| Похожие рефераты | Скачать .docx | Скачать .pdf |
Курсовая работа: Геоэкологические проблемы трубопроводного транспорта
Федеральное агентство по образованию
ГОУ ВПО «Волгоградский государственный университет»
Факультет управления и региональной экономики
Кафедра экономики природопользования
Геоэкологические проблемы трубопроводного транспорта
КУРСОВАЯ РАБОТА
по геоэкологии
Волгоград – 2008 г.
Оглавление
Глава 1. Общая характеристика и конструктивные особенности. 6
трубопроводного транспорта. 6
1.1 Классификация трубопроводов. 6
1.2 Характеристика трубопроводной коммунальной. 9
системы 9
1.3 Конструктивные схемы линейной части трубопроводов. 12
1.4 Трубопроводный транспорт Российской Федерации. 16
Глава 2. Влияние трубопроводного транспорта на окружающую среду. 20
2.1 Характеристика воздействий на окружающую среду и их. 20
последствия. 20
2.2 Воздействие нефти и нефтепродуктов на. 23
почвенно-растительный комплекс. 23
2.3. Загрязнение грунтовой среды при утечках нефти и. 26
нефтепродуктов. 26
2.4 Загрязнение рек и водоемов нефтью и нефтепродуктами. 27
2.5 Загрязнение приземного слоя атмосферы при. 31
эксплуатации магистральных трубопроводов и его последствия. 31
2.6 Коммунальные трубопроводы и их воздействие на окружающую среду и человека 32
Глава 3. Геоэкологические проблемы, возникающие при строительстве и эксплуатации трубопроводов. 35
3.1 Воздействия на окружающую природу при. 35
строительстве магистральных трубопроводов. 35
3.2 Взаимодействие трубопровода с окружающими породами. 37
3.3 Влияние строительства и эксплуатации магистральных трубопроводов на животный мир. 38
3.4 Мероприятия по охране окружающей среды в период. 41
эксплуатации. 41
Заключение. 44
Список использованной литературы.. 46
Приложения. 47
Трубопроводный транспорт - вид транспорта, осуществляющий передачу на расстояние жидких, газообразных или твердых продуктов по трубам.
Трубопроводные системы являются основой системы обеспечения населения, производства и сельского хозяйства жизненно важными продуктами: чистым воздухом, питьевой и технологической водой, высоко- и низкопотенциальным теплоносителем (теплом), газом, нефтепродуктами. Они также отводят многочисленные отходы (бытовые и производственные стоки, загрязненный воздух, дымовые газы, мусор и твердые отходы) [16;17].
Для надежного и устойчивого развития общества в трубопроводных системах водоснабжения, водоотведения, тепло- и газоснабжения, нефте- и газопроводах в России уложено 2 млн км подземных трубопроводов [19].
Трубопроводные конструкции и системы находят широкое применение практически во всех отраслях народного хозяйства. Трубопроводы относятся к категории энергонапряженных объектов, отказы которых сопряжены, как правило, со значительным материальным и экологическим ущербом. Многочисленные отказы на технологических трубопроводах, транспортирующих пожаро-взрывоопасные продукты, ядовитые компоненты и токсичные среды, приводят к локальным и масштабным загрязнениям окружающей среды, создают повышенный риск с точки зрения безопасности персонала и населения. Особую остроту приобретает проблема надежности и экологической безопасности в системах магистрального трубопроводного транспорта газа, нефти и нефтегазопродуктов, аммиакопроводов и других продуктопроводов. Отказ магистрального трубопровода, проявляющийся в местной потере герметичности стенки трубы, трубных деталей или в общей потере прочности в результате разрушения, приводит, как правило, к значительному экологическому ущербу с возможными непоправимыми последствиями для окружающей природной среды.
Определяющим критерием экологической безопасности трубопроводов является их надежность — один из основных показателей качества любой конструкции (системы), заключающийся в способности выполнять заданные функции, сохраняя свои эксплуатационные свойства в течение требуемого промежутка времени "жизненного цикла".
