 |
0,003 |
|
| 91-92 |
620 |
0,8763 |
90 |
0,14 |
0,0009268 |
0,574616 |
0,53 |
|
| 91-92 |
620 |
0,8763 |
90 |
0,14 |
0,0009268 |
0,574616 |
0,53 |
|
| 92-92' |
70 |
0,0889 |
90 |
0,014 |
0,0009268 |
0,064876 |
0,0006 |
|
| 31-34 |
35 |
2,771 |
90 |
17,8 |
0,0009268 |
0,032438 |
0,3 |
|
| 34-34' |
65 |
0,0815 |
90 |
0,013 |
0,0009268 |
0,060242 |
0,0005 |
|
| 34-35 |
25 |
2,657 |
90 |
16,6 |
0,0009268 |
0,02317 |
0,19 |
|
| 35-35' |
25 |
0,0317 |
90 |
0,005 |
0,0009268 |
0,02317 |
0,00003 |
|
| 35-36 |
45 |
2,567 |
90 |
15,5 |
0,0009268 |
0,041706 |
0,33 |
|
| 36-37 |
130 |
1,245 |
90 |
4,22 |
0,0009268 |
0,120484 |
0,22 |
|
| 37-37' |
70 |
0,0889 |
90 |
0,014 |
0,0009268 |
0,064875 |
0,0006 |
|
| 37-38 |
15 |
0,991 |
90 |
0,24 |
0,0009268 |
0,013902 |
0,01 |
|
| 38-38' |
25 |
0,0317 |
90 |
0,005 |
0,0009268 |
0,02317 |
0,00003 |
|
| 38-39 |
135 |
0,9399 |
90 |
0,22 |
0,0009268 |
0,125118 |
0,13 |
|
| 39-39' |
20 |
0,0254 |
90 |
0,004 |
0,0009268 |
0,018536 |
0,00001 |
|
| 39-40 |
100 |
0,7429 |
90 |
0,12 |
0,0009268 |
0,09268 |
0,061 |
|
| 40'-40 |
225 |
0,2857 |
90 |
0,04 |
0,0009268 |
0,20853 |
0,02 |
|
| 40-41 |
160 |
0,3302 |
90 |
0,05 |
0,0009268 |
0,148286 |
0,02 |
|
| 41-41' |
100 |
0,127 |
90 |
0,02 |
0,0009268 |
0,09268 |
0,002 |
|
| 36-42 |
115 |
1,78 |
90 |
7,83 |
0,0009268 |
0,106582 |
0,41 |
|
| 47-47' |
50 |
0,0635 |
90 |
0,01 |
0,0009268 |
0,04634 |
0,0002 |
|
| 47-47" |
25 |
0,0317 |
90 |
0,005 |
0,0009268 |
0,02317 |
0,00003 |
|
| 47-47'" |
65 |
0,0825 |
90 |
0,013 |
0,0009268 |
0,060247 |
0,0005 |
|
| 47-46 |
40 |
0,2286 |
90 |
0,04 |
0,0009268 |
0,037072 |
0,002 |
|
| 46-46' |
40 |
0,0508 |
90 |
0,008 |
0,0009268 |
0,037072 |
0,0001 |
|
| 46-46" |
25 |
0,0317 |
90 |
0,005 |
0,0009268 |
0,02317 |
0,00003 |
|
| 46-45 |
85 |
0,4191 |
90 |
0,065 |
0,0009268 |
0,078778 |
0,02 |
|
| 45-45' |
40 |
0,0508 |
90 |
0,008 |
0,0009268 |
0,037072 |
0,0001 |
|
| 45-44 |
75 |
0,565 |
90 |
0,09 |
0,0009268 |
0,06951 |
0,03 |
|
| 44'-44 |
95 |
0,1206 |
90 |
0,02 |
0,0009268 |
0,088046 |
0,002 |
|
| 44-43 |
90 |
0,8 |
90 |
0,125 |
0,0009268 |
0,083412 |
0,06 |
|
| 43-43' |
250 |
0,3175 |
90 |
0,05 |
0,0009268 |
0,2317 |
0,03 |
|
| 43-42 |
115 |
1,263 |
90 |
4,22 |
0,0009268 |
0,106582 |
0,2 |
|
| 42-74 |
30 |
2,479 |
90 |
14,4 |
0,0009268 |
0,027804 |
0,21 |
|
| 74-74' |
115 |
0,1405 |
90 |
0,02 |
0,0009268 |
0,106582 |
0,003 |
|
| 74-74" |
50 |
0,0635 |
90 |
0,01 |
0,0009268 |
0,04634 |
0,0002 |
|
| 74-73 |
215 |
2,689 |
110 |
16,6 |
0,0003239 |
0,0696385 |
0,6 |
|
| 73'-73 |
370 |
0,4699 |
90 |
0,073 |
0,0009268 |
0,342916 |
0,1 |
|
| 73-72 |
110 |
3,9815 |
90 |
0,63 |
0,0009268 |
0,101948 |
1,94 |
|
| 72v-72 |
380 |
0,4826 |
90 |
0,076 |
0,0009268 |
0,352184 |
0,1 |
|
| 72-71 |
80 |
4,566 |
90 |
0,72 |
0,0009268 |
0,074144 |
1,9 |
|
Так как результаты гидравлического расчёта свидетельствуют о значительном запасе пропускной способности участков сети, проверочный расчёт на случай пожара не производится.
2.5 Гидравлический расчет водоводов
Гидравлический расчёт водоводов выполнен с использованием таблиц [3]. Потери напора определены по формуле
h = 1,2*1000i*1/1000, (10)
где 1,2 - коэффициент, учитывающий потери напора на местные сопротивления [1]
1000i - потери напора на трение на участке длиной 1000м [3] I - длина участка, м
Результаты расчёта сведены в таблицу 4. При определении расходов на участках сети учтено, что при нормальной работе по каждому из двух водоводов протекает 50% общего расхода. При аварии работающий водовод имеет нагрузку 70% общего расхода
Таблица 4
| Номер |
Длина, м |
Диаметр, |
При |
нормальной работе |
При пожаре |
При аварии |
||||||||
| участка |
мм |
q- л/с |
v, м/с |
10001 м |
h м |
q> л/с |
V, м/с |
1000i м |
Н м |
q> л/с |
V, м/с |
1000i м |
h м |
|
| нс-вб |
4500 |
315 |
18,42 |
0,302 |
0,39 |
0,112 |
30,92 |
2,27 |
35,5 |
0,316 |
12,894 |
0,95 |
7,56 |
0,05 |
| вб |
455 |
250 |
33,52 |
1,02 |
4,98 |
2,73 |
46,02 |
1,40 |
8,74 |
5,15 |
23,464 |
0,72 |
2,65 |
1,34 |
Примечание. В таблице приведены следующие обозначения:
НС - насосная станция первого подъёма
НС- насосная станция второго подъёма
ос - очистная станция
q - расход
v - скорость
2.6 Расчет пьезометрических и свободных напоров
Выбор диктующего направления. Для определения диктующей точки сети рассмотрены направления движения воды:
1) от узла 1 до узла 7
1-2-3-4-5-5* Сумма потерь напора, м h = 3,122
1-2-3-4-5-6-7 h =3,643
1-2-3-7 h=3,38
2) от узла 2 до узлов 11,18
1-2-8-9-15-16-18 h=16,487
1 -2-8-9-10-11 -11’ h = 6,061
1-2-8-9-10-11-11" h = 6,069
1-2-8-9-10-11-11"’ h = 6,032
1-2-8-9-10-12-12' h = 6,04054
1-2-8-9-15-16-17-17* h = 14,3337
1-2-8-9- 15- 16- 18-18' h = 16,48
3) от узла 1 до узла 22
1-2-8-9-15-16-18-19-20-20* h = 16,907
1-2-8-9-15-16-18- 19-20-20" h = 16,927
1-2-8-9-15-16-18- 19-20-20”’ h = 16,9071
1-2-8-9-15-16- 18-19-20-20"’’ h = 16,90703
1-2-8-9-15-16-18-19-21 -21’ h = 16,837
1 - 2- 8- 9 -15- 16 -18- 19 -22- 22’ h = 76,827
1-2-8-9-15-16-18- 19-22-22" h = 16,822
88 -91-91 * Л = 38,879
7) от узла 1 до узла 42, 47, 41
1-2-8-9-15-16-18-23-24-25-26-29-30-31-34-34 ' h = 38,1705 1-2-&-9-15-16-18-23-24-25-26-29-30-31-34-35-35 ' h = 38,36
1 - 2 - 8 - 9 - 15 - 16 - 18 - 23 - 24 - 25 - 26 - 29 - 30 - 31 - 34 - 35 -36 -37-37' h = 38,9106
1-2-8-9-15-16-18-23-24-25-26-29-30-31-34-35-36 -37-38-38 " h = 37,536
1-2-8-9-15-16-18-23-24-25-26-29-30-31-34-35-36 -37-38-39-39 h = 37,666
1-2-8-9-15-16-18-23-24-25-26-29-30-31-34-35-36-37-38-39-40-40* h= 42,852
1-2-8-9-15-16-18-23-24-25-26-29-30-31-34-35-36 -37-38-39-40-41-41 * h = 42,85
1-2-8-9-15-16-18-23-24-25-26-29-30-31-34-35-36 -42 -43-43 h = 47,465
1-2-8-9-15-16-18-23-24-25-26-29-30-31-34-35-36-42-43-44-44 h= 43,298
1-2-8-9-15-16-18-23-24-25-26-29-30-31-34-35-36-42-43-44-45-45* h= 43,33
1 - 2 - 8 - 9 - 15 - 16 - 18 - 23 - 24 - 25 - 26 - 29 - 30 - 31- 34 - 35 -36 -42-43-44-45-46-46 h = 43,345
1-2-8-9-15-16-18-23-24-25-26-29-30-31-34-35-36 -42-43-44-45-46-46" h = 41.99
1-2-8-9-15-16-18-23-24-25-26-29-30-31-34-35-36-42-43-44-45-46-47-47* h = 41,9941
1 - 2 - 8 - 9 - 15 - 16 - 18 - 23 - 24 - 25 - 26 - 29 - 30 - 31- 34 - 35 –36 -42-43-44-45-46-47-47" h = 41,994
1 - 2 - 8 - 9 - 15 - 16 - 18 - 23 - 24 - 25 - 26 - 29 - 30 - 31- 34 - 35 -36 -42- 43- 44- 45- 46-47-47*** h= 41,995
9) от узла 1 до узлов 74, 42
1-52-61-62-55-54-53-13-14-69-69* h =20,775
1- 52- 61- 62- 55- 56- 57- 58- 64- 65- 66- 67- 68- 70-70* h =32,639
1-52-53- 13- 14-69-68-70-70* h =13,093
1-52-53- 13- 14-69-68-70- 70" h =13,092
1-52-61-62-63-59-58-64-65-66-67-68-70-71-72-72* h =26,939
1-52-61-62-63-59-58-64-65-66-67-68-70-71-72-73-74-42 h =29,589
1-52-53-13-14-69-68-70-71-72 -73 -74- 42 h =16,432
1-52-53-13-14-69-68-70-71 -72- 72 h =15,302
1-52-53-13-14-69-68-70-71-72-73 - 73' h =16,3
1-52-53-13-14-69-68-70-71-72-73 -74- 74* h =16,803
1-52-53-13-14-69-68-70-71-72-73-74-74" h =16,8002
1-52-53-13-14-15-16-18-23-24-25-26-29-30-31 -93-87-88-91-92- 9Z h =35,683
1 - 52 - 53 - 13 - 14 - 15 - 16 - 18 - 23 - 24 - 25 - 26 - 29 - 30 - 31 -34-35-36- 4T h =27,803
1 - 52 - 53 - 13 - 14 ~ 15 - 16 - 18 - 23 - 24 - 25 - 26 - 27 - 32 - 93 -87-88-91-92- 9T h =22,9616
Результаты расчёта фактических свободных напоров и пьезометрических отметок приведены в таблицу 5
Таблица 5- Расчет фактических свободных напоров и пьезометрических отметок.
