| Скачать .docx |
Реферат: Архитектура Древней Греции 2
Введение
Античным миром принято называть эпоху цивилизаций Греции и Рима в период с X11—V III вв. до н. э. до IV—V вв. н. э. Объединили их не только социально-экономическая основа — рабовладельческий строй, но и общие черты культурного развития. Древний Рим в значительной мере наследовал достижения греческой цивилизации. Вместе с тем по своей социальной и политической структуре они резко отличались друг от друга. Основу Греции составляли многочисленные города-государства (полисы), занимавшие
в период своего формирования (XV— VIII вв. до н. э.) территорию южной части Балканского полуострова, западное побережье Малой Азии и острова Эгейского моря; народы всех полисов говорили на греческом языке. Эти государства были первыми республиками в истории человечества. При численности их населения от нескольких сотен до нескольких десятков тысяч человек все свободные граждане принимали участие в политической жизни и управлении полисом.
Многие из полисов являли собой ярко выраженный тип рабовладельческой демократии.
История древнеримской цивилизации - более сложное явление. Население древней Италии состояло из разноязычных народов; этническая пестрота стала особенно значительней после обширных завоеваний II — I вв. до н. э. С расширением завоевали все более раздвигались границы централизованного государства, увеличивался приток рабов, росли имущественное неравенство и социальные противоречия. Этот процесс завершился в 30 г. до н. э. установлением в Риме единоличной власти императора, опирающегося на вооруженную силу. Территория империи была огромна: ее границы простирались от Испании — на западе до Сирии и Армении — на востоке, от Британии и Дакии — на севере до Египта и всего побережья Средиземного моря — на юге. Различия в социальном и политическом развитии Греции и Рима нашли отражение в развитии их культуры и, в частности, архитектуры.[1]
1. Архитектура Древней Греции.
Архитектура античной Греции, охватывающая в своем развитии в основном VIII — I вв. до н. э., делится на три периода: архаический, классический и эллинистический. Им предшествовали период крито-микенской культуры на территории южной Греции и островах Эгейского моря (III тыс.— XII в. до н. э.) и так называемый Гомеровский период (XII—VII вв. до н. э.)-время разложения родового строя и возникновения ранних классовых отношений, что привело в VIII-V вв. до н. э. к формированию античных рабовладель-ческих государств. Период архаики (VIII- начало V в. до н. э.) совпадает со временем окончательного сложения полиса и формирования основных типов культовых и других общественных зданий. Из второго периода, охватывающего время с 480 г. до конца IV в., следует делить время наивысшего расцвета полисов (480-400 гг.), к которому применяют название «классического периода». Ведущее место в эту эпоху принадлежит Афинам, где в «золотой век» правления Перикла достигает своей высшей точки развитие рабовладельческой демократии, а вместе с нею — искусство и архитектура.
Третий период — эпоха эллинизма (320-е годы — I в. н. э.)— время возникновения греко-восточных монархий и интенсивной экспансии эллинской культуры в новые города Малой Азии и Египта, ставшие крупными центрами торговой и культурной жизни. Территория, на которой развивались греческие государства, отличалась чрезвычайно разнообразными природными условиями. Если взять только материковую Грецию, то и здесь эти различия были очень ощутимыми. [2]
Так, например, северные районы Греции — Эпир и Фессалия, разделенные горным хребтом Пинда, несмотря на принадлежность к одному и тому же горному ландшафту, различались по своему характеру. Эпир славился суровым климатом и в его горных долинах занимались лишь скотоводством. На территории Фессалии, ограниченной горными хребтами (во главе с горой Олимп), возможно, было хлебопашество, особенно в долине р. Пеней. Сильно отличались от Эпира и Фессалии районы Средней Греции, среди которых особенно выделялись: малопригодная для сельского хозяйства Фокида с общегреческим центром культа Аполлона в Дельфах; Беотия с главным городом Фивы, славившаяся пшеницей и скотоводством, и, наконец, приморская Аттика, хотя и засушливая; но культивировавшая оливковые деревья и виноград, а также богатая полезными ископаемыми (серебро, свинец, мрамор, глина).
1.2.Строительные приемы и конструкции
Греками было положено начало многим важнейшим отраслям науки, они заложили основы геометрии, механики и статики, что позднее явилось базой для развития инженерной науки. Ее выдающиеся достижения имели определяющее практическое значение при строительстве гаваней, городов, мостов, плотин и других сооружений, но, по-видимому, главным образом в производстве работ. Конструкции ведущих типов архитектуры-общественных зданий и жилья-оставались сравнительно примитивными: главными элементами были стена и стоечно-балочная система. Арочно-свод-чатая конструкция была известна грекам, но ни арки, ни своды не нашли широкого распространения.
Наиболее массовым строительным материалом стен был кирпич-сырец. Обожженный кирпич имел очень ограниченное использование, хотя гончарное производство стояло на высоком уровне, и его изделия использовались при украшении зданий. Для устройства галерей и портиков широко применялось дерево. В стоечно-балочных конструкциях несущие деревянные балки и бруски дополнялись изделиями из досок в виде сплошных или решетчатых настилов, прокладок, облицовочных плит и т. п. Данные раскопок и литературных источников позволяют утверждать, что деревянные галереи и портики представляли собой глубоко продуманную и надежную стоечно-балочную конструкцию, целесообразно использующую материал и глубоко осмысленную в художественном отношении.
При строительстве монументальных общественных зданий и прежде всего храмов широко применялся известняк, а в некоторых случаях и мрамор. Из камня возводились и стены, и стоечно-балочная конструкция портиков и галерей. Каменные квадры, балки, плиты, монолитные своды и отдельные барабаны колонн подвергались первоначальной обработке в карьерах.
Для передвигания камней и установки на место греки имели в своем распоряжении блоки, вороты и прочие подъемные приспособления. Для подъема блоков в них оставлялись выступы или делались гнезда для специальных якорей и крючьев. Для стенных камней употреблялась «волчья пасть», т. е. железный клин, вкладывающийся в расширяющееся книзу гнездо. Часто в боковых гранях камней вырезались пазы, в которые при подъеме и транспортировке вкладывался канат.
Кладка стен и стоечно-балочных конструкций из камня велась только «насухо», т. е. без применения раствора. Фундаменты обычно выводились не сплошными, а только под стенами и отдельными опорами. Цокольная часть снаружи выкладывалась большими каменными плитами, поставленными на ребро.[3]
Стены возводились из прямоугольных квадров горизонтальными рядами с чередованием ложков и тычков и соблюдением перевязки швов. Колонны складывались из цилиндрических блоков-барабанов. Соприкасающиеся грани тщательно обрабатывались. Особенно ровными были горизонтальные грани — постели, через которые передавались вертикальные нагрузки.
Устойчивость безраспорных греческих конструкций, работающих на сжатие и изгиб, обеспечивалась без дополнительных связей. Однако опасность землетрясений заставляла иногда скреплять каменные блоки в горизонтальной и в вертикальной плоскостях. Крепление блоков производилось металлическими штырями и пиронами, вставленными в специальные гнезда и залитыми свинцом. Для крепления барабанов применялись также деревянные штыри.