Конструктивная надежность как свойство трубопроводной конструкции должно удовлетворять экологическим критериям, поскольку полная или частичная утрата трубопроводом его работоспособности неизбежно сопровождается отрицательным воздействием на окружающую среду. Таким образом, расчетные модели конструктивной надежности трубопроводов должны строиться с учетом экологических ограничений. Количественной мерой таких ограничений должны быть значения предельных допустимых воздействий (ПДВ), оцениваемых по всем компонентам окружающей природной среды, находящимся в контакте с трубопроводом.
Наибольшую потенциальную опасность для окружающей среды представляют магистральные трубопроводы, являющиеся линейно-протяженными объектами с высоким уровнем экологической опасности. Поэтому поиск эффективных путей, направленных на гарантированное обеспечение конструктивной надежности трубопроводов, — весьма актуальная задача с высокой экологической ответственностью [9].
Объект курсовой работы – трубопроводный транспорт различного назначения
Предметом является изучение геоэкологических проблем трубопроводов.
Цель курсовой работы заключается в поиске эффективных путей, направленных на гарантированное обеспечение конструктивной надежности и экологической безопасности трубопроводов.
Задачи курсовой работы:
• изучение роли трубопроводного транспорта в экономике и жизни населения;
• рассмотрение принципов укладки трубопроводов;
• анализ состояния трубопроводного транспорта;
• выявление геоэкологических проблем, связанных с транспортировкой нефти и газа;
• задачи охраны окружающей среды при строительстве и эксплуатации трубопроводов;
• разработка мероприятий и перспектив по улучшению систем трубопроводного транстпорта.
Методологической основой курсовой работы являются труды учёных в области конструкции трубопроводного транспорта, нормативные документы по вопросу проектирования трубопроводов.
Глава 1. Общая характеристика и конструктивные особенности трубопроводного транспорта
1.1 Классификация трубопроводов
В зависимости от назначения и территориального расположения различают магистральный и промышленный (технологический) трубопроводный транспорт.
К магистральному трубопроводному транспорту относятся газонефтепроводы, по которым транспортируются продукты от мест добычи к местам переработки и потребления - на заводы или в морские порты для перегрузки в танкеры и дальнейшей перевозки. По магистральным продуктоводам перемещаются готовые нефтепродукты с заводов в районы потребления. Общая протяженность магистральных трубопроводов по территории России составляет около 200 тыс.км. На пути следования они более 5 тыс. раз пересекают различные водные преграды.
Технологические трубопроводы составляют свыше одной трети трубопроводов промышленных предприятий. По ним транспортируются газ, пар, жидкость, являющиеся сырьем, полуфабрикатами, готовой продукцией, отходами производства или продуктами, необходимыми для нормального течения технологического процесса. По технологическим трубопроводам транспортируются также вредные для здоровья и опасные в пожарном отношении продукты, причем при разных давлениях и температурах [1].
По характеру линейной части различают трубопроводы:
· магистральные, которые могут быть однониточные простые (с одинаковым диаметром от головных сооружений до конечной ГРС) и телескопические (с различными диаметрами труб по трассе), а также многониточные, когда параллельно основной нитке проложены вторая, третья и последующие нитки;
· кольцевые, сооружаемые вокруг крупных городов для увеличения надежности снабжения газом (нефтепродуктами) и равномерной подачи газа (нефтепродуктов), а также для объединения магистральных газопроводов в Единую газотранспортную систему страны.
Нефтепроводом принято называть трубопровод, предназначенный для перекачки не только нефти, но и нефтепродуктов. Когда хотят подчеркнуть, что перекачиваются именно нефтепродукты, то употребляют термин нефтепродуктопровод. В зависимости от вида перекачиваемого нефтепродукта трубопровод называют также бензинопроводом, керосинопроводом или мазутопроводом и т. д.
По своему назначению нефтепроводы делятся на три группы:
-внутренние (внутрипромысловые, внутризаводские и т. п.) — соединяют различные объекты и установки на промыслах, нефтеперерабатывающих заводах и нефтебазах;
-местные — по сравнению с внутренними имеют большую протяженность (до нескольких десятков километров) и соединяют нефтепромыслы или нефтеперерабатывающие заводы с головной станцией магистрального нефтепровода или с пунктами налива на железной дороге или в наливные суда;
-магистральные — характеризуются большой протяженностью (до 1000 км и более), поэтому перекачка нефти (нефтепродуктов) производится одной или несколькими насосными станциями, расположенными по трассе, непрерывно (кратковременные остановки носят случайный характер или связаны с ремонтом).