| Номер узла |
Номер участка |
Потери напора |
Отметки |
Требуемый напор |
Факт. напор |
|
| земли |
пьезомете |
|||||
| 1 |
2 |
3 |
4 |
5 |
6 |
7 |
| 1 |
335 |
381,36 |
10 |
44,81 |
||
| 1-2 |
2,05 |
|||||
| 2 |
332,5 |
379,81 |
10 |
44,8 |
||
| 2-8 |
2,51 |
|||||
| 8 |
333 |
377,3 |
10 |
42,91 |
||
| 8-9 |
1,39 |
|||||
| 9 |
332 |
375,91 |
10 |
38,1 |
||
| 9-15 |
5,81 |
|||||
| 15 |
331,5 |
370,1 |
10 |
36,03 |
||
| 15-16 |
2,57 |
|||||
| 16 |
333,5 |
367,93 |
10 |
32,87 |
||
| 16-18 |
1,16 |
|||||
| 18 |
334 |
366,37 |
10 |
31,62 |
||
| 18-23 |
0,75 |
|||||
| 23 |
333,5 |
365,62 |
10 |
29,41 |
||
| 23-24 |
2,71 |
|||||
| 24 |
334 |
362,91 |
10 |
27,86 |
||
| 24-25 |
1,05 |
|||||
| 25 |
332,5 |
361,86 |
10 |
28,28 |
||
| 25-26 |
1,08 |
|||||
| 26 |
334,5 |
360,78 |
10 |
23,21 |
||
| 26-29 |
3,07 |
|||||
| 29 |
334,5 |
357,71 |
10 |
15,88 |
||
| 29-30 |
7,33 |
|||||
| 30 |
333,5 |
350,38 |
10 |
10,45 |
||
| 30-31 |
6,42 |
|||||
| 31 |
332,5 |
343,96 |
10 |
11,16 |
||
| 31-34 |
0,3 |
|||||
| 34 |
331,5 |
343,66 |
10 |
11,97 |
||
| 34-35 |
0,19 |
|||||
| 35 |
332 |
343,47 |
10 |
11,14 |
||
| 35-36 |
0,33 |
|||||
| 36 |
332,5 |
343,14 |
10 |
10,23 |
||
| 36-42 |
0,41 |
|||||
| 42 |
332 |
342,73 |
10 |
10,53 |
||
| 42-43 |
0,2 |
|||||
| 43 |
332,5 |
342,53 |
10 |
10 |
||
| 43-43* |
0,03 |
|||||
2.7 Расчет напорно-регулирующих сооружений
Регулирующий объём водонапорных сооружений определяется совмещением графика работы насосов и сводного потребления. Расчёт приведен в таблице 6.
Wp = 239,31 +92,14 = 331,45 м3
We 6 =WP + \А/пож = 331,45 + 7,5 = 338,95 м3
Wnom = длож * t "60/1000 = 12,5*10*60/1000 = 7,5 м3
Таблица 6 Определение регулирующего объема
| Часы суток |
Водопотребление |
Подача насосов |
в бак |
из бака |
Остаток в баке |
| 0-1 |
10,64 |
66,3 |
55,66 |
55,66 |
|
| 1-2 |
10,64 |
66,3 |
55,66 |
111,32 |
|
| 2-3 |
14,18 |
66,3 |
52,12 |
163,44 |
|
| 3-4 |
14,18 |
66,3 |
52,12 |
215,66 |
|
| 4-5 |
42,55 |
66,3 |
23,75 |
239,31 |
|
| 5-6 |
78,01 |
66,3 |
11,71 |
227,6 |
|
| 6-7 |
78,01 |
66,3 |
11,71 |
215,89 |
|
| 7-8 |
88,81 |
66,3 |
22,51 |
193,38 |
|
| 8-9 |
60,44 |
66,3 |
5,86 |
199,24 |
|
| 9-10 |
60,44 |
66,3 |
5,86 |
205,1 |
|
| 10-11 |
95,9 |
66,3 |
29,6 |
175,5 |
|
| 11-12 |
131} 36 |
66,3 |
65,06 |
11,14 |
|
| 12-13 |
131,36 |
66,3 |
65,06 |
45,38 |
|
| 13-14 |
95,9 |
66,3 |
29,6 |
15,78 |
|
| 14-15 |
81,72 |
66,3 |
15,42 |
0,36 |
|
| 15-16 |
81,72 |
66,3 |
15,42 |
-15,06 |
|
| 16-17 |
- 60,44 |
66,3 |
5,86 |
-9,2 |
|
| 17-18 |
60,44 |
66,3 |
5,86 |
-3,34 |
|
| 18-19 |
95,9 |
66,3 |
29,6 |
-32,94 |
|
| 19-20 |
95,9 |
66,3 |
29,6 |
-62,54 |
|
| 20-21 |
95,9 |
66,3 |
29,6 |
-92,14 |
|
| 21-22 |
53,35 |
66,3 |
12,95 |
-79,19 |
|
| 22-23 |
39,17 |
66,3 |
27,13 |
-52,06 |
|
| 23-24 |
14,18 |
66,3 |
52,12 |
0,06 |
|
| Итого: |
1591,2 |
1591,2 |
Суммарный объем баков существующих водонапорных башен составляет 250 м3 . Дополнительный объем составит 338,95-250 = 88,95 м3 данным проектом в узле с водонапорными башнями предусмотрен резервуар объемом 100 м3 (типовой проект №) и насосная установка, работающая автоматически в зависимости от уровня в баке башни. Подача насоса равна объему одного бака QH = 50 м3 /ч
Требуемый напор, м
Нн =Zмакс -ZОН +h (11)
где ZMaKC - отметка, максимального уровня в баке, ZMaKC = 387,59 Z0 H - отметка оси насоса, Z0 H = 340,5 м
Н - потери напора, при длине напорной линии 25 м и расходе g = 50/3,6 = 13,9л/с, V = 1,37м/с, WOOi = 33,9 м, d = 100мм, h = 1,02 м
Нн =387,59-340,5 + 1,02 = 48,11 м
По подаче и напору приняты насосы марки К45/55 п = 2900 1 рабо чий, 1 резервный
2.8 Расчет сооружений водоподготовки
2.8.1 Установка умягчения воды
Данные для расчёта:
Расчётный расход - 1591,2
Общая жёсткость-10,8 мг-экв/л
Щёлочность (карбонатная жёсткость) -2,3 мг-экв/л
Концентрация взвешенных веществ – отсутствует
Содержание ионов SO4 2 - 95мг/л
Содержание ионов С/" -ЗОмг/л
Содержание ионов Na+ -15мг/л
Для заданных условий наиболее целесообразным является применение параллельного водород - натрий - катионитового метода умягчения, так как при умягчении по схеме параллельного катионирования одновременно снижается щёлочность воды.