В стоечно-балочной конструкции особенно важным элементом являлась основная балка — архитрав, опирающаяся на колонны и воспринимающая вышележащую нагрузку от конструкции кровли. Работая на изгиб, она ограничивала расстояние между колоннами — интерколумний. В небольших галереях балка делалась из монолитного блока; в крупных зданиях, начиная с VI в. до н. э., она составлялась из двух или трех поставленных на ребро блоков, благодаря чему упрощались ее транспортировка и подъем. Конструкция позволяла перекрывать пролеты до 4—4,5 м.
Можно предполагать, что греки достигли больших успехов и в создании деревянных конструкций, чему особенно способствовало широко развитое в Греции кораблестроение. Помимо устройства обычных стропильных крыш существовали деревянные фермы. Крыши обычно делались двускатными. Несущими опорами для них служили балки, на которые через прокладки опирался деревянный коньковый брус, несущий стропила. Другой конец стропильных балок опирался на конструкцию галерей. Кровля выстилалась из черепицы (иногда из мрамора) по деревянной обрешетке, или непосредственно по стропильным брусьям. Конструкция галерей связывалась со стеной поперечными балками, на которых устраивался плафон.[4]
1.3 Градостроительство
В архаический период возникли греческих городов -государств (полисов) было следствием отделения ремесла от земледелия и роста товарно -денежных отношений. Этот процесс сопровождался усилением классовых противоречий между рабами и рабовладельцами, а также обострением борьбы свободного, но неимущего населения (крестьян, торговцев, ремесленников) с родовой знатью. Греческий полис состоял из городского поселения и сельской округи. Он мог иметь различное управление - олигархическое (например, в Спарте) или демократическое (например, в Афинах V в. до н. э. ). Размеры полисов также были различны. Территория полиса Спарты, например, насчитывала 8400 км2 , Афин — 2550 км2 , шесть городов — полисов на о. Эвбея владели территорией 3770 км2. Были и мелкие полисы. Так, например, 22 полиса Фокиды делили между собой территорию 1650 км2 (т. е. в среднем на каждый приходилось около 75 км2 ).
Население городов составляли представители потомственно - родовой знати: крупные землевладельцы, торговцы и ремесленники. Кроме того, в городах проживало много людей из других стран - так называемые метеки, а также из близлежащих селений - периетеки. Метеки и периетеки не пользовались полным правом гражданства в полисе. Значительную часть населения составляли рабы, которых использовали как в городских, так и в сельских видах работ. Так, например, в Афинах, насчитывавших к V в. до н. э. около 300 тыс. жителей, 1/3 составляли рабы.
По мере развития рабовладельческого строя власть, находившаяся до этого времени в руках родовой аристократии, стала сосредоточиваться в руках рабовладельцев. Города архаического периода, как правило, состояли из укрепленного акрополя и расположенного у его подножья нижнего города с рыночной и общественной площадью — агорой.
В VIII — VII вв. до н. э. города не имели еще внешних крепостных стен, появившихся в более поздний период, и все городское и сельское население находило защиту на территории акрополя. Примером такого рода может служить Селинунт.
Селинунт, возникший на западной оконечности о. Сицилия, был одним из полисов, основанных выходцами из Мегары в середине VII в. до н. э. Акрополь Селинунта располагался на плоской скале, ограниченной с запада долиной небольшой реки, а с востока морской бухтой с песчаными пологими берегами. Здесь, по - видимому, находилась торговая гавань. На акрополе, параллельно друг другу, располагались главные храмы. Большая часть этих сооружений относится к VI в. до н. э. Быстрый рост города и активная торговля с другими греческими полисами, а также с Карфагеном, вызвали необходимость расширения города и строительства новой группы храмов на соседнем скалистом плоскогорье, восточнее города. Несмотря на то, что город не сохранился, археологи полагают, что планировка акрополя относится к архаической эпохе и что тогда уже были проложены две пересекающиеся улицы северо — южного и западно — восточного направлений. Исследователи установили, что ширина улицы северо - южного направления насчитывала около 9 м и что на нее выходили кварталы протяженностью около 30 м с поперечными проходами в 3, 6 - 3, 9 м. Пример Селинунта показывает, что уже в архаический период сложилась регулярная планировка.
Селинунт многократно разрушался (в 409 г. до н. э. Карфагеном, затем землетрясениями), однако его руины и сейчас свидетельствуют о том, что древние греки стремились к созданию монументальных ансамблей, видимых издалека. Аналогичное впечатление производил и другой город Великой Греции - Пестум. Греческие города — полисы жили довольно замкнутой жизнью, однако в эпоху архаики имелось несколько общегреческих культовых центров, крупнейшими из них были Олимпия и Дельфы.
Олимпия считалась общеэллинским культовым центром с древних времен. Первые Олимпийские игры, связанные с культом Зевса Олимпийского, происходили в 776 г. до н. э. Они повторялись каждые четыре года. На время Олимпийских игр прекращались междоусобные войны, и все мужское население устремлялось в Элиду, где на сравнительно небольшом пространстве, у подножья лесистой горы Кронос располагалось святилище
(альтис). Главным храмом святилища был храм Зевса, построенный в 4г. до н. э. и украшенный скульптором Фидием статуей Зевса. Кроме храма Зевса в святилище было еще несколько храмов, построенных в эпоху эллинизма и ранее. Здесь же располагался алтарь Зевса, на котором во время Олимпийских игр поддерживали яркий огонь. Против храма Зевса и алтаря находился многоколонный портикстоа «Эхо», неоднократно обновлявшийся и перестраивавшийся. Окруженное этими зданиями пространство было прообразом будущих городских площадей — агор. Рядом со святилищем располагался стадион, на трибунах которого могли уместиться 40 тыс. зрителей. Для сидения использовались пологие склоны холма. Кроме стадиона в долине местной речушки Алфея имелся ипподром для конных состязаний.
Святилище было окружено многочисленными дополнительными спортивными сооружениями: гимнасием, палестрой и т. д. Имелись и здания, связанные с общественной жизнью полиса, например булевтерий. Некоторые из этих сооружений заново были построены в эпоху эллинизма. Собственно город был небольшим. В нем проживали, главным образом, жрецы и судьи, участвовавшие в Олимпийских играх, и рядовце торгово — ремесленное население, также связанное с обслуживанием большого числа прибывавших на игры греков. Следует отметить, что рабы, хотя и использовались для всех тяжелых работ, не допускались на Олимпийские игры.[5]
Авторитет Гипподама как теоретика и практика в области градостроительства подтверждается многими греческими писателями. Согласно Аристотелю, Гипподам участвовал в строительстве порта Афин - города Пирея (446 - 445 гг. до н. э. ), а несколько позже (444-443 гг. до н. э. ) в разбивке территории города Фурии, построенного выходцами из Афин на юге Италии, и города Родоса. Немецкий археолог А. Геркан приписывает Гипподаму участие в восстановлении Милета (479 г. до н. э. ) после пожара и разрушений, причиненных персами в 494 г. до н. э. Если оставить в стороне планировку Родоса и Фурии — городов малоизученных, и рассмотреть планировочную организацию Милета и Пирея, то можно усмотреть в этих городах некоторые новые и общие черты. Прежде всего это касается зонирования городркой территории.