В соответствии со СНиП 11.45—75 установлено четыре класса магистральных нефтепроводов и нефтепродуктопроводов в зависимости от условного диаметра труб: I класс — более 1000 мм; II класс — 1000—500 мм; III класс — 500—300 мм и IV класс — менее 300 мм.
Магистральным газопроводом называется трубопровод, предназначенный для транспорта газа из района добычи или производства в район его потребления, или трубопровод, соединяющий отдельные газовые месторождения.
Ответвлением от магистрального газопровода называется трубопровод, присоединенный непосредственно к магистральному газопроводу и предназначенный для отвода части транспортируемого газа к отдельным населенным пунктам и промышленным предприятиям [2;6].
Трубопроводы, транспортирующие продукцию скважин на площадях нефтяных месторождений, делятся:
1) по назначению - на нефтепроводы, газопроводы, нефтегазопроводы, нефтегазоводопроводы и водопроводы;
2) по напору - на напорные и безнапорные;
3) по рабочему давлению - на трубопроводы высокого (6,4 МПа и выше), среднего (1,6 МПа) и низкого (0,6 МПа) давления;
4) по способу прокладки - на подземные, полуподземные, надземные, наземные и подводные;
5) по функции - на выкидные линии, идущие от устьев скважин до групповой замерной установки; нефтяные, газовые, водяные и нефтегазоводяные сборы с коллектора; товарные нефтепроводы;
6) по гидравлической схеме работы – простые трубопроводы, без ответвлений и сложные с ответвлениями к которым относятся также замкнутые (кольцевые) трубопроводы [3;7].
Все перечисленные трубопроводы по напору делятся на трубопроводы с полным заполнением трубы жидкостью и трубопроводы неполным заполнением трубы жидкостью.
Трубопроводы с полным заполнением сечения трубы жидкостью называются напорными, а трубопроводы с неполным заполнением сечения могут быть как напорными, так и безнапорными.
Выкидные линии и нефтесборные коллекторы обычно не полностью заполнены нефтью, т.е. часть сечения выкидных линий или коллектора занята газом, выделившимся или в процессе движения нефти по ним, или увлеченным нефтью из сепараторов в связи с их плохой работой.
В самотечных нефтепроводах нефть движется под действием гравитационных сил, обусловленных разностью вертикальных отметок в начале и в конце нефтепровода. Если при этом в нефтепроводе нефть и газ движутся раздельно, то такой нефтепровод называют свободно-самотечным, или безнапорным, а при отсутствии газовой фазы напорно-самотечным [17].
1.2 Характеристика трубопроводной коммунальной системы
Трубопроводные системы являются основным элементом коммунальных систем, которые во многом формируют основные потребительские требования к ним.Значительная протяженность трубопроводных сетей обусловлена размерами территории России, на которой расположено 3100 городов, поселков, населенных пунктов, имеющих высокую степень благоустройства: 84 % оборудованы централизованным водопроводом, 82 % канализацией, 85 % централизованным теплоснабжением. Системы ЖКХ развивались в сложных послевоенных условиях, при ограниченном финансировании и необходимости быстро обеспечивать коммунальными услугами огромное жилищное строительство. Поэтому из многих видов труб в российских трубопроводных сетях в основном применялись дешевые высокотехнологичные в монтаже стальные трубы.
Жизненный цикл трубопроводных систем включает следующие этапы:
1. Проектирование. Этот цикл наиболее короткий, но самый важный. Именно при проектировании принимаются все основные решения, от правильности которых на 80 % зависит количество и качество трубопроводной системы. На этой стадии анализируют назначение объекта, условия его будущей эксплуатации и в зависимости от этого принимают решение о выборе материала трубопровода. Правильность принятия решений на данной стадии позволит значительно уменьшить строительные и эксплуатационные затраты.