Полная производительность установки, м3 /ч
Q4 = KyQpac 4 .cym/24, (12)
Где Ку - коэффициент, учитывающий расход воды на собственные нужды установки, Ку=1,25[1]
Q4 =1.25*1591.2/24= 82,875 м3 /ч
Сумма сульфатных и хлоридных анионов в исходной воде в пересчёте на мг-экв/л составляет
А = (95:48,03)+(30:35,46) = 2,83 мг-экв/л,
т.е. не превышает допустимой величины для данного метода [8]
Содержание ионов натрия составляет
Сд/а = 15:23 = 0,65 мг-экв/л < 1 мг-экв/л [8]
Расход воды, подаваемой на Н - катионитовые фильтры, м3 /ч
Он =Оч (Щ-Щ0 )/(А+Щ), (13)
где Щ - щёлочность исходной воды, Щ = 2,3 мг-экв/л
Що - остаточная щёлочность, Що = 0,03 мг-экв/л [8]
QH = м3 /ч или у %от Qt (14)
QH = 82,875 (2,3-0,03) /(2,83 + 2,3) = 36,6639 м3 /ч или 37%
Рабочая обменная ёмкость Н - катионита, г-экв/м
FH раб = Кэ Fпол - О,5 qудЛ Ск (15)
где Кэ - коэффициент эффективности регенерации Н-катионита, Кэ=0,68[5]
Епол - паспортная полная обменная ёмкость катионита в нейтральной среде, Епол = 500 г-экв/м3 [5]
qУ д - удельный расход воды на отмывку катионита после регенерации, qyd = 5 м3 /м3 [5]
Ск - общее содержание в воде катионов Ca2+ ,Mq2+ , Na+ , К,
Ск =3,48 г-экв/м3
Е"раб = 0,68 * 500 -0,5*5* 3,48 = 331,3 г-экв/м3
Объём Н - катионита, м3
WH = 24 Он (Жоум + CNa )/(np Е"раб ), (16)
где Жоум - общая жёсткость умягчённой воды, Жоум = 0,035 г-экв/м3 [5]
пр -число регенераций каждого фильтра в сутки, пр =2 [5]
WH =24* 36,6639(0,035 + 0,65)/(2 * 331,3) = 0,0908 0,10 м3
Площадь Н - катионитовых фильтров, м2
FH = WH/Hk (17)
где Hk - высота слоя катионита, Нк = 1,5 м [5]
FH = 1,0/1,5 = 0,66 м2 Количество Н-катионитовых фильтров
NH = FН /f (18)
где f- площадь стандартного фильтра заводского изготовления, при диаметре фильтра 1500 мм, f= 1,77 м2 [5]
NH = 0,66/1,77 =0,372=1
Расход воды, подаваемой на Nа - катионитовые фильтры, м3 /ч
QNa =Qч -QH (19)
QNa = 82,875-36,6639 = 46,2111 м3 /ч
Рабочая обменная ёмкость Na - катионита, г-экв/м3
ЕNA РАБ = Кэ R Епол -0,5 qудЛ Жко.исх (20)
где Кэ =0,77; qyd =5 м3 /м3 [5]
R - коэффициент, учитывающий снижение обменной ёмкости катионита по Са2+ и Мд2+ вследствие частичного задержания катионов натрия, R=0,88 [5] Епол - паспортная полная обменная ёмкость катионита в нейтральной среде, Епол =500 г-экв/м3 [5]
Жо исх- - жёсткость исходной воды, Жо исх =10,8 мг-экв/л
ЕNa раб = 0,77 * 0,88 * 500-0,5 * 5 * 10,8 = 311,8 г-экв/м3
Объём Na - катионита, м3
WNa = 24 QNa Жо ум /(пр Е”ра6 ), (21)
WNa = 24 * 46,2111 * 0,35/(2*3118) = 0,6224 м3
Площадь - катионитовых фильтров, м2
FNa = WNa /Hk (22)
где Нк - высота слоя катионита, Нк = 1,5 м [5]
FNa = 0,6224/1,5 = 0,4149 м2
Количество Na -катионитовых фильтров
NNa = FNa /f, (23)
где f- площадь стандартного фильтра заводского изготовления, при
диаметре фильтра 1500 мм, f= 1,77 м2 [5]
NNa = 0,4149/1,77 = 0,234=1
Расход 100% - ной серной кислоты на регенерацию Н-катионитовых фильтров, кг/сут
Pк =Kэ Е”ра6 Hk .fNH np /1000 (24)
Pк = 0,77* 311,8 * 1,5 "4,77* 0,234 * 2/1000 = 0,298кг/сут
2.8.2 Установка обеззараживания воды
Для обеззараживания воды в проекте применена ультрафиолетовая технология обработки воды. Выбор технологии обусловлен:
Во-первых, с новыми научными проработками проблемы, доказывающими, что ультрафиолетовое излучение может применяться как альтернатива окислительным методам (хлорированию, озонированию) за счёт простоты, безопасности и низких эксплуатационных затрат. К бесспорным достоинствам технологии ультрафиолетового обеззараживания относится отсутствие какого-либо воздействия на химический состав воды, что позволяет решать задачи обеззараживания без образования побочных токсичных продуктов.
Во-вторых, серийный выпуск отечественных установок, отвечающих требованиям международных стандартов и способных обеспечить приемлемые технико-эксплуатационные и экономические показатели позволяет значительно расширить область применения ультрафиолетовой обработки.
В-третьих, появилась возможность обеспечения надёжного санитарно-эпидемиологического контроля за обеззараженной водой, так как в 1998 году были утверждены Методические указания («Санитарный надзор за применением ультрафиолетового излучения в технологии подготовки питьевой воды». № 2.1.4.719-98), в которых впервые установлена доза облучения, а также определены правила эксплуатации и контроля работы ультрафиолетовых установок. Величина дозы облучения впервые утверждена в качестве косвенного показателя достижения бактерицидного эффекта.
Целью расчета установок обеззараживания воды является определение мощности излучения, объема камеры и числа ламп заданной мощности. По расходу воды q4 = Qрасч /24=66,4 м3 /ч в проекте приняты 1 УДВ 50/70 установок, выпускаемых НПО ПИТ,
Размеры установки 1400 х 1520 х 420 мм мощность 1,8 кВт. Время пребывания воды в камере
t=
(25)
где S - поперечное сечение камеры, S = 5880 см2
L - длина камеры, L= 152 см
пу - число установок, пу = 1
t=25c
t 10 с, что удовлетворяет требованиям [5]
t=
=48/49 c
Количество ламп
n=
(26)
где NH - требуемая мощность, N„ = 1,8 кВт [5]
Nn - единичная паспортная мощность лампы,
Nn =0,6KBm
n=
=3
Потери напора в бактерицидной установке
h6 = 0,000022 (g4 /ny )2 0,4м (27)
h6 = 0,000022 (66,3/З)2 = 0,01м
2.9 Расчет водозаборных сооружений
Проверочный расчет скважин. Дебит скважины, м3 /сут
Qскв =qуд *S*86,4 (28)
где qyd - удельный дебит, qyd = 3,47 а/с
S - понижение уровня, S = 1,5 м
Qcm =449,7 м3 /сут
Потребное количество скважин
п= 1591,2/449,7 4скв.
С учетом перспектив развития с-Бурибай потребуется расширение водозабора до 5 скважин (4 рабочих и 1 резервная)
2.10 Подбор насосов
Подача насосов 18,7 м3 /ч Требуемый напор, м
Нтр = ZMaKC - Z0 H +h6 + hф + hв + h3 H (29)
где Zмакс - отметка максимального уровня воды в баке башни, Zмакс=387,59 м
Zqh - отметка оси насосов, Z0 H = 306,04 м
hб - потери напора в бактерицидной установке, h6 =0,01 м
hф - потери напора в фильтре, hф = 5,5 м [1]
hв - потери напора в водоводах от скважин до башен,hв =0,11м h3 H - запас напора, h3 H = 1м
Нтр = 387,59-306,04+ 0,01 +5,5 + 0,11 + 1 = 88,17 м
В скважинах установлены насосы марки 1ЭЦВ6-16-110Г, которые обеспечивают расчетные параметры.
3. Эксплуатационный раздел
3.1 Автоматизация работы насосов
Использование регулируемого электропривода насосных агрегатов в системах коммунального и промышленного водоснабжения в течение последних 5-7 лет явилось предметом пристального внимания со стороны эксплуатирующих организаций. Стало очевидно, что регулирование скорости рабочего колеса насосов позволяет существенно повысить энергетические показатели установок, получить значительную экономию электроэнергии, и сократить потери воды за счет исключения избытка давления в гидравлической сети. К настоящему времени в различных городах и регионах России накоплен значительный опыт применения регулируемого электропривода насосных агрегатов для систем холодного и горячего водоснабжения.
В большинстве случаев реализация этого технического мероприятия выполняется в порядке модернизации действующих насосных станций: в цепи питания асинхронного двигателя насоса устанавливаются преобразователи частоты, позволяющие регулировать скорость двигателя. При этом используются преобразователи иностранных компаний: Hitachi (Япония), Mitsubishi (Япония), Dan Foss (Дания) и др., а также разработки отечественных фирм: "Триол", "Приводная техника", ЧЭАЗ, МПП "Цикл" и прочих.
Существующая практика внедрения регулируемого электропривода для насосных агрегатов выявила определенные недостатки в организации и техническом содержании этих работ. Отсутствует единая техническая политика в данной области. Разрозненная поставка насосных агрегатов, коммутирующего электрооборудования, преобразователей частоты и устройств автоматики затрудняет проектирование и внедрение автоматизированных насосных станций. А несогласованность отдельных элементов может снизить эффективность использования регулируемого электропривода насосных агрегатов.
Эффективное использование возможностей регулируемого электропривода и систем автоматики может быть в полной мере реализовано, если это станет делом насосостроительных предприятий. Такая тенденция ярко проявляется в деятельности передовых зарубежных фирм. Указанный тезис может быть обоснован научно-техническими, конструкторскими, проектными, организационными, маркетинговыми и эксплуатационными соображениями.
Насосный агрегат для экономичной эксплуатации должен иметь возможность адаптироваться к условиям и режимам работы конкретного потребителя. Для этого необходимы:
• согласование характеристик насоса с характеристиками гидравлической сети, на которую он работает;
• согласование характеристик параллельно работающих насосов;
• обеспечение переменного режима работы, связанного с регулированием подачи воды в соответствии с нуждами потребителя.
Сегодня избыток давления (напора) большинства насосных станций и гидравлических сетей до 40% превосходит объективно требуемый уровень, что вынуждает гасить избыток напора гидравлическими средствами. Это связано с тем, что при проектировании насосных станций насосы выбираются из стандартного ряда с большим запасом по напору и рассчитываются на максимальный режим расхода. Рабочая зона реального режима работы не всегда совпадает с зоной оптимального КПД насосов.
Если насос работает с постоянной стандартной скоростью вращения, то необходимая адаптация осуществляется внешними гидравлическими средствами, что связано со значительными потерями энергии. Также следует отметить, что при конструировании насоса его характеристики оптимизируются для узкой рабочей области одного номинального режима, которая практически не используется. На практике высокий уровень КПД наших насосов остается невостребованным.
Одним из главных преимуществ использования регулируемого электропривода насосных агрегатов является возможность адаптации его характеристик к характеристикам гидравлической сети посредством выбора рациональной номинальной скорости вращения рабочего колеса, отвечающей основному режиму работы установки. При этом номинальная скорость может быть как выше, так и ниже стандартного значения.