В Милете четко выделяются три зоны: торговый центр, примыкавший к военной Львиной гавани; общественный центр, тяготевший к Театральной бухте, и два крупных жилых района. Аналогичное зонирование наблюдается и в Пирее. В Пирее главная городская площадь, носившая имя Гипподама, размещалась в центре городской территории между двумя гаванями -Торговой и портом Зея. Западнее площади располагался большой складской и портовый район, тогда как жилые районы занимали территорию юго -
западнее и северо - восточнее центра. Центр Милета развивался вдоль двух пространственных координат, организующих всю планировку города, Вдоль одной из них располагались гимнасий со стадионом и городской парк, вдоль другой — торговые и общественные площади, Эти площади состояли из Южной агоры, предназначенной для торговли, с лавками, расположенными по периметру, и портиками, Южная агора имела три входа, ее размер был 166 Ч 128 м. Северная агора, значительно меньших размеров, предназначалась для торговли предметами роскоши. Между Северной и Южной агорами располагался гражданский центр городской общины. Сюда выходил булевтерий, т. е. здание, где заседал городской совет. Перед булевтерием находился алтарь для принятия присяги гражданами общины. Поблизости располагался еще один гимнасий.
Как видно из планов Милета и других регулярных городов Древней Греции, планировочная композиция носила «открытый» характер. Крепостные стены, окружавшие городскую территорию, как правило, не имели геометрически правильных в плане очертаний. Они не сковывали рост города и окружали свободные территории с учетом будущего его развития, Главной планировочной единицей был квартал, состоявший из двух, четырех или более домов. Таким образом, город развивался путем наращивания жилых единиц от центра к периферии, Центробежные тенденции имело и пространственное развитие городского центра, Эта особенность градостроительного мышления древних греков дополнялась особым их отношением к окружавшему город пейзажу, который они рассматривали, с одной стороны, как зримое выражение их понятия о родине, с другой, — как часть мирового ландшафта или ойкумены (т, е, обитаемой части земной поверхности). Поэтому какой бы город греки ни строили, они всегда знали его местоположение в ойкумене, В этот период благодаря развитию мореходства сильно расширились географические познания, Они объединились с астрономическими сведениями о Луне и Солнце и расположении созвездий, служивших дополнительными ориентирами во время постоянных морских путешествий. Все это слилось с общим представлением о Земле как о плоском круге (по одним источникам, плавающим на воде, по другим, — поддерживавшимся воздухом), Этим объясняется появление в эпоху архаики первых изображений Земли, Так, известны карты Гесиода (VIII в, до н, э, ); Анаксимандра и Гекатея (VI в, до н, э, ).
Расцвет греческой культуры и архитектуры совпадает с возвышением Афин. Остается загадкой, был ли единый композиционный замысел у строителей акрополя или этот ансамбль создавался постепенно, по мере возведения отдельных зданий. Одно можно лишь утверждать, что была единая идеологическая концепция, в соответствии с которой и строился этот ансамбль. Эта концепция состояла из нескольких позиций. Во — первых, художественный облик новых сооружений должен был отражать историческую миссию Афин как государства, которое взяло на себя роль спасительницы греческого мира от вторжения иноземцев. Во — вторых, масштаб и характер застройки акрополя должны были отражать экономический и культурный расцвет Аттики в целом. В — третьих, новый ансамбль должен был выражать те демократические начала, которые были свойственны Афинскому государству в этот период, т. е. быть подлинно народным. Все эти позиции и составляли ту идеологическую программу, которая была положена в основу перестройки акрополя. Как видно из этого перечня, религиозно — мистическое начало уступило место художественной интерпретации реальных событий этого времени. Это не значит, что культовые сооружения не отвечали своему прямому назначению, но само религиозное сознание афинян носило народный, фольклорный характер, что и позволило им объединить религиозные, мифологические и героические темы в одно единое художественное целое.
Хронология развития Афинского акрополя V в. до н. э, позволяет нам проследить процесс формирования этого ансамбля. Весьма примечательно, что первым сооружением на нем было не архитектурное, а скульптурное произведение — статуя Афины Воительницы (Промахос), что было вполне закономерно, поскольку возглавлял строительство акрополя скульптор Фидий, уполномоченный на эту роль Периклом. Как известно, статуя Афины Промахос работы Фидия не сохранилась, поэтому существуют различные догадки по поводу ее высоты. Известно лишь, что медное копье богини, поблескивавшее на солнце, было видно с моря, находившегося на расстоянии нескольких километров от города. [6]
Через год после установки монументальной скульптуры архитекторы Иктин и Калликрат приступили к строительству храма Афины Девы — Парфенону (447- 438 гг. до н. э. ). Вскоре этот периптер, построенный из пентелийско - го мрамора, занял южную часть акрополя и его монументальный объем (30, 89 Ч 69, 54м) получил доминирующее положение в пейзаже. В 437 г. до н. э, архитектор Мнесикл начинает строительство главного входа на акрополь — Пропилеи (закончены в 432 г. до н. э.). Композиционная ось Пропилеи стала почти параллельной Парфенону и была ориентирована на Афину Промахос. В 431 г. до н. э. в связи со смертью Перикла (429 г. до н. э. ) и началом пелопоннесской войны
строительство на акрополе было приостановлено, но уже в 421г. до н. э. начинается строительство Эрехтейона. Это асимметричное здание, посвященное культу Афины Полиады и Посейдона, заменило старый храм Гекатомпедон, но было построено севернее его. Причем главный его ионический портик был обращен к северу, в сторону Афинской агоры.
Расцвет Афин был недолговечным. Стремление этого государства к расширению своего политического и экономического влияния привело к столкновению с Пелопоннесским союзом городов, во главе которого находилась Спарта. Это привело к тяжелой и бесславной для Афин Пелопоннесской войне (431 — 404 гг. до н. э. ), в результате которой Афины постепенно утратили свое ведущее положение в Греции.
Но прежде чем наступил этот период, многовековой процесс строительства городов — государств был подытожен в трудах двух крупнейших философов древности Платона (428 — 348 гг. до н. э. ) и Аристотеля (384 — 322 гг. до н. э. ).
Платон проповедовал правильность городской планировки и одинаковость жилых домов. Аристотель же критиковал чрезмерно жесткую планировочную схему Платона. Он писал: «Не нужно устраивать город так, чтобы он весь в целом имел правильную планировку. Надо, чтобы планировка была правильна только в отдельных частях и кварталах. Так будет лучше и для безопасности города, и для его благообразия» .
Аристотель высказывал также свое мнение о городских площадях. Он предлагал одни площади целиком предоставить торговле и разместить вокруг них базилики, присутственные места и судебные учреждения. Другие площади, которые Аристотель называл «чистыми», он советовал окружить храмами, гимнасиями и другими общественными зданиями. Таким образом, схема Аристотеля оставляла свободу для выбора той или иной планировочной системы и была более гибкой и жизненной, чем схема Платона. В «идеальном городе» Аристотеля можно увидеть многие черты Афин IV в. до н. э.