2. Строительство – 0,5–2 года. В этот период на оставшиеся 10–20 % определяется качество трубопровода. Соблюдение всех монтажных правил, правильность технологии монтажа, транспортировки, погрузки, разгрузки, приемки и хранения материала позволит обеспечить длительный и бесперебойный срок службы трубопровода и значительно снизить эксплуатационные расходы.
3. Эксплуатация. Наиболее продолжительный период в жизни трубопроводных систем, сопоставимый со сроком службы здания или населенного пункта (50–100 лет). Именно при эксплуатации выявляются все недостатки проектных решений и монтажа, при значительной величине которых затраты на эксплуатацию достигают критической величины, что напрямую отражается на материальном благосостоянии граждан. Необходимо отметить, что затраты на эксплуатацию систем трубопроводов многократно превышают первоначальные затраты на их монтаж и проектирование (в десятки раз).
4. Утилизация трубопроводов. В современных условиях необходимо учитывать последний этап жизненного цикла – утилизацию, которая должна обеспечивать максимальное возвращение материала в общественное производство и минимальное загрязнение окружающей среды. Требования каждого этапа должны учитываться при оценке трубопроводных систем с соответствующим весовым коэффициентом.
При рассмотрении многочисленных материалов для трубопроводных систем, представленных на российском рынке обычно анализируют качество труб, которые, являются основной, но не единственной составляющей трубопроводных систем.
В общем виде трубопроводная система состоит:
– из собственно трубопровода (его линейная часть с ответвлениями, соединениями, соединительными частями);
– трубопроводной арматуры (запорной, предохранительной и т. д.);
– опорных, компенсирующих, закрепляющих и балластирующих конструкций;
– узлов подключения оборудования (очистных устройств, насосов, гидрантов и т. д.);
– установок защиты металлических элементов от коррозии;
– противопожарных средств;
– защитных сооружений трубопроводов;
– технологических емкостей;
– сооружений службы эксплуатации трубопроводов;
– линий и сооружений технологической связи, средств телемеханики, линий электропередач для питания освещения, дистанционного управления арматурой и установок;
– вдольтрассовых дорог, площадок и подъездов к ним;
– опознавательных и сигнальных знаков, указателей.
При оценке качества и выборе материала трубопроводных систем необходимо учитывать все элементы, которые оказывают значительное влияние на их экономические показатели и надежность.
В общем виде эти требования следующие:
– бесперебойное обеспечение потребителей услугой (подачей необходимого количества воды, тепла, газа, отведение стоков и т. д.) заданного качества, исключающей ущерб и вред здоровью человека;
– безопасность для здоровья и жизни человека и окружающей среды;
– устойчивость к внутреннему давлению, температуре и внешним воздействиям;
– срок службы (долговечность), соизмеримая со сроком службы здания при минимальном количестве капитальных ремонтов;
– коррозионная устойчивость к транспортируемой и внешней среде. Возможность длительной работы в условиях повышенной влажности;
– герметичность во всем диапазоне рабочих давлений;
– ремонтопригодность (возможность осмотра, обслуживания, ремонта, монтажа и демонтажа);
– электро- и пожаробезопасность;
– минимальные затраты на эксплуатацию с наименьшими потерями готового продукта и ущербом;
– минимальные затраты на монтаж.
Для каждой трубопроводной системы (водоснабжение, отопление, теплоснабжение и т. д.) должны быть разработаны конкретные территориальные требования (отраслевые стандарты). При разработке этих требований можно использовать ГОСТ 4.200–78 [19].
1.3 Конструктивные схемы линейной части трубопроводов
Магистральные трубопроводы являются сооружениями линейного типа и предназначены, главным образом, для транспортирования газа, нефти и нефтепродуктов, а также воды от мест их добычи (нефть и газ), получения (нефтепродукты), водозабора (вода) к местам потребления. Протяженность отдельных магистральных трубопроводов может составлять тысячи километров.