Большинство насосов и насосных станций работает или объективно должны работать с переменной производительностью. Гидравлические способы не экономичны и не дают возможности автоматизированного регулирования.
Второе принципиальное преимущество регулируемого электропривода состоит в том, что если насосный агрегат должен работать с переменной производительностью, то с энергетической точки зрения это наиболее рационально осуществлять путем регулирования скорости рабочего колеса насоса. На основании вышеизложенного можно предложить установочную систему СТЭП.
Станция управления типа СТЭП предназначена для автоматического, дистанционного и ручного управления технологическими электроприводами, насосными агрегатами и вентиляторами с асинхронными электродвигателями с короткозамкнутым ротором, в том числе работающих в системах холодного и горячего водоснабжения, системах отопления и вентиляции. Станция СТЭП может работать как составная часть системы электрооборудования центральных и индивидуальных тепловых пунктов, насосных, котельных, промышленных установок и технологических комплексов.
Станция управления автоматизированным технологическим электроприводом типа СТЭП соответствует ГОСТ Р 51321.1-2000 (МЭК 60439-1-92), ТУ3431-001-78539533-2005 и имеет сертификат соответствия №РОСС RU.ME79.B00915
![]()
Станция управления состоит из:
• преобразователя частоты со встроенным ПИД-регулятором, обеспечивающим плавный пуск и останов, а также управление любым электродвигателем станции в функции выбранной технологической переменной (для станций с преобразователем частоты СТЭП-Х-Х-Х-Ч-Х-Х);
• плавного пускателя (софт-стартера), обеспечивающего плавный пуск и останов, ограничение пусковых токов электродвигателей, отсутствие гидравлических и механических;
• блока сопряжения с системой дистанционного управления, осуществляющей выдачу управляющих воздействий на преобразователь частоты (плавный пускатель) и электродвигатели;
• блока автоматики, осуществляющего получение и обработку информации, и выдачу управляющих воздействий на преобразователь частоты (плавный пускатель) и электродвигатели;
• панели управления и сигнализации, позволяющей осуществлять выбор режима управления преобразователем частоты (плавным пускателем) и насосными агрегатами, визуальный контроль за режимами работы преобразователя частоты (плавного пускателя) и каждого агрегата, а также оперативно изменять значение регулируемого параметра непосредственно с панели управления;
• пускозащитной аппаратуры, осуществляющей подключение выбранного агрегата к выходу преобразователя частоты (плавного пускателя) или сети, и защиту от коротких замыканий и перегрузок по току.
![]()
Основные функции станций управления
• поддержание заданного значения технологического параметра. Например, давления на выходе группы насосных агрегатов;
• режим работы электродвигателей рабочий резервный или рабочий дополнительный;
• автоматическая смена работающих электродвигателей через заданные интервалы времени для обеспечения равномерной загрузки (для станций управления типа СТЭП1;
• контроль над работой агрегатов и переключение на резервный при аварии рабочего (для станций управления типа СТЭП1;
• обеспечение оперативного управления режимами работы станции непосредственно с панели управления;
• возможность запуска и останова каждого агрегата в режиме ручного управления прямым пуском от сети;
• выдача на диспетчерский пульт сигналов о режимах работы станции ;
• защита электродвигателей от перегрузки и действия токов короткого замыкания.
Характерным направлением в развитии автоматизированного электропривода является создание комплектных устройств, управления, которые особенно целесообразны для таких механизмов, как насосы, вентиляторы и компрессоры, вследствие относительной простоты. В качестве примера на рисунке приведен один из упрощенных вариантов схемы управления электроприводом погружной насосной установки, которая используется для подачи воды из скважин в баки; водонапорных башен или в другие резервуары. Все электрооборудование схемы управления поставляется промышленностью в комплектном виде. Большая его часть выполняется на логических элементах и предназначается для установок, работающих в сырых помещениях при наличии брызг и агрессивной среды.
В приведённом примере асинхронный короткозамкнутый двигатель АД, конструктивно выполненный совместно с насосом, устанавливается в скважине и питается по кабельной линии от силовой сети переменного тока через автоматический выключатель АВ и контактор Л. Схемой управления предусмотрены три режима работы двигателя: с местным, автоматическим и дистанционным управлением.
Автоматическое управление насосом осуществляется в зависимости от уровня воды в баке водонапорной башни или резервуаре. В этом режиме работы замкнуты контакты выключателя В1. При отсутствии воды в баке контакты датчиков нижнего и верхнего уровней КНУ и КВУ разомкнуты. Поэтому на входе элемента Э6 напряжение U отсутствует (сигнал 0), а на его выходе имеется сигнал 1. Этот сигнал подается на усилитель мощности Э7, который включает реле Р. Последнее замыкает свой контакт в цепи катушки контактора Л, контактами которого включается двигатель АД насоса, и вода поступает в водонапорную башню. При достижении нижнего уровня замыкается контакт датчика КНУ, однако он не производит никаких переключении в схеме, так, как в это время разомкнут последовательно включенный с ним контакт реле Р. При достижении верхнего уровня замыкается контакт КВУ и на вход элемента Э6 от источника напряжения U поступает сигнал 1, который отключает реле Р и контактор Л. Двигатель останавливает поступление воды в бак прекращается. При снижении уровня воды контакт КВУ снова размыкается, однако на входе элемента 36 по-прежнему остается сигнал 1, который подается от источника напряжения U через замкнутые контакты КНУ и Р. Поэтому двигатель насоса не включается. Двигатель включится лишь тогда, когда уровень воды станет ниже места установки датчика КНУ. При этом контакт КНУ разомкнётся, на вход элемента Э6 поступит сигнал 0, и цикл работы насоса повторится.
Дистанционное управление позволяет диспетчеру, находящемуся на значительном удалении от скважины, включать и отключать насос вне зависимости от его работы в автоматическом режиме управления. Оно осуществляется при подаче команд от устройств телемеханики на исполнительные реле включения РИВ и отключения РИО. Если диспетчеру необходимо отключить работающий насос, то по команде телемеханического устройства включается реле РИО, контакт которого подает сигнал 1 на вход элемента 36. 1 Включение насоса осуществляется при подаче диспетчером команды, включающей реле РИВ. Размыкающий контакт последнего подает на вход элемента 36 сигнал 0.
Для осуществления местного управления насосом необходимо разомкнуть контакты выключателя В1. При этом на входе элемента 36 будет постоянно присутствовать сигнал 0, а на его выходе — сигнал 1. Поэтому на выходе усилителя 37 постоянно имеется напряжение, которое включает либо отключает катушку реле Р в зависимости от положения контактов выключателя местного управления В2.
Схема управления предусматривает отключение двигателя насоса при перегрузке, при работе двигателя на двух фазах, при симметричных и несимметричных токах короткого замыкания. Во всех перечисленных случаях увеличивается ток в фазах статора двигателя, что приводит к увеличению постоянного напряжения на выходе выпрямителя, подключенного к выходным обмоткам трансформатора тока 77"? - ТТ3 . Это напряжение подается на релейный элемент. 31, который преобразует непрерывный сигнал в дискретный, необходимый для управления схемой логики. Сигнал с выхода элемента 31 поступает на вход В элемента временной задержки 32. Последний имеет характеристику с обратной зависимостью выдержки времени от тока в цепи статора двигателя. Непрерывный сигнал, пропорциональный току статора подается на вход Л элемента 32. При превышении тока уставки, которая регулируется резистором R, срабатывает релейный элемент, и сигнал 1 с вы держкой времени, обратно пропорциональной току, подается на вход элемента 33. Элементы 33 и 34 образуют элемент «Память», поэтому сигнал о срабатывании защиты запоминается и подается с выхода 34 на входы элементов 35 и 36. Первый из них включает сигнальную лампу ПС, а второй отключает реле Р и соответственно двигатель насоса.
Для стирания «Памяти» перед пуском двигателя необходимо нажать кнопку К, через замкнутые контакты которой подается сигнал 1 на вход элемента Э4.

Рисунок 4 – Схема управления асинхронным двигателем погружного насоса
3.2 Контроль процессов обработки воды
В 1998 году были утверждены Методические указания ("Санитарный надзор за применением ультрафиолетового излучения в технологии подготовки питьевой воды". № 2.1.4.719-98), в которых наряду с дозой облучения определены правила эксплуатации и контроля работы УФ-установок. Величина дозы облучения впервые утверждена в качестве косвенного показателя достижения бактерицидного эффекта и составляет 16 мДж/см. Контроль за надёжностью УФ-установок оценивается:
• наличием датчиков измерения интенсивности УФ-излучения в камере обеззараживания;
• наличием системы автоматики, гарантирующей звуковой и световой сигналы при снижении минимально заданной дозы;
• наличием счётчиков времени наработки ламп и индикаторов их исправности.
Достижение необходимой степени обеззараживания оценивается по микробиологическим показателям.
Для оперативного технологического контроля работы УФ-установок предлагается проводить контроль по дозе облучения и времени пребывания воды в камере обеззараживания.
Умягчение катионированием, вода получается более коррозионно-активной, чем исходная, из-за полного отсутствия в ней бикарбоната кальция, который при определенных условиях может образовывать защитный слой карбоната кальция на поверхности металла, находящегося в контакте с водой.
При контроле качества фильтрата катионитовых установок особое внимание уделяется определению показателей, так или иначе связанных с понятием жесткости и щелочности карбонатной и гидратной, содержанию солей кальция и магния, общему солесодержанию, величине рН, содержанию анионов.
В процессе работы катионитов дополнительно необходимо периодически проверять поглощение или вынос из них фильтратом органических веществ.
3.3 Техника - безопасности и противопожарная защита
Система подачи и распределения воды состоит из трубопроводов, по которым вода транспортируется потребителям, водонапорных башен, резервуаров, колонн, пневматических установок, устраиваемых для регулирования расхода воды в сетях водоснабжения. Эксплуатация системы подачи и распределения воды в основном заключается в управлении режимом их работы, надзоре за состоянием и сохранностью сетей, сооружений и устройств, текущем ремонте труб и оборудования, промывке трубопроводов и ликвидации аварий. Для выполнения этих работ создаются эксплуатационные и ремонтно-аварийные бригады.
