| Скачать .docx |
Реферат: Расчет спутникового канала Алматы-Атырау
1. Энергетический расчет спутникового канала Алматы-Атырау
Для расчета энергетики радиолиний зададимся исходными данными. Выберем в качестве используемого ИСЗ спутник АзияСат-2 (100,5° в.д.). Это геостационарный спутник, луч которого в С-диапазоне покрывает Китай, Японию, Индонезию, Индию, Средний Восток, страны СНГ. Техническая спецификация спутника приведена в таблице 2.1, зона покрытия - на рисунке 2.1.

Рисунок 2.1 - Зона покрытия ИСЗ АзияСат-2
Таблица 2.1 - Техническая спецификация ИСЗ АзияСат-2
| 1. Разработчик / производитель | Lockheed Martin Astro Space |
| 2. Модель | Astro Series 7000 |
| 3. Масса при запуске | 3,5 тонны |
| 4. Планируемый срок службы | 13 лет |
| 5. Стабилизация | Стабилизирован по 3 осям |
| 6. Орбитальная позиция | 100,5° в.д. |
| 7. Число транспондеров | 24 |
| 8. Частота трансляции (вверх/вниз) | 6 / 4 ГГц |
| 9. Ширина полосы частот транспондера | 20 по 36 МГц, 4 по 72 МГц |
| 10. Поляризация | Линейная |
| 11. Максимальная ЭИИМ | 40 дБВт |
| 12. Зона покрытия | Китай, Япония, Индия, Средний Восток, СНГ |
| 13. Мощность передатчика на ЛБВ | 55Вт |
| 14. Плотность потока насыщения (SFO) | -97 ± 1 дБ·Вт/м2 (макс) |
| 15. Приемная командная частота | 6423,5 МГц – вертикально поляризованная |
| 16. Передаваемые частоты телеметрии | 4197,5 МГц горизонт. 4199,5 МГц горизонт. |
Так как Алматы находится в зоне с эквивалентной изотропно излучаемой мощностью потока энергии 39 дБ∙Вт, а остальная территория Республики Казахстан находится в зоне с ЭИИМ 37 дБ·Вт, выберем в качестве местоположения периферийной станции город Атырау, географические координаты которого 47°6' с.ш. и 51°55' в.д.Центральную станцию системы разместим в городе Алматы, координаты которого 43°14' с.ш. и 76°58' в.д.
На рисунке 2.2 приведен частотный план ИСЗ АзияСат-2.

Рисунок 2.2 - Частотный план ИСЗ АзияСат-2
Рассчитаем расстояния от земных станций до бортового ретранслятора по формуле, приведенной в /5/:
, (2.1)
где
,
где ξ - широта наземной станции,
β- разность долгот спутника и земной станции,
d - расстояние от земной станции до спутника, км.
Подставляя исходные данные в формулу (2.1), получим:
для Алматы:

для Атырау:

Далее рассчитаем угол места и азимут на спутник с земных станций по формулам, приведенным в /5/:
(2.2)
(2.3)
где
,
- долгота подспутниковой точки, грд;
- долгота земной станции, грд;
- широта земной станции, грд.
Подставляя исходные данные в формулы (2.2) и (2.3), получим:
для Алматы:
,
,
для Атырау:
,
.
Далее рассчитаем затухание энергии сигнала, в свободном пространстве: для этого необходимо выбрать конкретный транспондер, через который будет работать сеть, чтобы знать частоты приема и передачи, необходимые для расчетов (рисунок 2.2).
Выберем для расчетов транспондер 1А, центральные частоты этого транспондера - 5885 МГц на прием и 3660 МГц на передачу.
Затухание энергии сигнала в свободном пространстве рассчитывается по формуле:
(2.4)
где L - затухание энергии, дБ;
d - расстояние между ИСЗ и ЗС, м;
- длина волны, м;
с =3·108 м/с - скорость света;
f - частота сигнала, Гц.
Для Алматы затухание энергии сигналов в свободном пространстве за счет расхождения фронта волны на пути распространения Земля - спутник (f = 5885 МГц, λ= 0,0509 м) будет равно:

а на пути распространения спутник - Земля (f = 3660 МГц, λ = 0,0819 м ) равно:

Аналогично рассчитываем затухание для ЗССС в Атырау. Подставляя в формулу (2.4) исходные данные, получаем затухание на линии Земля спутник:

а на линии спутник - Земля:

Для дальнейших расчетов необходимо воспользоваться некоторыми техническими характеристиками станции. Технические характеристики центральной и удаленной станций и бортового ретранслятора сведем в таблицы 2.2, 2.3, 2.4.
Таблица 2.2 - Параметры центральной станции
| Параметр | Величина | Обозначение |
| Диаметр антенны, м | 4,6 | Dцс |
Коэффициенты усиления антенны: на передачу, дБ на прием, дБ |
53,4 52 |
|
Затухание в ВЧ-части: на передачу, дБ на прием, дБ |
4,1 1,9 |
|
| Выходная мощность передатчика, дБ | 13 | |
| Эквивалентная шумовая температура, К | 355 | Тцс |
| Требуемое отношение сигнал/шум на входе приемника при вероятности ошибки 10-6 , дБ | 7,2 | ![]() |
Таблица 2.3 - Параметры удаленной станции
| Параметр | Величина | Обозначение |
| Диаметр антенны, м | 1,8 | Dус |
Коэффициенты усиления антенны: на передачу, дБ на прием, дБ |
40 39 |
|
Затухание в ВЧ-части: на передачу, дБ на прием, дБ |
4,7 1,7 |
|
| Эквивалентная шумовая температура, К | 355 | Тус |
| Требуемое отношение сигнал/шум на входе приемника при вероятности ошибки 10-6 , дБ | 7,2 | ![]() |
Таблица 2.4 - Параметры бортового ретранслятора
| Параметр | Величина | Обозначение |
| Эквивалентная изотропно излучаемая мощность в центре зоны, дБ | 40 | ЭИИМ |
| Мощность бортового передатчика, дБ | 17,40 | Рб |
Затухание в ВЧ-части на передачу, дБ на прием, дБ |
2 2 |
|
| Эквивалентная шумовая температура, К | 1200 |
Для дальнейших расчетов необходимо, вычислить коэффициенты усиления антенны спутника в направлении на ЗС Алматы и Атырау.
Воспользуемся формулой из /5/:
, (2.5)
где Рпер - эффективная мощность сигнала на выходе передатчика, дБ;
η - затухание в ВЧ-части, дБ.
Исходя из рисунка 2.1, Алматы находится в зоне с ЭИИМ = 39 дБ; Атырау в зоне с ЭИИМ = 37 дБ. Преобразуем формулу (2.5).
(2.6)
Вычислим усиление антенны спутника в направлении
на Алматы:
![]()
на Атырау:
![]()
Произведем расчет дополнительного затухания при распространении радиоволн в атмосфере. Воспользуемся формулой, приведенной в /5/:
(2.7)
где
- дополнительное затухание, дБ;
- поглощение энергии сигнала в атмосфере, дБ;
- потери в гидрометеорах, дБ;
- потери из-за несогласованности поляризации антенн, дБ.
Определим величину потерь для каждой станции, исходя из графиков, представленных в /5/ и результатов, полученных по формулам (2.2) и (2.3):
для Алматы (азимут = 147,56°, угол места = 31,98°):
La = 1 дБ; Ln = 1 дБ; Lg =7 дБ; LН = 2 дБ;
тогда:
![]()
для Атырау (азимут = 122,8°, угол места = 16,37°)
La = 1 дБ; Ln = 1 дБ; Lg =7 дБ; LН = 2 дБ;
![]()
Дополнительное затухание при распространении вниз будет отличаться от затухания при распространении луча вверх на малую величину, которой можно, пренебречь, поэтому для удобства расчетов примем
.
Следующим шагом необходимо произвести расчёт мощности для передатчиков ЗС и бортового ретранслятора. Так как мощности передатчиков ЦС и ИСЗ нам известны, приведем расчет мощности для удаленной станции, исходя из условий минимизации мощности передатчика удалённой станции.
Расчёт мощности передатчика земной станции выполняется по формуле из /6/:
(2.8)
где
-
затухание на трассе вверх, дБ;
- дополнительное затухание, дБ;
k = -228,6 дБ - постоянная Больцмана;
- суммарная шумовая температура борта, дБ;
- шумовая полоса ЗС, дБ;
- коэффициент усиления на передачу ЗС, дБ;
- коэффициент усиления на прием спутника, дБ;
- затухание в ВЧ-части земной, станции на передачу, дБ;
- затухание в ВЧ-части спутника на прием, дБ;
а = 7 дБ - коэффициент запаса;
(Рс/Рш) - сигнал/шум на входе приемника, дБ.
Для формулы (2.8) все величины подставляются в децибелах. Подставляя все вышеуказанные величины в формулу (2.8) получим:

Переведем
в ватты, получаем:
.
Для реальной станции для С-диапазона предлагается использование передатчика мощностью 5 Вт.
Рассчитаем мощность, требующуюся при работе удаленной станции на центральную станцию по формуле (2.8):

Переведем Рпер.З в ватты:
.
При работе удаленной станции на центральную требуется мощность 1,26 Вт, что показывает работоспособность станции с мощностью передатчика 5 Вт.
Исходя из расчетов по мощности и энергетике радиолиний, делаем вывод о том, что система реализована для существующего оборудования.
2. Расчет электромагнитной совместимости системы для Казахстана при использовании ИСЗ AsiaSat 2
Расчет электромагнитной совместимости системы основан на представлении, что по мере возрастания уровня мешающего излучения, увеличивается шумовая температура системы, подвергающейся помехам.
Согласно этому методу рассчитывается кажущееся увеличение эквивалентной шумовой температуры линии, обусловленное помехами, создаваемыми мешающей станцией и отношение этого увеличения к эквивалентной шумовой температуре спутниковой линии, выраженное в процентах /7/.
Для конкретного случая выберем земную станцию, находящуюся на территории России в Москве; эта станция является мешающей станцией для проектируемой системы и наоборот. Данные по этой станции приведены в таблице 3.1.
Мешающая система работает на тех же частотах, что и проектируемая и использует искусственный геостационарный спутник Горизонт Стационар 12, находящийся на 40° в.д., максимальная плотность потока мощности в полосе 1 Гц, подводимая к антенне спутника, усредненная в наихудшей полосе шириной 4 кГц, равна –57 дБ·Вт/Гц.
Таблица 3.1 – Параметры мешающей системы для расчета электромагнитной совместимости
| Параметр | Величина |
| Широта, ° с.ш. | 55 |
| Долгота, ° в.д. | 38 |
| Диаметр антенны, м | 6 |
| Максимальная плотность мощности, подводимая к антенне, усредненная к наихудшей полосе, шириной 4 кГц, дБ·Вт/Гц | -34 |
| Коэффициент передачи спутниковой линии на пути вниз | 0,032 |
| Шумовая температура, К | 350 |
Методика расчета приведена в /7/ и сводится к определению приращения шумовой температуры по следующим формулам:
, (3.1)
где
-
приращение шумовой температуры на пути вверх, дБ;
- максимальная плотность мощности в полосе 1 Гц, подводимая к антенне передатчика станции мешающей, усредненная в наихудшей полосе, шириной 4 кГц, дБ;
- усиление антенны, работающей на передачу земной станции ЗС1, в направлении спутника С2, дБ;
- усиление приемной антенны спутника С2 в направлении ЗС1, дБ;
k - постоянная Больцмана;
Lu - затухание при распространении волны вверх, дБ.
, (3.2)
где
-
приращение шумовой температуры на пути вниз, дБ;
- максимальная плотность потока мощности в полосе 1 Гц, подводимая к антенне спутника С1, усредненная в наихудшей полосе шириной 4 кГц, дБ;
- усиление передающей антенны спутника С1 в направлении земной станции ЗС2;
- усиление антенны приемной станции ЗС2 в направлении спутника С1, дБ;
Ld - затухание при распространении волны вниз.
, (3.3)
где
- кажущееся увеличение эквивалентной шумовой температуры всей спутниковой линии, К;
- коэффициент передачи конкретной спутниковой линии.
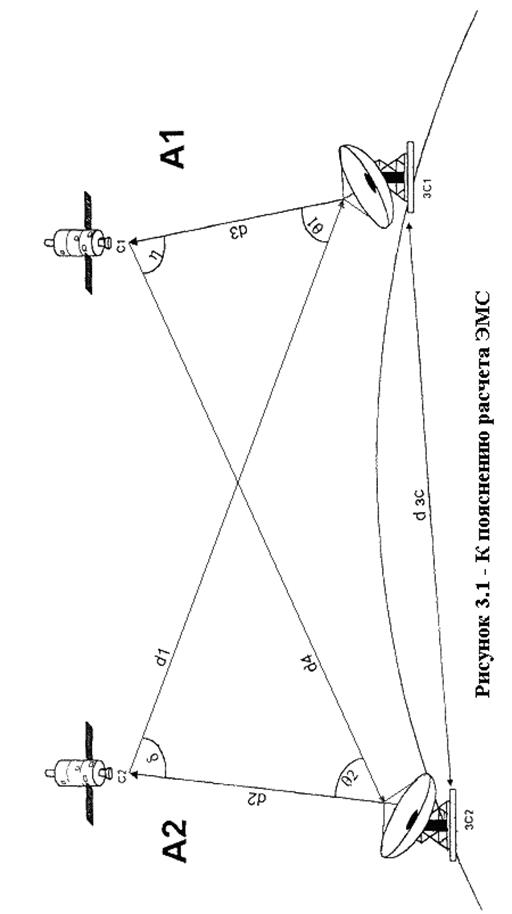
На рисунке 3.1 приведены все расстояния и углы, определенные в расчете. Система А1, связанная со спутником С1 и земной станции ЗС1 является мешающей для системы А2, состоящей из спутника С2 и земной станции ЗС2.