Платон и Аристотель не были единственными античными авторами, писавшими о городе. Знаменитый греческий врач Гиппократ (460 — 377 гг. до н. э. ) написал специальный трактат «О воздухах, водах и местностях», в котором изложил свои наблюдения за климатическим режимом в греческих городах; историк Фукидид (460 — 400 гг. до н. э. ) уделил большое внимание изучению истории городов и прежде всего Афин.
Следующий этап в развитии греческого градостроительства относится к эпохе эллинизма. Как в свое время классический период был связан с возвышением Афин, так период становления эллинизма связан был с возвышением Македонии. Первым известным нам городом, которому Александр даровал средства на строительство общественных зданий, был маленький ионийский город Приена. Приена была окружена крепостной стеной, которая охватывала территорию, предусматривавшую дальнейший рост города. Размеры общественного центра Приены и многочисленные зрелищные сооружения также были рассчитаны на город более крупных размеров. Несмотря на довольно крутой рельеф, план города был строго регулярным. Главная улица имела западно — восточную ориентацию и называлась Улицей Западных ворот. Она была единственной проезжей магистралью города. Остальные улицы, параллельные ей, были пешеходными. Улицы, проложенные поперек складок рельефа, были крутыми и в основном представляли собою вырубленные в скале лестницы. Ширина улиц была традиционна. Улица Западных ворот имела ширину 7, 36 м, второстепенные — 3 — 4, 4 м. Город был разделен на жилые кварталы, которые по своим пропорциям отличались от кварталов соседнего Милета. Они имели размер 120 Ч 160 футов (35, 4 Ч 47, 2 м), т. е. их стороны соотносились как 3: 4. Следует отметить, что в Приене во многих сооружениях и пространствах использованы пропорции «золотого сечения», примером чему может служить главная городская агора. Вообще в древнегреческом градостроительстве трудно найти другой такой город, где гармонизация городского пространства была бы проведена с такой последовательностью, как в Приене. Каждый из жилых кварталов состоял из нескольких, чаще всего четырех жилых домов. Жилые дома Приены были двух типов. Более скромные жилища состояли из небольшого мощеного дворика, окруженного жилыми и служебными помещениями, среди которых особенно выделялась своим портиком главная комната хозяина дома. Были также и более богатые дома с внутренними перистилями. В некоторых случаях за домом находился небольшой сад. На улицу выходили лишь стены домов и ограды с проемами входов.
Таким образом, Приена являлась уникальным образцом эллинистического градостроительства, соединившим в себе два направления в развитии градостроительного искусства Греции: усовершенствованную регулярную пространственную систему и умение создавать монументальные ансамбли, расположенные в разных уровнях.
Эпоха эллинизма оставила свои следы не только в Афинах, но и в других городах материковой Греции, а также в таких малоазийских центрах, как Ми -лет, Магнесия на Меандре, Эфес, Эллинистические влияния сказались и на городах Сирии (Пальмира, Гераса) и даже на городах Египта, Храмовый ансамбль на о, Филе является ярким тому примером,
Оценивая в целом градостроительство второй половины IV - конца II вв, до н, э,, можно сказать, что за этот период в нем появились новые черты, обусловленные дальнейшим развитием рабовладельческого общества, образованием крупных монархических государств, объединивших в своем составе многочисленные народы Востока и Запада. Централизация и сосредоточение в ее руках богатств и массы рабов делало возможным исполнение самых грандиозных замыслов. В этот период строились целые столичные города с большими административными и общественными площадями, роскошными дворцами правителей, торговыми и военными гаванями и водопроводами. В них сооружались центры науки и искусства -мусейоны, библиотеки, театры, многочисленные стадионы, бани, устраивались сады и парки.
Регулярное градостроительство приобрело новые черты, которые заключались в развитии главных городских пространств, в стремлении к созданию архитектурно насыщенных городских центров, Городские пространства стали в этот период самостоятельной архитектурной темой, В связи с этим особое значение приобрели колоннады и портики, придававшие городским площадям геометрическую правильность и единообразие, Перистиль стал играть ведущую роль как в жилой архитектуре, так и в святилищах, гимнасиях и других общественных зданиях. В развитии городских пространств наблюдалась тенденция к замкнутости.
Значительного развития достигли городские ансамбли, расположенные в разных уровнях, которые несмотря на сложность рельефа представляли собой единые архитектурные композиции.
Эллиниртические города славились своим благоустройством, наличием водопроводов, замощением главных улиц и площадей. В то же самое время в городах наблюдался резкий контраст между жилищами богатых и бедных жителей. В жилой архитектуре этого времени наметились несколько типов зданий. Жилые дома социальной верхушки городского общества строились по подобию дворцов — все помещения группировались вокруг перистиля. Жилые дома бедняков более походили на лачуги. В этот период появились в крупных городах (в Александрии, Тире) многоэтажные дома для сдачи помещения внаем городской бедноте. Большое распространение получили виллы. В эпоху эллинизма прежняя глубокая связь греческого искусства с местными народными традициями нарушилась и заменилась стремлением к выработке сначала всеэллинского, а затем и космополитического художественного языка. Этот процесс сопровождался привнесением в искусство греков восточных элементов, что сказывалось в области градостроительства в увеличении масштабов архитектурных ансамблей, в увлечении их формально - композиционной стороной в ущерб идейно -художественному содержанию, в стремлении к пышной декорировке. В то же самое время греческая архитектура обнаружила способность приспосабливаться к архитектурным традициям других народов, что приводило в отдельных случаях к созданию замечательных ансамблей.
В последний свой период эллинистическое искусство развивалось одновременно с римским с той только разницей, что первое из них деградировало, а второе находилось в процессе становления и развития. Очень часто этот процесс протекал в одних и тех же городах, перешедших из рук греко - македонских правителей в руки римских завоевателей. Вот почему римское градостроительство считается прямым продолжением греческих градостроительных традиций.
2. Архитектура Древнего Рима.
Развитие римской архитектуры делится на два главнейших периода: республиканский и императорский. За период с IV в. до 30 г. до н. э. Римская республика из небольшого города-государства превратилась в мировую рабовладельческую державу. Столица Рим стала миллионным городом, куда сходились нити э кономической и политической жизни покоренных им стран. Чрезвычайно усложнилась структура государства, для управления и охраны которого потребовался сложный военный и административный аппарат. Возникло множество городов и военных лагерей, строились военные сооружения, крепости, мосты и дороги. Обширная торговля и мореплавание обус ловили строительство гаваней, скла дов, рынков, магазинов, зданий для торговых сделок. Потребность го родов в воде удовлетворялась с помощью акведуков. Усложнилась об щественная жизнь городов. Наряду с культовыми зданиями получили развитие городские площади— фо румы, театры и амфитеатры, цирки термы. Возводились здания для нужд правительственных учреждений и местной администрации: канцелярии архивы, базилики для заседаний судей и других собраний. Строились мемориальные сооружения триумфальные арки, колонны, мавзолеи, гробницы.