Основной составляющей магистрального трубопровода является линейная часть, представляющая непрерывную нить, сваренную из отдельных труб и уложенную вдоль трассы тем или иным способом. Линейная часть (в дальнейшем будем называть ее трубопроводом) прокладывается в самых разнообразных топографических, геологических, гидрогеологических и климатических условиях. Наряду с участками, сложенными грунтами, обладающими большой несущей способностью, вдоль трассы часто встречаются участки с грунтами малой несущей способности, а также болотистые участки, участки многолетнемерзлых грунтов и др. Наличие их осложняет как процесс строительства трубопровода, так и его работу в период эксплуатации.
Кроме того, магистральные трубопроводы пересекают значительное количество естественных и искусственных препятствий (реки, озера, железные и шоссейные дороги), требующих соответствующих конструктивных решений, обеспечивающих как надежную работу трубопровода, так и беспрепятственную эксплуатацию пересекаемых искусственных сооружений по их прямому назначению.
В настоящее время при сооружении магистральных трубопроводов применяют различные конструктивные схемы укладки линейной части трубопроводов. Основными из них являются: подземная, полуподземная, наземная и надземная.
Подземная схема укладки является наиболее распространенной. По этой схеме обычно сооружается большая часть любого магистрального трубопровода. При подземной схеме (рис. 1. а) отметка верхней образующей трубы располагается ниже отметки дневной поверхности грунта на высоту засыпки. Высота засыпки определяется в зависимости от района, по которому проходит трасса трубопровода, но должна быть не меньше, чем предусмотрено строительными нормами и правилами или техническими условиями. Увеличение высоты засыпки на отдельных участках может быть обусловлено необходимостью обеспечения упругого радиуса изгиба трубы для конкретного рельефа местности, теплотехническими требованиями, а иногда необходимостью использования минерального грунта как балластировки для удержания труб от всплытия на обводненных участках.

Рис. 1. Конструктивные схемы укладки магистральных трубопроводов:
а—подземная;б—полуподземная; в—наземная;г—надземная
Полуподземная схема укладки (рис. 1. б) предусматриваетсооружение трубопровода, при которой нижняя образующая трубы расположена ниже, а верхняя выше дневной поверхности грунта. Глубина траншеи и высота обвалования трубы определяются в зависимости от гидрогеологических характеристик грунтов основания-, естественного откоса грунтов обвалования, условий организации поверхностного водостока и водоотведения, атакже необходимостью уменьшения или полного устранения балластировки трубопровода.
Наземная схема укладки (рис. 1. в) характеризуется тем, что нижняя образующая трубы имеет отметку на уровне дневной поверхности грунта или выше (на грунтовой подушке). При наземной укладке трубопровод обваловывается привозным или местным грунтом. Высота насыпи, ширина ее по верху и величина откосов определяются расчетами (строительными и теплотехническими) или назначаются на основании опыта, полученного при строительстве трубопроводов в аналогичных условиях.
Надземная схема укладки предусматривает сооружение трубопровода над землей (рис. 1. г) на различного рода опорных устройствах.
Рассмотрим кратко возможные области применения перечисленных конструктивных схем укладки трубопроводов.
Подземная схема укладки применима практически в любых районах России.
Однако эта схема для участков ряда районов оказывается экономически невыгодной по сравнению с другими схемами. Такими участками являются:
-участки многолетнемерзлых грунтов при перекачке по трубопроводу продукта, длительное время имеющего положительную (выше 0° С) температуру;
-участки горных выработок со значительными смещениями грунта, если трубопровод укладывается без специальных компенсирующих устройств;
-участки активных оползней в горных районах;
-участки пересечения горных рек с блуждающими и сильно размываемыми руслами.
Наземная и полуподземная схемы укладки получили распространение в последние годы в связи со строительством трубопроводов в сильно обводненных и заболоченных районах. Наземная укладка позволяет избежать дорогостоящей балластировки для труб средних и крупных диаметров. В дальнейшем наземную укладку стали применять и на участках с пылеватыми мелкодисперсными грунтами при высоком стоянии грунтовых вод (на газопроводе Игрим — Серов, Ухта — Торжок и др.).
Полуподземная укладка является разновидностью наземной укладки.