Для обеспечения нормальной эксплуатации водоводов и сетей водоснабжения устанавливают задвижки для регулирования и выделения ремонтных участков, выпуски для сброса воды, клапаны и аппаратуру для автоматического выключения участков сети при возникновении - аварийного режима.
Для спуска в колодец на его горловине и стенках предусмотрены рифленые стальные или чугунные скобы либо металлические лестницы. Скобы в колодцах должны иметь толщину не менее 16 мм, расстояние от стены — не менее 130 мм в свету. Скобы располагают в шахматном порядке, на расстоянии одну от другой не более 350 мм по высоте и 300 мм по горизонтали между центрами скоб. Диаметр горловины колодцев или камер на сетях должен быть не менее 0,7 м. Горловины и люки в колодцах располагают таким образом, чтобы имеющееся в них оборудование не препятствовало спуску рабочих.
Работы, связанные со спуском персонала в колодцы. У камеры, относятся к разряду опасных, поэтому на их выполнение оформляют наряд-допуск с указанием возможных опасностей и мер защиты. К работам, связанным со спуском в колодцы, допускается бригада, состоящая не менее чем из 3 чел.: один работает в колодце, второй—на поверхности, третий наблюдает за работающими и оказывает им помощь в случае необходимости. При работах в камерах бригада должна состоять не менее, чем из 4 чел. Бригады доставляют к месту работы специальным транспортом, на котором имеются комплект защитного инвентаря, инструмент, материалы и ограждения.
Крышки колодцев и камер открывают специальным крючком длиной не менее 80—90см. Нельзя открывать крышки руками. Не разрешается также использовать для открывания крышек колодцев случайные приспособления (короткие стержни, скобы и другие предметы). Снятую крышку укладывают рядом с колодцем в направлении движения транспорта, чтобы избежать возможного наезда автомобилей.
В колодцах и камерах сетей водоснабжения могут находиться газы, вредные для организма человека (метан, углекислый газ, сероводород). Они проникают в колодцы и камеры системы водоснабжения через грунт при нарушениях труб газопроводов или систем канализации. Поэтому перед спуском в колодцы сетей водоснабжения следует проверить наличие в них газов с помощью лампы ЛБВК и при необходимости удалить их. Вблизи колодца не разрешается курить и пользоваться открытым огнем.
При работе в колодце в зимнее время площадку вокруг люка необходимо тщательно очищать от снега или льда и посыпать её песком, золой или шлаком. При ручном управлении задвижками в колодцах рекомендуется пользоваться штангой-вилкой.
Спускаться в колодец для выполнения такой работы запрещается.
Если колодцы и камеры расположены между железнодорожными или трамвайными путями, то проводить работы в них разрешается лишь при условии предварительного согласования их проведения с организациями, ведающими эксплуатацией путей. В исключительных (аварийных) случаях ремонтные работы могут проводиться с ведома диспетчера соответствующих организаций.
Бригады, выполняющие работы в колодцах, камерах и проходных каналах, обеспечиваются спецавтомашинами, защитными средствами и приспособлениями, предохранительными поясами на каждого члена бригады с лямками и веревками с карабином, сигнальными жилетами, защитными касками, изолирующими противогазами, лампами ЛБВК, аккумуляторными фонарями, ручными или механическими вентиляторами, переносными знаками, крючками и ломами для открывания крышек, колодцев, шестами или складной линейкой для проверки прочности скоб, аптечкой первой доврачебной помощи.
Концентрацию хлора для дезинфекции водопроводных сетей определяют на основании лабораторного анализа в зависимости от загрязненности труб (20—30 мг/л). Баллоны с хлором размещают так, чтобы не было возможности наезда на них транспорта. При хлорировании водопроводных сетей баллоны с хлором устанавливают на весы, по которым следят за их опорожнением. Контроль за ходом хлорирования и количеством хлора, растворяемого в воде, осуществляет дежурный лаборант на месте производства работ. Давление в баллоне, а также давление воды в трубах проверяют манометрами.
Летом баллоны с хлором должны находиться в тени, чтобы на них не попадали прямые солнечные лучи, так как при повышении температуры давление в баллонах может подняться до опасного. Баки для приготовления хлорного раствора должны быть плотно закрыты крышками. Рабочие, занятые хлорированием сетей, должны знать, какой участок сети будет находиться под действием хлора и какова продолжительность процесса хлорирования. Во время хлорирования сети должны быть выставлены пикеты (из членов бригады) во избежание несчастных случаев с посторонними.
Персонал, ведущий хлорирование сетей, должен иметь фильтрующие противогазы марки В (кроме того, на месте работ должен быть один шланговый противогаз ПШ-1), индивидуальные рабочие грубошерстные костюмы, прорезиненные нагрудные фартуки, резиновые сапоги и резиновые перчатки. На месте работы должен иметься флакон нашатырного спирта для обнаружения утечек хлора.
При хлорировании сетей рабочие обязаны пользоваться противогазом, резиновыми сапогами и резиновыми перчатками в следующих случаях: при чистке и промывке растворных баков для хлорной извести;
установке и включении в сеть водоснабжения баллонов с хлором; утечках хлора (даже незначительных), поисках мест утечек и их устранении.
Удалять воду с растворенным хлором после обработки, труб в открытые водоемы (реки, озера, пруды) следует малыми порциями, чтобы исключить возможность отравления людей, животных и рыбы. Спускать эту воду в канализацию при наличии очистных сооружений запрещается, так как она может вызвать гибель активного ила и нарушить процесс биологической очистки сточных вод. Обрабатываемый участок промывают до тех пор, пока количество остаточного хлора в питьевой воде не достигнет 0,3—0,5 мг/л. Анализ проб воды берет дежурный лаборант на месте промывки. Участки сети, подвергнутые хлорированию, можно вводить в эксплуатацию только после получения разрешения органов санитарного надзора.
Резервуары, водонапорные башни и пневматические установки служат для накопления запасов воды, обеспечивающих бесперебойность системы водоснабжения и равномерность работы насосных станций. В часы, когда подача воды насосами превышает потребление, избыток воды поступает в регулирующие емкости. Когда расход воды потребителями превышает подачу, недостающее ее количество пополняется из регулирующей емкости.
Эксплуатация регулирующих емкостей системы подачи и распределения воды включает контроль за качеством и уровнем воды, а также надзор за санитарным состоянием баков и помещений.
Территории, где размещаются резервуары и водонапорные башни, должны быть ограждены, озеленены, благоустроены и содержаться в чистоте. Посторонние на территорию не допускаются. Входы в подземные резервуары, водонапорные башни и пневматические установки должны быть герметически закрыты и опломбированы, Порядок входа устанавливают местные инструкции.
Резервуары и баки оборудуют контрольно-измерительными приборами для контроля за уровнем воды, показания которых передаются в диспетчерскую или па насосную станцию. Предусматривается также устройство для взятия пробы воды без доступа обслуживающего персонала в помещение. Помещения водонапорных башен и пневматических установок обеспечиваются естественным освещением.
Резервуары и баки периодически очищают от отложений и дезинфицируют. Периодичность чисток определяется местными инструкциями, но во всех случаях они должны выполняться не реже одного раза в 2—3 года. Разрешение на чистку или ремонт оформляют приказом по предприятию и согласовывают с местными органами санитарного надзора.
К производству работ, проводимых в резервуарах и баках водонапорных башен и пневматических установок, предъявляют такие же требования техники безопасности, как к работам в емкостных сооружениях водоснабжения.
Бригада для работы в емкостных сооружениях должна состоять не менее чем из 3 чел. Прежде чем приступить к чистке или ремонту баков или резервуаров, закрывают и опечатывают задвижки на подводящем и отводящем трубопроводах, отключают электрическое оборудование, а на пультах управления вывешивают знаки с предупредительной надписью.
Перед началом работ емкости освобождают от воды, проверяют герметичность задвижек, устраняют загазованность (проветриванием или вентиляцией). Рабочие, выполняющие чистку и ремонт регулирующих емкостей, должны пользоваться спецодеждой, спецобувью, предохранительными поясами, веревками, а в необходимых случаях — противогазами. При хлорировании емкостей должны соблюдать правила безопасности при работе с хлором и его растворами.
На территории сооружений водопроводного хозяйства предусматривают систему противопожарного водоснабжения. Вдоль дорог на расстоянии не более 100 м один от другого устанавливают пожарные гидранты. Отапливаемые здания и производственные помещения оборудуют внутренними пожарными кранами. Пожарные крану устанавливают на лестничных клетках и в коридорах в специальных шкафах. В этих же шкафах находится брезентовый рукав длиной не менее 10 м со стволом. Число пожарных кранов и расположение их должны быть такими, чтобы обеспечить подачу воды в любую точку. В случае полного выхода из строя насосной водопроводной станция и полного прекращения подачи воды в противопожарную сеть вода должна подаваться от водонапорной башни в аварийном порядке.
Ответственность за обеспечение пожарной безопасности предприятия несет его руководитель, а на рабочих местах – мастер. До начала работы каждый работающий при проведении вводного инструктажа должен быть проинструктирован об общих мерах противопожарной безопасности на предприятии, о личном соблюдении противопожарных требований, а также обучен пользованию простейшими средствами пожаротушения.
Администрация предприятия обязана заранее разработать план Эвакуации персонала на случай возникновения пожара, который вывешивают на видном месте.
При возникновении пожаров или загорании следует немедленно сообщить об этом в пожарную охрану по телефону 01 и объявить пожарную тревогу звуковыми сигналами или по местному радио. Одновременно принимают меры к тушению пожара с помощью имеющихся для тушения пожаров средств.
Для тушения пожаров используют воду, воздушно-механическую пену, водяной пар, песок или специальные химические вещества. Наиболее распространенным средством пожаротушения является вода. Она благодаря большой теплоемкости эффективно отбирает тепло от очага пожара, понижая тем самым его температуру, и предотвращая горение. Однако воду нельзя применять для тушения горючих жидкостей (бензина, нефти, керосина, бензола и т. п.), так как она из-за большой плотности поступает на дно емкостей, увеличивая площадь поверхности горящей жидкости. Запрещается также использовать воду для тушения загорании электроустановок, находящихся под напряжением, так как вследствие электропроводности возможно поражение людей электрическим током. Нельзя пользоваться для этой цели огнетушителями с химической пеной. Если не удается обесточить электроустановки, для их тушения применяют углекислотные огнетушители или сухой песок.