Особое значение придавалось строительству утопающих в роскоши дворцов и грандиозных общественных комплексов и сооружений-форумов, амфитеатров, терм, рассчитанных на большую вместимость. Они предназначались не только для знати, но и для тысяч паразитирующих плебеев, требовавших «хлеба и зрелищ». Рядом с грандиозными императорскими постройками стихийно росли тесные жилые кварталы с домами-трущобами для городской бедноты и рабов. Архитектура империи отразила острые противоречия древнеримского рабовладельческого строя.
2.1. Градостроительство
Рим в начале правления Августа (27г. до н. э.) не был еще перенаселенным городом. Он свободно развивался между холмов, где появились форумы, а также на Марсовом поле, где возникли многочисленные зрелищные сооружения, портики и храмы. Стены Сервия Туллия давно уже перестали служить границами города и были разобраны. На холмах, среди садов и живой природы располагались патрицианские
виллы. Такой буколический облик столицы империи не мог отвечать политическим и идеологическим задачам времени, вот почему период правления Августа был периодом интенсивного городского строительства.
Особо активную деятельность развил родственник Августа Марк Випсаний Агриппа, который известен был своей инженерной деятельностью еще при Юлии Цезаре. Агриппа привел в порядок древние водопроводы: Аква Аппиа, Анио Ветус, Аква Анция и Аква Тепула. Он построил два новых водопровода Аква Юлия и Аква Вирго. Последний был сооружен им с целью водоснабжения новых терм Агриппы, выстроенных в это же время на Марсовом поле. Всего в различных районах Рима было построено 700 бассейнов, 500 фонтанов, 130 резервуаров. Вокруг терм Агриппа устроил сады с портиками, скульптурой и большими бассейнами и каналами, служившими дренажами для слегка заболоченной территории Марсова поля. Этот район стал местом увеселений и гуляний для горожан, Здесь же в стороне от увеселительных сооружений был воздвигнут грандиозный мавзолей императора Августа.
Помимо водоснабжения Август уделял большое внимание противопожарному состоянию Рима. Он настоятельно советовал использовать вьющиеся растения в качестве огнезащитного средства, а также неоднократно высказывал свои суждения о том, как нужно строить жилые дома, Это он издал градостроительный указ, предписывавший строить в Риме здания не выше 70 футов (21 м).
С именем Августа связана застройка главных холмов Рима: Капитолийского и Палатинского. Так, по свидетельству римского писателя и историка Светония, на Капитолийском холме на месте более древних сооружений им были построены храмы Юпитера и Аполлона. Особое внимание Август уделял благоустройству и застройке Палатинского холма. Здесь им был воздвигнут дворец,, устроен сад, в котором размещались отдельно покои его жены Ливии, построена большая экседра с видом на Большой цирк, возведенный на склонах Палатинского и Авентинского холмов.
Большое внимание в этот период было уделено древнему римскому форуму - форуму Романум, сооружение которого уходило корнями в глубокую древность, Здесь сохранились материальные остатки царского и республиканского периодов развития города: атриум и храм Весталок, так называемые Царские чертоги, базилика Эмилия, храм Сатурна, трибуна для ораторов - Ростра и др, При Августе все обветшавшие постройки были починены. Была достроена базилика Юлия, построен поминальный храм Юлия Цезаря, заново возведен храм Кастора и Поллукса, подновлен храм Сатурна и, наконец, выстроен у подножья Капитолийского холма большой храм Согласия. Одновременно было продолжено мощение форума, начатое еще при Юлии Цезаре. В результате этой строительной деятельности форум Романум превратился в прекрасный архитектурный ансамбль, как нельзя более отражавший свою эпоху, когда греческое начало в градостроительном искусстве органически сочеталось с римским, Отсутствие жесткой прямоугольной формы и симметрии, наличие разновеликих сооружений, живописность, открытость и включение окружающего пейзажа-все это отличало древний форум от форумов императорского периода.
Одновременно с реконструкцией старой площади Август предпринял строительство нового форума, получившего его имя. Форум Августа был построен по соседству с форумом Цезаря, перпендикулярно к нему. Он представлял собою пространство размером приблизительно 50 х 100 м, окруженное колоннадой и экседрами. В конце площади, согласно римской традиции, размещался храм. Август построил храм Марса Ультора (т. е. мстителя), согласно обету, данному им во время битвы при Филиппах (42 г. до н. э. ), когда Август разбил войска Брута и Кассия.
Форум имел прекрасное мраморное замощение, напоминавшее полы в общественных зданиях. Аналогичное впечатление создавалось и при взгляде на декоративное убранство форума, в котором использовались самые дорогие породы камня и бронза. К этому следует добавить, что форум был окружен высокими 30-метровыми стенами, изолировавшими площадь от города. Фактически было создано полугородское и полуинтерьерное пространство, столь характерное для императорского Рима. На этом форуме уже не происходили оживленные народные собрания, как на древней площади, не произносились с трибуны горячие речи республиканцев. Тишина и порядок царили на форуме Августа, куда допускались далеко не все жители древней столицы.
Эпоха Августа оставила глубокий след в древнеримском градостроительстве, многие черты перешли в последующие периоды его развития.
После смерти Нерона в 68 г. и кратковременного периода борьбы за власть императором становится Веспасиан, основатель династии Флавиев, затем с 79 г. его сыновья Тит (79-80 гг. ) и Домициан (81-96 гг. ). При Флавиях строительная деятельность в Риме оживилась. Прежде всего город был расчищен, ликвидированы следы пожара и разрушений. Дворец Нерона был уничтожен и на его месте построены термы Тита. Веспасианом была закончена перестройка Большого цирка у основания Палатинского холма, восстановлен храм Юпитера на Капитолии, построен обширный форум Мира поблизости от форума Августа, но главной постройкой Флавиев по праву считается Колизей (75-80 гг. ).
Колизей был одним из крупнейших амфитеатров своего времени. Размеры его овального основания насчитывали 188 х 144 м, он мог вмещать до 50 тыс. зрителей. Градостроительное значение Колизея было огромным. До этого времени трудно сказать, какое из зданий Рима было главным с объемно-пространственной точки зрения. Колизей стал именно таковым. Когда его гигантский объем был завершен и верхний ярус построен, то он стал возвышаться даже над холмами Рима, поскольку его высота достигала 48, 5 м, а максимальное превышение холмов над долиной было около 36 м. Отныне огромная чаша Колизея заняла центрирующее положение в городе и превратилась в его своеобразное статическое ядро. По своим габаритам амфитеатр Флавиев конкурировал с Капитолийским холмом и находился с ним на одной композиционной оси, проходившей через форум Романум.
Вскоре на этом направлении была построена арка Тита, воздвигнутая в ознаменование победы Рима в иудейской войне. Арка была связующим звеном между Колизеем и форумом. Она располагалась на переломе рельефа и фиксировала направление Священной улицы (виа Сакра), проходившей по форуму. На противоположной стороне форума, у подножья Капитолийского холма, рядом с храмом Согласия был построен небольшой храм Веспасиана.[7]
Плотно застроенные городские кварталы создавали большую скученность населения и способствовали распространению заразных болезней. Жилые улицы Рима были узкими и темными. Иногда они достигали ширины 5 м при высоте домов до 20 м. Естественно, что на таких улицах царила вечная сутолока, о чем очень образно писал римский поэт Ювенал, Рим был в основном «пешеходным», Богатых горожан носили на специальных крытых носилках.