Область применения полуподземной и наземной схем укладки более ограничена, чем подземной. Ограничения обусловливаются тем, что устройство грунтового валика над трубой из параллельной канавы — резерва или из привозного грунта нарушает естественное состояние поверхности земли, естественный водосток, создает искусственное препятствие для перемещения транспорта.
Применять полуподземную и наземную схемы укладки в густо заселенных районах, на сельскохозяйственных угодьях, как правило, нецелесообразно.
В связи с этим полуподземная и наземная схемы укладки могут быть рекомендованы для залесенных, заболоченных районов, на участках с высоким стоянием грунтовых вод, где не производятся сельскохозяйственные и промышленные работы. К таким районам можно отнести север и северо-восток Сибири, Якутию, ряд районов Дальнего Востока, Республику Коми, северо-запада, севера Европейской части страны.
В районах с распространением многолетнемерзлых просадочных грунтов полуподземная укладка неприемлема без специальных мер по закреплению грунтов, особенно при положительной температуре перекачиваемого продукта [2;12].
1.4 Трубопроводный транспорт Российской Федерации
Магистральный трубопроводный транспорт является важнейшей составляющей топливно-энергетического комплекса России. В стране создана разветвленная сеть магистральных нефтепроводов, нефтепродуктопроводов и газопроводов, которые проходят по территории большинства субъектов Российской Федерации.
Грузооборот, осуществляемый магистральным трубопроводным транспортом, приобрел большое значение в общем грузообороте страны. Степень надежности указанного вида транспорта во многом определяет стабильность доставки продукции потребителям, в том числе обеспечение регионов России важнейшими топливно-энергетическими и иными ресурсами.Для надежного и устойчивого развития общества в трубопроводных системах водоснабжения, водоотведения, тепло- и газоснабжения, нефте- и газопроводах в России уложено 2 млн км подземных трубопроводов (см. приложение 1). Во внутренних коммунальных системах зданий протяженность трубопроводных сетей составляет 3–5 млн км.
Трубопроводный транспорт России перемещает в 100 раз больше грузов, чем все транспортные отрасли. Из этого огромного количества труб примерно половина находится в жилищно-коммунальном хозяйстве (ЖКХ), обеспечивая население России всеми необходимыми коммунальными услугами.
Протяженность магистральных трубопроводов, по которым осуществляется транспортировка продукции нефтегазового комплекса, составляет 215 тыс. км, в том числе газопроводные магистрали, включая газопродуктопроводы - 151 тыс. км, нефтепроводные магистрали - 48,5 тыс. км, нефтепродуктопроводные магистрали - 15,5 тыс. км. С помощью магистрального трубопроводного транспорта перемещается 100% добываемого газа, около 99% добываемой нефти, более 50% производимой продукции нефтепереработки. В общем объеме перемещаемой по магистральным транспортным трубопроводам продукции доля газа составляет 55,4%, нефти - 40,3%, нефтепродуктов - 4,3%.
Магистральный трубопроводный транспорт включает в себя большое количество технологических сооружений и агрегатов. Только на газовых промыслах, магистральных газопроводах и подземных хранилищах Единой системы газоснабжения эксплуатируются 642 компрессорных цеха, 4053 газоперекачивающих агрегата общей установленной мощностью более 42 млн. Квт. Подачу газа потребителям обеспечивают более 3300 газораспределительных станций. В состав сооружений магистральных нефтепроводов входят 395 нефтеперекачивающих станций, 868 резервуаров общей емкостью по строительному номиналу 12,7 млн. м.куб. Состояние транспортных магистральных трубопроводов нефтегазового комплекса характеризуется такими показателями: 85% газопроводов и 59% нефтепроводов имеют срок эксплуатации от 10 до 30 лет; менее 10 лет эксплуатируется около 1% газопроводов и около 1 % нефтепроводов; 40 тыс. км газопроводов выработали свой расчетный ресурс; 40% нефтепроводов к 2000 году превысят нормативный срок эксплуатации.