В каждом помещении, где имеется опасность загорания и пожара, должен быть комплект ручного противопожарного инвентаря: лопата, ломы, крюки, багры, ящик с песком, бочки с водой, ведра, огнетушители, перезаряженные в установленные сроки. Противопожарный инвентарь и огнетушители размещают в легкодоступных местах.
4. Мероприятия по охране окружающей среды
Государственный учет поверхностных и подземных вод представляет собой систематическое определение и фиксацию в установленном порядке количества и качества водных ресурсов, имеющихся на данной территории. Государственный учет поверхностных и подземных вод осуществляется в целях обеспечения текущего и перспективного планирования рационального использования водных объектов, их восстановления и охраны. В Республике Башкортостан принята Президентская программа «Питьевые и минеральные воды Республики Башкортостан»
Для достижения целей и решения задач программы предусматриваются следующие основные мероприятия:
- поисково-разведочные работы для выявления и уточнения запасов подземных питьевых и минеральных вод;
- реконструкция и строительство водозаборов подземных вод и водоочистных сооружений;
- строительство в городах, рабочих поселках и районных центрах пунктов реализации населению питьевой родниковой воды категории высшего качества в тару потребителя;
- реконструкция и строительство водоводов, уличной водопроводной сети, систем водоотведения и сооружений для очистки сточных вод.
В данном проекте разработаны мероприятия по защите и охране окружающей среды, включающие защиту и охрану водоёмов почвы и воздуха. В проекте для защиты и охраны водоёмов от загрязнения и истощения предусмотрены следующие мероприятия:
1) На установке водоподготовки внедрено умягчение воды с повторным использованием очищенных промывных вод.
2) На водозаборе предусмотрены необходимые мероприятия по
3) обеспечению бесперебойной работы насосов для непрерывной подачи воды потребителям, (резервные насосные агрегаты, автоматическая работа, двойное электроснабжение из двух независимых источников и т.д.)
4) Водоводы и водопроводные сети тщательно герметизируются во избежание потерь воды из-за утечек.
5) При опорожнении участков сетей откачка воды производится в мокрые колодцы с последующим перепуском воды в водоём, что исключает подтопление территории.
Для защиты и охраны почвы и подземного потока в проекте предусмотрены следующие мероприятия:
1) Все емкостные сооружения выполнены из стальных конструкций с антикоррозийным покрытием во избежание образования утечек воды.
2) Бытовые стоки, образующиеся на объектах системы водоснабжения со сбросом стоков в систему бытовой канализации и далее на очистку.
3) Все трубопроводы, укладываемые в земле, герметизируются путем тщательной заделки стыков.
4) Все резервуары оборудованы переливными трубопроводами с подключением к канализации.
5) Для предупреждения активизации опасных геологических процессов и предотвращения загрязнения грунтов, поверхностных и подземных вод предусматриваются профилактические мероприятия по охране и улучшению природной среды, а также по защите территории от опасных геологических процессов. Для защиты от подтопления подземными водами предусматриваются следующие мероприятия: понижение уровня подземных вод системой дренажа; устранение утечек из резервуаров и подземных коммуникаций; строительство открытого дренажа ливневых стоков.
Для защиты и охраны воздуха от загрязнения в проекте предусмотрены мероприятия:
1) Теплоснабжение объектов водоснабжения предусматривается от котельной, но дымовые газы проходят очистку на фильтрах.
Вышеперечисленный комплекс мер улучшения окружающей среды и защиты с проектируемой сети и сооружений позволяет обеспечить надежность эксплуатации, создать благоприятные и безопасные условия для обслуживающего персонала, что соответствует экологическим требованиям "Закона РФ об охране окружающей природной среды".
5. Экономическая раздел
5.1 Расчет капитальных вложений на проектирование и строительство трубопроводов сооружение водоснабжения
Капитальные вложения определяем по указанным показателям стоимости строительства трубопроводов и сооружений водоснабжения.
Общую стоимость строительства объекта определяем суммированием её отдельных элементов.
Показатели стоимости сооружений являются комплексными и включают все затраты по данной площадке, в том числе на внутриплощадочные коммуникации, благоустройство и вертикальную планировку площадки, её отражение и т.п.
Показатели стоимости строительства сооружений и трубопроводов применяем в ценах 1991г. и для перевода их в цены на текущий момент все данные умножаем на индекс изменения.
Стоимости (Кинд=48,46). Размер капитальных вложений на приобретение и монтаж установок умягчения в текущих ценах.
Расчёт капитальных вложений на строительство сооружений и прокладку трубопроводов выполняем в табличной форме.
Таблица7 – Расчёт капитальных вложений
| № п/п |
Обоснование |
Наименование работ и затрат, единица измерения |
Количество |
Стоимость единицы измерения, руб. |
Общая стоимость, тыс.руб. |
| 1 |
2 |
3 |
4 |
5 |
6 |
| 1 |
Табл.1 |
Прокладка водоводов и сетей: - водоводы: α 250,мм, м α 315,мм. м - сети: α 250,мм, м α 200,мм, м α 180,мм, м α 160,мм, м α 140,мм, м α 120,мм, м α 125,мм, м α 110,мм, м α 90,мм. м Стоимость трубопроводов |
455 4500 805 585 1535 670 905 110 400 830 19145 29940 |
17 21 27 22 20,8 19,6 18,2 16,6 17,0 15,8 15,0 |
7,7 94,5 21,7 12,9 31,9 13,1 16,5 1,8 6,8 13,1 287,2 507,2 |
| 2 |
Табл.2 |
Строительство водозаборных скважин, единиц |
5 |
137,2 |
|
| 3 |
Табл.8 |
Строительство водонапорной башни, единиц |
5 |
105,0 |
|
| 4 |
Табл.7 |
Строительство резервуара объёмом 100м3 |
1 |
17,5 |
|
| Стоимость сооружений Итого в базисных ценах |
259,7 766,9 |
||||
| Приложение 2,3 |
То же с учётом отраслевого территориального коэффициента и коэффициента в особых условиях – трубопроводы (котр =1,04; коу =1) - сооружения (котр =1,04; коу =1) Стоимость строительства в текущих ценах (кинд =48,46) - трубопроводов - сооружений Итого |
527,5 25562,7 13089,0 38651,7 |
|||
| 5 |
Прайс-лист |
Установка умягчения воды Расчёт: См=0,15*794,6=119,2; КВ=794,6+119,2=913,8 |
1 |
913,8 |
|
| 6 |
Прайс-лист |
Установка обеззараживания воды УДВ 50/70 См=0,15*250,0=37,5; КВ=250+37,5=287,5 |
1 |
287,5 |
|
| Всего капитальных вложений в том числе трубопроводы сооружения |
39853,0 13089,0 26764,0 |
5.2 Расчёт производственной программы
Годовой объём водопотребления, измеряемый полезным отпуском воды всем потребителям, он разделяет производственную программу предприятия на год, на основе которой рассчитываем все остальные технико-экономические показатели.
Фактически производство воды водопроводом значительно больше, чем полезный отпуск воды её потребителем.
Количество воды забираемой из водоисточника в год определяем по формуле:
Qгод=Qмак.сут.*D, тыс.м3 (30)
где Qмак.сут. – поднято воды насосами (1,25+1591,2=1989м3 /сут.)
D – число календарных дней в году
Qгод=1989*365+726,0 тыс.м3
5.3 Определение годовых эксплуатационных затрат (себестоимости)
Себестоимость услуг водоснабжения представляет собой стоимостную оценку используемых в процессе производства и реализации услуг природных ресурсов, сырья, материалов, топлива, энергии, основных средств, трудовых ресурсов, а так же других затрат на их производство и реализацию.
Полная себестоимость отпущенной (потреблённой) воды включает в себя затраты на:
- электроэнергию;
- материалы;
- топливо;
- оплату труда;
- отчисление на соц. нужды;
- амортизацию;
- ремонт и техническое обслуживание (ремонтный фонд);
- цеховые расходы;
- общеэксплуатационные (общехозяйственные) расходы;
- внеэксплуатационные расходы.
5.3.1 Расчёт затрат на электроэнергию
Расчёт затрат на этой статье себестоимости осуществляется на основе данных об удельном расходе электроэнергии на единицу куб.м воды, объёме воды и тарифа за 1 кВт.ч. электроэнергии.
Объём электроэнергии, израсходованной всеми электропотребителями для технологических нужд определяется по формуле:
- для насосов:
WкВт=Ni*Q*H, Квт.ч, (31)
где Ni – удельный расход электроэнергии для подъёма 100м3 на 1м подъёма;
Q – количество воды, перекачиваемой за год, тыс.м3 .
H – средняя за год высота подъёма воды насосами, м.
Wскв кВт=5,98*726*88,17=382788,3
Wрез кВт=4,43*580,8*48,11=123784,3
- для бактерицидных установок обеззараживания подземных вод.
WкВт=Ni*Q
WкВт=20*726=14520 кВт.ч.
Расходы электроэнергии на вспомогательные нужды (освещение, вентиляцию, отопление, грузоподъёмные механизмы и т.п.) определяем в размере 10% от общего расхода электроэнергии.
Wвсн.м. кВт=(382788,3+123784,3+14520)*0,1=5210,3
Потери электроэнергии в электрических сетях и силовых трансформаторах определяем в размере 6% от общего расхода электроэнергии
Wu=(521092,6+52109,3)*0,06=34392,1
Технические характеристики электропотребителей и результаты расчётов заносим в таблицу.