Лучшим произведением этого же периода по праву считается здание Пантеона, возведенное на останках терм Агриппы на Марсовом поле. Огромное пространство Пантеона, перекрытое куполом, являлось не только чудом инженерного искусства того времени, но и определенным этапом развития городских пространств, поскольку это сооружение было соразмерно римским форумам и в нем могло вполне разместиться около 2 тыс. человек. Кроме того, диаметр Пантеона был равен диаметру экседр форумов Августа и Траяна. Эта аналогия подтверждается также и тем, что Пантеон имел верхний просвет диаметром около 9 м, через который проникало солнце и совершало свой круг в течение дня, последовательно освещая отдельные ниши со скульптурным изображением различных богов. Слепые наружные стены Пантеона также походили на стены форумов, лишенные верхних проемов и украшенные лишь карнизными тягами.
Из поздних сооружений в Риме следует назвать еще триумфальные арки Септимия Севера и Константина, построенные в центре города. Арка Септимия Севера была сооружена на древнем форуме Романум, в северо-восточном его углу. Она была возведена в память десятилетнего правления этого императора в 203 г. и несла на себе уже черты упадка римской классической архитектуры, что сказывалось в ее размещении, пропорциях и декоре. Еще более эклектичной была арка императора Константина, построенная в 315 г. в ознаменование победы Константина над Максенцием, оспаривавшим императорскую власть.
В целом, начиная со II в., Рим мало изменился в градостроительном отношении. Из очень крупных капитальных работ следует назвать лишь строительство городских крепостных стен, которое было предпринято с целью защитить город от угрозы вторжения варваров. Новое кольцо укреплений диаметром около 4 км было построено при императоре Аврелиане в 273 г. и было названо в честь этого императора. Аврелиановы стены были построены по всем правилам крепостной архитектуры этого времени. Они имели высоту 10-15 м и толщину 1, 2 м. Построенные из римского бетона и кирпича стены со стороны города имели контрфорсы, перекрытые арками, на которые опирался верхний проход. Это создавало протяженный, тянувшийся на многие километры ритмический архитектурный мотив, объединявший периферийные разрозненные постройки города. Снаружи городские стены через каждые 30 м прерывались встроенными крепостными башнями. Со времени строительства крепостных стен Рим из города с планировкой «открытого» типа превратился в замкнутый город, каким он просуществовал вплоть до начала нашего столетия.
Строительство стен не предотвратило разрушение города в V в. Так, в 410 г. Рим был взят и разграблен вестготами во главе с королем Аларихом. Затем в 455 г. Рим подвергся нашествию вандалов, и, наконец, в 476 г. начальник наемного войска германцев Одоакр низложил последнего римского императора Ромула Августула. Этим событием условно оканчивается история античного Рима.
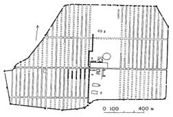
Провинциальные города Римской империи. Сложение Римской империи, протекавшее на протяжении многих столетий, сопровождалось строительством системы сухопутных дорог и большого числа городов. Города лагерного типа-Ламбезис и Тимгад. Очень многие города Римской империи были построены по типу военных лагерей. Для таких городов свойственна была регулярная планировка улиц, ограниченные размеры территории и связь с основными транзитными и стратегическими дорогами. Наиболее хорошо изучены и сохранились города, расположенные в Северной Африке, — Ламбезис и Тимгад.

Ламбезис, основанный во II в., имел территорию 500 х 200 м, улица «кардо» северо-южного направления шириной около 20 м имела с обеих сторон затененные колоннады. Улица «декуманус максимус» шириной в 15 м также была украшена колоннадой. На пересечении улиц находился Тетрапил, размеры которого в плане были 30, 6 х 22, 3 м, а высота 15м. Это было монументальное сооружение, служившее не только для архитектурного обозначения главного перекрестка города, но и являвшееся своеобразными пропилеями, ведущими на главную площадь. На форум, окруженный колоннадой, выходили помещения для хранения оружия, а южную его часть, так называемый преторий, составляли святилище, архивы, канцелярия, помещение для хранения знамен и т. д. Город был окружен крепостной стеной с укрепленными воротами и башнями. Тимгад был основан императором Траяном в 100 г. для размещения в нем ветеранов. Первоначально город был рассчитан на 2 тыс. чел., не считая рабов и подсобных рабочих. Размер его территории в период основания достигал 350 х 330 м, однако по мере развития Тимгад (как и Ламбезис) вышел за городские границы и распространился в западном направлении, где были воздвигнуты капитолий, термы, рынки, в свою очередь окруженные жилыми домами. Главная улица «декуманус максимус» являлась продолжением дороги, соединявшей Тимгад с Ламбезисом и Тевестой. Она была шириной около 15 м и имела тротуары и колоннады на всем своем протяжении и была замощена правильными диагонально уложенными каменными плитами. В западном конце этой улицы сохранились триумфальные ворота, воздвигнутые в честь Траяна после его смерти. Поперечная улица «кардо» вела от северных городских ворот к центру города и форуму. Форум Тимгада представлял собой замкнутое пространство небольших размеров (50 х 43 м). На него выходили Базилика, где занимались торговыми сделками и судопроизводством, курия, храм Фортуны и другие здания общественного назначения. Площадь была замощена и украшена многочисленными статуями богов и императоров. Южнее форума в 167 г. был построен театр. В городе имелась прекрасная библиотека, а также многочисленные термы. За городскими границами города эпохи Траяна возникли рынки, термы и Большой Капитолий-храм, посвященный культу трех главных богов Юпитера, Юноны и Минервы. Эта постройка, расположенная в специальном святилище, за пределами города, представляла собой крупное сооружение на высоком подиуме, облицованное дорогими породами местного мрамора. Большая часть общественных построек Тимгада была построена на средства наиболее богатых жителей этого города.
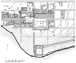
Города отдыха и развлечений на примере Помпеи. Побережье Неаполитанского залива издавна служило излюбленным местом отдыха римлян. Красота гористого пейзажа, в котором доминирует Везувий, мягкий климат, плодородные почвы, обилие чистой горной воды, минеральные источники, живописно изрезанный бухтами берег-все это привлекало сюда римских императоров, патрициев и других зажиточных граждан Рима. Байи, Путеола и другие прибрежные поселения были окружены виллами, термами, купальнями. Однако наилучшее представление о характере жизни в этом районе дает город Помпеи, погребенный под вулканическим пеплом в результате извержения Везувия в августе 79 г. н. э.