Определим неизвестные величины для формул (3.2) и (3.3):
Расстояние от станции до спутников по формуле (2.1):
а) Алматы:
;
;
б) Москва:
;
.
Далее определим расстояние между земными станциями:
, (3.4)
где
;
;
;
;
;
,
где R - радиус Земли (R = 6370 м);
- широта Алматинской станции;
- долгота Алматинской станции;
- широта Московской станции;
- долгота Московской станции.

Определим топоцентрические углы
и
/7/:
; (3.5)
где
- расстояние от земной станции до первого спутника, км;
- расстояние от земной станции до второго спутника, км;
- геоцентрический угловой радиус, грд.
;
.
Далее определим экзоцентрические углы δ и η :
; (3.6)
;
.
Рассчитаем усиление антенн по направлению на мешающую систему. Так как на этих спутниках используются узконаправленные лучи, то усиление антенн по направлению, расходящемуся с главным, лепестком на угол
можно определить, по формуле:
. (3.7)
Таким образом, вычисляем:
;
;
;
.
Необходимо вычислить потери при распространении сигнала на трассе вверх и вниз по формуле:
, (3.8)
где f - частота, МГц;
d - расстояние, км.
;
.
Оценим мешающее влияние Алматинской станции на Московскую. Подставив данные, полученные выше, в формулы (3.1), (3.2) получим:
;
;
Отсюда
;
,
тогда
.
Таким образом,
.
Процентное увеличение эквивалентной шумовой температуры составляет 5,98%, что меньше порогового уровня - 6%, следовательно, координация не требуется и работа системы не вносит помех работе Московской системы.
Оценим влияние Московской системы на Алматинскую. Как и в предыдущем примере рассчитаем:
;
;
Отсюда
;
,
тогда
.
Таким образом,
.
Значение меньше порогового уровня 6%. Из результатов вычислений можно сказать, что системы не мешают друг другу в работе, хотя оба спутника используют глобальный луч и практически нет разницы в уровнях между полезным и мешающим сигналом, которая могла бы иметь место за счет диаграммы направленности антенны на спутнике. То есть можно сделать вывод о совместимости систем.