Таблица 8 – Расход электроэнергии
| Наименование потребителя, марка |
Количество потребителей |
Мощность электропотребителя, кВт |
Суммарная мощность электропотребителей, кВт |
Время работы эл. потр. В течении года, часа |
Активный расход электроэнергии, кВт.ч./год |
| 1 |
2 |
3 |
4 |
5 |
6 |
| 1. Насосы 1 ЭЦВ6-16-110Г |
4 |
9,2 |
36,8 |
8760 |
382788,4 |
| 2. Насосы К 45-55 |
1 |
10,8 |
10,8 |
2920 |
123784,3 |
| 3. Бактерицидная установка УДВ 50/70 |
1 |
1,8 |
1,8 |
8760 |
14520 |
| ИТОГО |
49,4 |
521092,6 |
|||
| 4. Расходы электроэнергии на вспомогательные нужды, 10% |
52109,3 |
||||
| 5. Потери электроэнергии в электросетях и силовых трансформаторах, 6% |
34392,1 |
||||
| Всего |
607594,0 |
Сумму затрат на электроэнергию определяем по формуле:
Сэл=Тэл*WкВт.ч., тыс.руб. (32)
Где Тэл – ставка тарифа за потреблённую энергию, руб./кВт.ч, дифференцированную по диапазонам годового числа часов использования (от 7000 и выше по низкому напряжению – 223ком.
Сэл =2,23*607594,0=1354,9 тыс.руб.
5.3.2 Расчёт затрат на материалы
Расход материалов в год определяем по формуле
Pi=0,298*365=108,8кг (33)
Годовые затраты в денежном выражении на материалы определяем
См(р)=Σ Pi*Цзi, тыс.руб.
где Цзi – цена за единицу измерения, руб.
Серная кислота
См(р)=108,8*0,583=63,4=0,06т.р.
Лампы=1*30=30 тыс.руб.
Всего=30,06 тыс.руб.
5.3.3 Расчёт затрат на оплату труда
Исходными данными для расчёта затрат на оплату труда являются нормативы численности персонала, тарифные ставки, размеры премий и доплат за условия труда, режим труда и др.
Нормативами численности работников водоснабжения предусмотрена:
- для руководителей, специалистов и служащих – списочная численность;
- для рабочих – явочная численность.
Тарификацию работ (рабочих) производим в соответствии с ЕТКС.
Тарифные ставки и должностные оклады работников предприятия устанавливаем по ЕТС.
Численность персонала приведена в таблице.
5.3.3.1 Заработная плата рабочих и служащих складывается из основной и дополнительной заработной платы, а так же оплаты за неотработанное время (отпуска).
Фонд основной заработной платы состоит из размера заработной платы рабочих, рассчитанного по месячным тарифным ставкам и их численности.
ФЗПповр=ΣОR я i *Чсi *12,тыс.руб.
где ОR я i – месячная тарифная ставка соответствующего тарифного разряда, руб.
Чсi – численность рабочих соответствующей тарифной группы, чел.
ФЗПмну повр=4485*5*12=269,1
Дальнейшей расчёт тарифного фонда заработной платы производим в таблице.
Фонд дополнительной заработной платы состоит из доплат и надбавок, выплачиваемых за счёт себестоимости.
а) сумму доплат за работу в ночное время определяем.
Дноч=Тср час*Фноч*Кноч*Чноч, тыс. руб. (34)
где Тср час – средняя часовая тарифная ставка, руб. Фноч – фонд ночного времени, час (2920). Кноч – коэффициент доплат к тарифной ставке за каждый час ночного времени, Кноч=0,5. Чноч – число рабочих, одновременно работающих в ночное время, чел.
Досн.раб. ноч=27,60*2920*0,5*1=40,3 тыс.руб.
Двсп.раб ноч=35,88*2920*0,5*1=52,4
б) Сумму доплатят за работу в праздничные дни определяем
Дпр=Тср час*кпр*Тсм*Чпр*Тпр, тыс.руб. (35)
где Кпр – коэффициент доплат в праздничные дни, Кпр=1
Тсм – продолжительность смены (Тсм=8час)
Чпр – число рабочих для работы в праздничные дни, чел.
Тпр – количество праздничных дней (Тпр=15)
Досн.раб. пр=27,60*1*8*3*15=9,9тыс.руб.
Двсп.раб. пр=35,88*1*8*3*15=12,9
в) Сумму доплат за вредные условия труда определяем
Двр=ФЗПповр*% Двр/100, тыс.руб. (36)
Досн.раб. вр=279,8*0,04=11,2
Двсп.раб. вр=349,8*0,04=14,0
г) Сумму выплат по текущему премированию определяем
П=ФЗПповр*%П/100,тыс.руб. (37)
где %П – размер выплат по текущему премированию в процентах
Посн.раб.=1011,8*60/100=607,1
д) Сумму выплат по районному коэффициенту определяем
Др.к.=(ФЗПповр+Дноч+Дпр+ Двр+П)*Кр.к., тыс.руб. (38)
где Кр.к. – коэффициент, учитывающий районное регулирование, Кр.к.=15%
Досн.раб. р.к.=(1011,8+40,3+9,9+11,2+607,1)*0,15=252,0
Двсп.раб. р.к.=(902,6+541,6+52,4+12,9+14)*0,15=228,5
е) Сумму доплат и надбавок определяем по формуле
ДЗП=Дноч+Дпр+Двр+Др.к., тыс.руб. ДЗПосн.раб.=40,3+9,9+11,2 +252,0=313,4; ДЗПвсн.раб.=52,4+12,9+14,0+228,5=307,8
Фонд заработной платы за отработанное время определяем.
ФЗПотр.вр.=ФЗПповр.вр.+П+ДЗП, тыс.руб. (39)
ФЗПосн.р. отр.вр.=1011,8+607,1+313,4=1932,4
ж) Фонд заработной платы за неотработанное время определяем
ФЗПнеотр.вр.=ФЗПотр.вр.*
, тыс.руб.
где Дкален. нв. – дни неявок на работу в связи с очередными отпусками и дополнительными отпусками, учебными отпусками в календарных днях (30 к.д.)
ФЗПнеотр.вр.=1932,3*30/12*29,4=164,3
Дальнейший расчёт фонда заработной платы выполняем в таблице
5.3.3.2 Расчёт затрат на оплату труда административно управленческого персонала
Годовой фонд заработной платы руководителей, специалистов и служащих, рассчитываем исходя из установленных для каждой категории работников месячных должностных окладов (3Покл), премий (П), численности работников по штатному расписанию (Чссi ) и числа месяцев в году (Тм) и других видов доплат.
ФЗПслуж=
+П+Дni
, тыс.руб.
где n - количество категорий служащих
Дni – сумма прочих доплат.
5.3.4 Расчёт отчислений на социальные нужды (ЕСН)
Сумма ЕСН определяем исходя из затрат на оплату труда работников, на которые начисляются тарифы страховых взносов.
СЕСН =ФЗПобл*Тсв/100, тыс. руб. (40)
где Тсв – размер тарифа страховых взносов в процентах (26%)
Расчёт ЕСН производим в таблице
Таблица9 - Расчёт затрат на оплату труда.
| № п/п |
Наименование должности, профессии персонала |
Численность |
Разряд работ, оплаты труда |
Тариф. ставка, должностной оклад, руб./мес. |
Фонд заработной платы |
|
| нормативная |
списочная |
|||||
| 1 |
2 |
3 |
4 |
5 |
6 |
7 |
| 1 |
Производственные рабочие (основные). Оплата по тарифу, всего |
15,5 |
17 |
1011,8 |
||
| В том числе Машинист насосных установок Электромонтёр по ремонту и обслуживанию Электрооборудование Слесарь по КИПиА Оператор установок обеззараживания Обходчик водопроводно-канализационной сети Слесарь аварийно-восстановительных работ Электрогазосварщик Сумма премии, 60% |
4,5 1 1 3 2 2 |
5 1 1 4 2 2 |
2 3 3 2 2 3+4%вр 3+4%вр |
4485 5830 5830 4485 4485 5830 5830 |
269,1 70,0 70,0 215,3 107,6 139,9 139,9 607,1 |
|
| Сумма доплат и надбавок |
313,4 |
|||||
| Итого ФЗП за отработанное время |
1932,3 |
|||||
| Сумма оплаты за неотработанное время |
164,3 |
|||||
| Общий фонд заработной платы |
2096,6 |
|||||
| ЕСН |
545,1 |
|||||
| 2 |
Цеховой персонал Оплата по тарифу, всего, в том числе Слесарь-ремонтник Лаборант химико-бактериологического анализа Водитель Контролёр водопроводного хозяйства Уборщик служебных и производственных помещений Мастер Сумма премий, 60% |
11,5 1 4,5 2 1 1 2 |
12 1 5 2 1 1 2 |
3 3+4%вр 4 3 1 6,5 |
5830 5830 6590 5830 3450 8884 |
902,6 70,0 349,8 158,2 70,0 41,4 213,2 541,6 |
| Сумма доплат и надбавок |
307,8 |
|||||
| Итого ФЗП за отработанное время |
1752,0 |
|||||
| Сумма оплаты за неотработанное время |
149,0 |
|||||
| Общий фонд заработной платы |
1901,0 |
|||||
| ЕСН |
494,3 |
|||||
| Аппарат управления предприятия Оплата по должностным окладом |
8 |
8 |
11,5 |
16577,5 |
1591,4 |
|
| Сумма премии, 60% |
954,9 |
|||||
| Сумма доплат и надбавок |
381,9 |
|||||
| Итого ФЗП за отработанное время |
2928,2 |
|||||
| Сумма оплаты за неотработанное время |
249,0 |
|||||
| Общий фонд заработной платы |
3177,2 |
|||||
| ЕСН |
826,1 |
|||||
| Фонд заработной платы всего персонала |
37 |
7174,8 |
||||
| ЕСН всего персонала |
1865,5 |
|||||
5.3.5 Расчёт амортизированных отчислений
Величину амортизационных отчислений включая текущий ремонт определяем укрупнено.
- для сетей и водоводов в размере 5% стоимости строительства;
- для сооружений – 10% стоимости строительства
Аор =Фоснi *Наi /100, (41)
где Фоснi – стоимость строительства i-го сооружения, сетей, водоводов, тыс.руб.
Аор =13089,0*0,05+26764*0,1=3328,9 тыс.руб.
5.3.6 Расчёт отчислений в ремонтный фонд
АоРФ =Фоснi *Наi /100, (42)
АоРФ =39853,0*0,01=398,5 тыс.руб.