Возникновение Помпеи относится к VI в. до н. э. В IV в. до. э. это было небольшое италийское поселение, успешно торговавшее с соседними греческими городами и, несомненно, испытавшее сильное эллинистическое влияние. В 89 г. до н. э. Помпеи стали римской колонией. Город был расположен на плавно спускающейся к Неаполитанскому заливу территории размером 1700 х х 1200 м. Городские стены высотой около 8 м относятся к доримскому периоду. В городе было восемь ворот, из которых главными были Морские, Геркуланские, Стабианские, Везувианские и др. Четыре главных улицы организовывали городской план: улицы Меркурия и Стабианская, направленные на Везувий, и перпендикулярные им улицы Изобилия (Абонданца) и Нолы. Второстепенные улицы дублировали направление главных. Главные улицы имели ширину 7-8 м, второстепенные 3-4 м. Все улицы были замощены местным туфом и имели тротуары. На пересечении улиц Меркурия и Морской находился гражданский форум Помпеи. На другом перекрестке, образованном Стабианской улицей и улицей Нолы, располагались центральные термы. Поблизости от Стабианских ворот находились два театра: большой, рассчитанный на 5 тыс. зрителей, и малый. Рядом с театральным комплексом находился так называемый Треугольный форум с остатками небольшого дорического храма. В юго-восточной части города располагались амфитеатр, в котором собиралось до 15 тыс. зрителей, и огромная палестра. Гражданский форум представлял собой прямоугольную в плане площадь размером 117 х 33 м, ориентированную на Везувий. В северном ее конце находился храм Юпитера. Форум с запада и востока был окружен двухъярусной колоннадой, а с юга- одноэтажной. Вокруг него располагались главные здания города: Базилика, храм Аполлона, присутственные места, комиции, мясной рынок (Мацеллум) и рынок суконщиков (дом жрицы Евмахии), храм Ларов города и др. Форум был изолирован от городских улиц и не имел сквозного проезда. Триумфальная арка соединяла его с улицей Меркурия. На площади сохранились остатки постаментов, некогда украшенных скульптурными монументами. Это был гражданский, религиозный, торговый и зрелищный центр Помпеи.
Жилые кварталы города имели вытянутую в плане форму, что объяснялось характером помпеянских домов. Дома атриумно-перистильного типа развивались в глубь участка и состояли из атриума и перистиля, вокруг которых группировались парадные и жилые помещения. Дома богатых помпеянцев были украшены живописью и скульптурой. В перистилях благоухали растения, а в небольших фонтанах журчала вода.
Город был обильно снабжен водой. Построенный при императоре Августе акведук подводил ее к городу, а далее она распределялась по свинцовым трубам, снабжая термы, рынки, фонтаны на улицах и жилые дома.
Торговые города - Пальмира и Гераса. В экономической жизни Римской империи торговые города играли большую роль. Значение торговых центров было неодинаково. В одних случаях они обслуживали только данную округу, в других же это были крупнейшие торговые и ремесленные центры. Особого расцвета торговля достигла во II в., чему способствовал кратковременный мир, наступивший при династии Антонинов. Большое значение имели государственное строительство, поддержание и ремонт дорог. Провинции были пересечены удобными дорогами, на постройку которых тратилось много труда и средств. Они имели стратегическое значение, но одновременно способствовали также и развитию торговли.
Пальмира (по арабски Тадмор)-древний город. Первое поселение относилось, по-видимому, к началу II тысячелетия до н. э. В эллинистический период это был уже торговый город. Пальмира долгое время сохраняла свою независимость и попала под владычество Рима только в первые годы Империи. В 129 г. император Адриан посетил этот город, находившийся в это время на вершине своего богатства и блеска, и даровал ему право быть так называемым «свободным» (или вольным) городом с тем, однако, условием, чтобы он осуществлял
посредническую торговлю между Римом и странами Востока. Пальмира была расположена на перекрестке караванных путей, идущих от Персидского залива и Красного моря, а также от берегов Средиземного моря. Местность, в которой она располагалась, была примечательной. С запада ее ограничивала цепь холмов, с востока-оазис с пальмовой рощей и мелким соленым озером, на юге терялась за горизонтом бескрайняя Сирийская пустыня. Территория Пальмиры была ограничена крепостными стенами и ее размер-составлял около 2000 х 900 м. Эти стены были построены местной правительницей Зенобией (264-273 гг. ), решившей отложиться от Рима и образовать самостоятельное царство. Однако римские войска под руководством Аврелиана подавили восстание и восстановили власть Рима над Пальмирой, причинив городу значительные разрушения. Восстановление Пальмиры и строительство в западной ее части укрепленного лагеря относится к рубежу III и IV вв. -периоду правления императора Диоклетиана. Наибольшая достопримечательность города-главная улица — так называемая улица Колонн. Протяженность ее от храма Бэла до пересечения с улицей, идущей от Дамасских ворот, 1100 м. Она расчленялась на три прямолинейные отрезка переломами, которые были архитектурно оформлены тетрапилом и триумфальной аркой. Ширина проезжей части была 11м. Два тротуара по 6 м каждый находились под тенью портиков, за колоннадой. Колонны с коринфскими капителями имели высоту 9, 5 м и диаметр 0, 95 м. На специальных консолях колонн некогда размещались скульптурные изображения наиболее почетных жителей города. За колоннадой находились входы в многочисленные купеческие лавки и другие торговые помещения. К улице примыкали также главные общественные сооружения-сенат и агора, театр, храм Набо и др. Основным храмовым комплексом, к которому вела улица Колонн, был храм главного местного божества Бэла, находившийся в центре большого двора 205 х 210 м, окруженного стенами и колоннами. Западный конец улицы Колонн пересекался с улицей, начинавшейся у Дамасских ворот в виде несколько расширенного пространства. Она также имела на всем своем протяжении колоннады. Ее ширина насчитывала 23 м, а вместе с тротуарами-35 м.
Все постройки Пальмиры были выполнены из местного прекрасного камня, легко поддававшегося резцу скульптора и каменотеса. Изысканность пропорций улицы Колонн, сочетание эстетических принципов единства и разнообразия, благодаря членению ее на отдельные отрезки, ритмичность и монументальность-все это позволяет считать ее одним из лучших городских ансамблей римской античности, обогащенной местными архитектурными традициями.
По сравнению с Пальмирой Гераса была менее значительным торговым центром, однако это был важный в Аравийской провинции перевалочный пункт, куда сходились караванные пути из Египта к Дамаску и Пальмире.
Город располагался на склоне долины небольшой реки, дающей жизнь местному оазису. Расцвет Герасы относится ко II в. Город пересекали прямоугольные улицы. Главная улица по примеру всех городов Востока была украшена колоннадой. Перекрестки ее с поперечными улицами были отмечены те грапилами. Большой интерес представляли круглая и овальная площади Герасы. Овальная площадь у южных ворот, окруженная стройными ионическими колоннами, тщательно замощенная каменными плитами, уложенными в ряды, повторяющие ее округлые контуры, по-видимому, была торговой. Очевидно, южная часть города была предоставлена иноземным купцам. Здесь они могли отдохнуть после длительного пути и продать часть своих товаров. Об этом свидетельствуют также расположенные здесь храмы, театр и находившийся за городскими стенами огромный цирк-ипподром.