5.3.7 Расчёт цеховых расходов
По статье «Цеховые расходы» рассчитываем комплексные затраты:
- содержание аппарата управления цехом (зарплата)
- содержание прочего персонала (зарплата)
- отчисления на социальные нужды;
- охрану труда
- прочие расходы
Затраты на охрану труда определяем
Сцех от.тб=Оmin кл*Чцех ппп*12, тыс.руб. (43)
где Оmin кл – минимальный размер оплаты труда, руб.
Чцех ппп – численность работников цеха (участка) водоснабжения
Сцех оттб=3450*29*12=1200,6
Цеховые расходы определяем
Сцех=ФЗПцех+Сцех сс+Собщ.пер. от.тб. (44)
Сцех=1901,0+494,3+1200,6=3595,9
5.3.8 Расчёт общехозяйственных расходов
По элементу «Общехозяйственные расходы» определяем следующие затраты
- содержание обще эксплуатационного персонала;
- содержание зданий, сооружений и инвентаря;
- охрана труда;
- транспортные расходы;
- содержание пожарной, военизированной и сторожевой охранв;
- прочие расходы.
Собщ.р.=ФЗПобщ.пер.+Собщ.пер. сс+Собщ.пер. от.тб. (45)
Собщ.р.=3177,2+826,1+(3,450*8*12)=4334,5
5.3.9 Расчёт внеэксплуатационных расходов
По статье «Внеэксплуатационные расходы» определяем затраты на рекламную деятельность, а так же другие расходы, связанные с повышением условий обслуживания абонентов и не связанные с деятельностью предприятия.
Свэр=Σ(Сi-Aop )*Квэр, (46)
где Сi – сумма затрат на материалы, топливо, электроэнергию, зарплату, отчисления на социальные нужды, амортизацию, ремонтный фонд.
Квэр – коэффициент, учитывающий внеэксплуатационные расходы (11%)
Свэр=(7754,06-3328,9)*0,11=486,8
5.3.10 Расчёт полных затрат и себестоимости 1м3 питьевой воды
Результаты всех выполненных сводим в смету годовых эксплуатационных расходов для подъёма, очистки и транспортирования воды. Себестоимость 1м3 питьевой воды определяем
Сед=Сп/Qгод, рую/м3 (47)
где Сп – расходы по полной себестоимости, тыс.руб.
Qгод – полезный отпуск воды, тыс.м3 /год
Сед=16171,26/580,8=27,843
Таблица 10 Калькуляция себестоимости отпуска воды
| N п/п |
Показатель |
Расходы |
структура затрат, % |
|
| всего, тыс.руб. |
на единицу продукции руб./м3 |
|||
| 1 |
2 |
3 |
4 |
5 |
| 1 |
Материалы |
30,06 |
0,052 |
0,19 |
| 2 |
Электроэнергия |
1354,9 |
2,333 |
8,38 |
| 3 |
Тепловая энергия |
- |
- |
- |
| 4 |
Заработная плата производственных рабочих, включая дополнительную |
2096,6 |
3,61 |
12,97 |
| 5 |
Отчисление на социальные нужды |
545,1 |
0,939 |
3,37 |
| 6 |
Амортизация |
3328,9 |
5,731 |
20,58 |
| 7 |
Ремонтный фонд |
398,5 |
0,686 |
2,46 |
| 8 |
Всего (сумма строк 1 |
7754,06 |
13,351 |
47,95 |
| 9 |
Цеховые расходы |
3595,9 |
6,191 |
22,24 |
| 10 |
Обще эксплуатационные расходы |
4334,5 |
7,463 |
26,80 |
| 11 |
Всего расходов (строка 8+строка9+строка 10, гр.3,4) |
15684,46 |
27,005 |
96,99 |
| 12 |
Внеэксплуатационные расходы |
486,8 |
0,838 |
3,01 |
| 13 |
Расходы по полной себестоимости |
16171,26 |
27,843 |
100 |
5.4 Технико-экономические показатели проекта
5.4.1 Расчёт прибыли при определении цены на воду производим по формуле
Пр=Сполн.*R/100, тыс.руб. (48)
где Сполн – полная себестоимость воды, тыс.руб.
R – уровень рентабельности, обеспечивающий эффективное развитие предприятия, %
Пр=16171,26*0,4=6468,5 тыс.руб.
5.4.2 Расчёт потребности предприятия в финансовых средствах
Потребность предприятия в финансовых средствах определяем по формуле.
ФСв=16171,26+6468,5=22639,76
5.4.3 Расчёт цены на воду
Цену на 1м3 воды определяем по формуле
Цв=ФСв/Qгод, руб./м3 (49)
Цв=22639,76/580,8=38,98
5.4.4 Экономическое обоснование проекта
Срок окупаемости инвестиций на проект по формуле
Трасч ок=КВ/ЭТ, лет
где Кв – капитальные вложения в строительство сетей и сооружений водоснабжения, тыс.руб.
ЭТ – экономический эффект от эксплуатации сетей и сооружений (прибыль), тыс.руб.
Трасч ок=39853,0/6468,5=6,2, лет
5.4.5 Удельные капитальные вложения определяем по формуле
Куд=КВ/Qгод, руб./м3
Куд=39853,0/580,8=68,617, руб./м3
Результаты расчётов сводим в таблицу.
Таблица 11 Основные технико-экономические показатели проекта.
| N п/п |
Показатели |
Единица измерения |
Величина |
| 1 |
2 |
3 |
4 |
| 1 |
Проектная производительность |
м3 /сут |
1591,2 |
| 2 |
Численность персонала, всего в том числе производственных (основных) рабочих |
чел чел |
37 17 |
| 3 |
Полная себестоимость |
тыс.руб. |
16171,26 |
| 4 |
Себестоимость 1м3 воды |
руб. |
27,843 |
| 5 |
Фонд заработной платы, всего в том числе основных рабочих |
тыс.руб. тыс.руб. |
7174,8 |
| 6 |
Среднемесячная заработная плата - одного работающего - одного основного рабочего |
руб. руб. |
2096,6 |
| 7 |
Доход от реализации |
тыс.руб. |
22639,76 |
| 8 |
Прибыль |
тыс.руб. |
6468,5 |
| 9 |
Капитальные вложения в строительство сооружений и сетей |
тыс.руб. |
39853,0 |
| 10 |
Срок окупаемости |
лет |
6,2 |
| 11 |
Удельные капитальные вложения |
руб./м3 |
68,617 |
Выводы и заключение
Питьевое водоснабжение, охрана источников питьевого водоснабжения от загрязнения и истощения всегда являлось актуальной проблемой. Однако, в последнее время, характеризующиеся бурным развитием всех отраслей промышленности и сельского хозяйства, она становится еще более актуальной и вместе с тем гораздо более сложной.
Как известно, для хозяйственно-питьевого водоснабжения используются поверхностные и подземные воды, причем приоритетным источником являются подземные воды, обладающие по сравнению с поверхностными, более высоким качеством и стабильностью. В противном случае загрязнение подземных вод обнаруживается с запозданием и ликвидация его становиться делом сложным, дорогостоящим, а порой и просто невозможным. По этому охрана водозаборов подземных вод должна предусматривать разнообразные, профилактические, и другие защитные мероприятия, в числе которых организация зон санитарной охраны водозаборов - важный, хотя и не единственный элемент.
Для сохранения природного состава и качества подземных вод следует защищать от загрязнения всю область питания и площадь загрязнения распространения эксплуатационного водоносного горизонта.
Первоочередная и наиболее строгая охрана необходима непосредственно на участках использования подземных вод для хозяйственно-питьевого водоснабжения так как загрязнения в близи забора может быстро сказаться на качество забираемой воды. По этому вокруг водозабора - источника централизованного хозяйственно-питьевого назначения создается зона санитарной охраны, в которой осуществляются специальные мероприятия, исключающие возможность поступления загрязнений в водозабор и водоносный горизонт в районе водозабора.
Необходимость усовершенствования системы водоснабжения с.Бурибай вызвана тем, что население Хайбуллинского района испытывает острый дефицит питьевой воды нормативного качества. В связи с этим, в проекте предусмотрено развитие системы на перспективу с учётом прогнозного роста населения, усовершенствование водоподготовки. Обеспечение населения с. Бурибай качественной питьевой водой в достаточном количестве создаст условия для улучшения социально-экономической обстановки, сохранения здоровья, улучшения условий деятельности и повышения уровня жизни населения
Проект водоснабжения считается эффективным, так как значение коэффициента общей эффективности капитальных вложений больше величины нормативного коэффициента эффективности (0,12)
Экн.пр.
=
=0,162
Список используемой литературы
1. СНиП 2.04.02-84 Водоснабжение. Наружные сети и сооружения,
2. Моста: Стройиздат, 1985 - 136с.
3. А Е Велан, П Д Хоружий Проектирование и расчёт устройств водоснабжения, Киев: Будивельник, 1981 - 303 с.
4. ФА Шевелёв, А Ф Шевелёв Таблицы для гидравлического расчёта водопроводных труб. Справочное пособие, Москва: Стройиздат, 1984 - 116с.
5. Н С Трегубенко Водоснабжение и водоотведение. Примеры расчётов, Москва: Высшая школа, 1989 - 352 с
6. СанПиН 2.1.4.1074 - 01 Питьевая вода. Гигиенические требования к качеству воды централизованных систем питьевого водоснабжения. Контроль качества
7. А И Роговец Санитарно- эпидемиологическая оценка состояния питьевого водоснабжения в Российской Федерации, Водоснабжение и санитарная техника № 12, 1998
8. А Ф Порядин Управление охраной окружающей среды в системе Водоканалов городов России, Водоснабжение и санитарная техника № 7, 2004
9. Методичсекие указания по выполнению «Курсовой работы по дисциплине «Экономика отрасли» для специальности 270112 «Водоснабжение и водоотведения
10. Трудовой кодекс Российской Федерации. Федеральный закон от 30 декабря 2012 года №197 ФЗ
11. М. В . Зацепина Курсовое и дипломное проектирование водопроводных и канализационных сетей и сооружений, Ленинград: Стройиздат, 1981 - 186с.