Круглая площадь Южного тетрапила диаметром 43 м также была окружена торговыми помещениями, вероятно, местных купцов. В центре этой площади были расположены четыре раскрепованных столба, фиксировавших главный перекресток города. Ведущую роль в композиции города играло святилище Деметры, в центре которого располагался храм, посвященный этой богине. Внутренний двор святилища по своим размерам (90 х 120 м) уступал святилищу Бэла в Пальмире, но был соразмерен главной площади форума Траяна в Риме. [8]
Грандиозность и монументальность были свойственны даже второстепенным городам восточных провинций. Расположенный на возвышенном месте, приподнятый на искусственный подиум этот храм доминировал над всем городом. От святилища широкая лестница (свыше 100 м) спускалась в сторону главной улицы, за которой архитектурно оформленный спуск продолжался вплоть до небольшого ручья, вдоль которого росли финиковые пальмы. Кроме южного театра в городе был еще северный театр-неподалеку от северного тетрапила, а также несколько терм. В архитектуре и планировке Герасы, как и Пальмиры, нашли свое воплощение эллинистические, римские и местные традиции.
Город-святилище Баалъбек. Римская религия значительно отличалась от греческой, в особенности в эпоху Империи, когда идея государственности была тесно переплетена с религиозным культом. Главным религиозным центром был Рим. Капитолийская триада (Юпитер, Юнона, Минерва) прочно заняла главенствующее значение в римском пантеоне богов. Конечно, в провинциальных городах Империи были свои местные религиозные традиции и культы, однако они не носили всеримского характера и занимали определенное положение в повседневной жизни городских жителей. Исключение составляли восточные провинции, где местные культы, еще недавно находившиеся во взаимодействии с эллинистической религиозной культурой, играли значительную роль в духовной жизни городского и сельского населения. Мы уже познакомились с грандиозными храмовыми комплексами Пальмиры и Герасы, однако в этих городах храмы, хотя и доминировали в застройке города, все же уступали ведущему значению торговли в жизни этих городов. В этом отношении Баальбек отличался от них. Святилище в Баальбеке было главным религиозным центром восточных провинций и прежде всего Сирии. В эпоху эллинизма поселение носило название Гелиополис. Возникновение поселения теряется в глубокой древности. Известно, что при Юлии Цезаре Сирия стала провинцией римлян. В этот период в Баальбеке возникла римская колония, получившая название Колония Юлия Августа Феликса Гелиополитана. В дальнейшем римляне воздвигли комплекс монументальных храмов, который стал объектом паломничества для многих жителей восточных провинций. Эти сооружения сохранились вплоть до настоящего времени, тогда как о собственно городе римлян, его планировке и точных границах имеется мало сведений.
Святилище в Баальбеке строилось на протяжении более двух столетий с I по III в, Оно расположилось в живописной местности в долине между снежными горными вершинами Ливанского и Антиливанского хребтов на высоте 1150 м над уровнем моря. Долина покрыта плодородным красноземом, на котором обильно растут апельсиновые и персиковые деревья и виноград. Храмовый комплекс, стоящий на искусственно выровненной площадке, доминирует над местностью и виден издалека. Он состоит из огромного храма Юпитера и расположенного рядом с ним, но ниже по рельефу храма Бахуса. Протяженность всей композиции Большого храма насчитывает около 300 м, т. е. почти равна протяженности форума Траяна в Риме. Святилище состоит из парадной лестницы, пропилеев с 12-колонным портиком, за которым следует шестиугольный в плане двор-вестибюль. Из вестибюля можно пройти в большой двор святилища (88 х 100 м), в центре которого находились жертвенник и два бассейна. Большой храм, называемый храмом Юпитера, известный ранее как храм Солнца, был сложен из крупных каменных блоков и представлял собой периптер размером в плане 50 х 90м. Сохранившиеся колонны этого храма коринфского ордера с богатым антаблементом производят монументальное впечатление. Их высота около 20 м при диаметре 2 м. Малый храм в Баальбеке, называемый храмом Бахуса, сравнительно хорошо сохранился. Его размер в плане 34 х 66 м. Он представляет собою периптер с 8 х 15 колонн. Великолепная каменная кладка из крупных блоков, резные украшения антаблемента и карниза-все эти характерные для сирийской античной архитектуры черты свойственны Баальбекскому ансамблю, в то время как строгость общего композиционного построения носит чисто римский характер.
Город-резиденция па примере дворца Диоклетиана в Сплите. Так же, как города-святилища, города-резиденции были редким случаем в градостроительной практике римлян, Главным местопребыванием римских императоров была столица, во время же походов и поездок по империи они останавливались в тех или иных провинциальных городах, устраиваясь там на временное жительство. Рим как главная императорская резиденция не знал конкурентов, Однако во времена Диоклетиана (284-303 гг. ) положение изменилось. Постоянные восстания в провинциях, общая деградация централизованной власти, кризис рабовладельческой экономики заставили императора Диоклетиана провести ряд реформ и в том числе политическую, Власть была разделена между двумя императорами (при сохранении главенства Диоклетиана) и двумя цезарями, Каждый из них имел свою резиденцию. Диоклетиан имел постоянную резиденцию в городе Никомедия (Вифиния) на азиатском берегу Мраморного моря, неподалеку от Босфора. Его соправитель Максимиан-в Медиолануме (Милане), цезарь Гай Валерий имел представительство в Сирмии (на р. Саве), а цезарь Констанций Хлор-в городе Августа Треверов (Трире). Таким образом число столиц увеличилось. Рим же, сохраняя значение столичного города, фактически не был им. Император Диоклетиан помимо официальной резиденции в Никомедии построил частную резиденцию у себя на родине в Далмации на берегу Адриатического моря в Сплите.
Дворец Диоклетиана в Сплите (Спалато) был закончен в 305 г. По своей композиции он представлял собой город, спланированный по типу военных лагерей с высокими крепостными стенами, башнями и воротами. Общий размер городской территории был 215 х 180 м. Главные улицы шириной 11 м имели на всем своем протяжении колоннады. В северной части города располагались кварталы, где была расквартирована императорская гвардия, находились конюшни и провиантские склады. Ближе к дворцу располагались два ансамбля: мавзолей императора (так называемый храм Юпитера)-восьмигранное центрическое сооружение и святилище с храмом. Дворцовые покои императора, обращенные к морю, представляли собой сложный комплекс внутренних помещений, подчиненных главной оси симметрии. Следует отметить, что город-дворец Диоклетиана являлся одним из поздних сооружений античного Рима, в котором в едином архитектурном комплексе объединялись дворец, крепость и город.
Значение античного Рима в дальнейшем развитии градостроительной культуры было огромным, Не случайно, что возрождение античных традиций в XV-XVI вв, раньше всего произошло в Италии, Позднее руины античного Рима оказались той питательной средой, в которой взросли и определились градостроительные принципы европейского классицизма второй половины XVIII в.
Кроме того, высокий уровень инженерного искусства и благоустройства городских территорий послужил впоследствии примером для многих городов Западной и Восточной Европы. Все это говорит о том, что в древнеримском градостроительстве были заложены большие потенциальные возможности, которые получили дальнейшее развитие в последующие периоды.