Системы магистрального трубопроводного транспорта нефти и газа являются важнейшими составляющими федеральных энергетических систем, ключевым звеном топливно-энергетического комплекса и крупным фактором стабильности и экономического роста в России. Указанные системы обеспечивают жизненно важные для страны валютные поступления, позволяют осуществлять государственное регулирование внутреннего нефтегазового рынка и экспорта углеводородного сырья.
Каждая система магистрального трубопроводного транспорта представляет собой уникальный хозяйственный и технологический комплекс, решающий крупную народно-хозяйственную задачу и обладающий потенциалом эффективного регулирования и контроля за поставкой и потреблением продукции, в первую очередь нефти, газа. Системы, магистрального трубопроводного транспорта имеют важнейшее значение для экономического состояния страны, для ее дальнейшего развития. По этой причине в организационную структуру систем магистрального трубопроводного транспорта заложены принципы единства и централизованного управления. Очевидно, что эти принципы должны быть сохранены и в дальнейшем использованы для достижения в государственных интересах максимального эффекта от их функционирования.
Магистральный трубопроводный транспорт является весьма опасной сферой производственной деятельности, что обусловлено высокой степенью концентрации перекачивающих мощностей, горюче- и взрывоопасностью транспортируемой продукции, ее отравляющими и иными опасными свойствами, концентрацией на отдельных направлениях до 10 ниток магистральных трубопроводов; сосредоточением в узких технических коридорах многониточных магистралей газопроводов, нефтепроводов, продуктопроводов, которые многократно пересекаются друг с другом. Применявшиеся технологии прокладки и защиты магистральных трубопроводов обусловили непродолжительный срок их эксплуатации и необходимость проведения ремонтных и защитных работ после 8-10 лет их использования, проведения дополнительных испытаний, внутритрубной диагностики [18].
Преимущества трубопроводного транспорта:
· Возможность повсеместной укладки трубопровода.
· Низкая себестоимость транспортировки.
· Сохранность качества благодаря полной герметизации трубы.
· Меньшая материало и капиталоёмкость.
· Полная автоматизация операций по наливу, перекачки, транспортировки и сливу.
· Малочисленность персонала.
· Непрерывность процесса перекачки.
· Отсутствие отрицательного воздействия на окружающую среду.
Главным недостатком является его узкая специализация, также для рационального использования требуется мощный устойчивый поток перекачиваемого груза [17].
Глава 2. Влияние трубопроводного транспорта на окружающую среду
2.1 Характеристика воздействий на окружающую среду и их последствия
Трассы магистральных трубопроводов прокладываются в различных природно-климатических зонах, отличающихся геологией, геокриологией, гидрологией, географическим ландшафтом, освоенностью, чувствительностью биогеоценоза к антропогенным и техногенным воздействиям, характером it размером их последствий и т. п. При изыскании трасс, строительстве и эксплуатации трубопроводов на грунтовую среду, растительный покров, животный мир, подземные и поверхностные воды, приземной слой атмосферы оказывают влияние различные среды.
Причем источниками воздействия могут быть транспорт и строительно-монтажная техника, перекачиваемый продукт (нефть, газ, нефтепродукты) или продукты его сгорания, тепло транспортируемой по трубопроводу среды, конструкция трубопровода и т. д.
Все воздействия можно подразделить на прямые и косвенные, длительные и кратковременные (импульсные). Они могут проявляться в виде механического разрушения, загрязнения, теплового влияния и т. п. Последствия от этих воздействий могут быть первичными и вторичными, обратимыми и необратимыми (нерегулируемыми).
Прямым воздействием на окружающую среду, например, при расчистке и планировке трассы будет нарушение микро- и макрорельефа, а косвенным—сокращение пастбищных площадей. Последствия прямых и косвенных воздействий будут соответственно первичными и вторичными.
В рассматриваемом случае первичные последствия — развитие эрозии, оврагов, термокарста, а вторичные — ухудшение условий питания животных и др.
Примером длительного воздействия на окружающую среду, в частности на грунт, может служить тепловое влияние трубо- и нефтепроводов на многолетнемерзлыегрунты.
Загрязнение атмосферы в результате аварийного выброса газа или сжигания нефти характеризуется значительно меньшим периодом воздействия и его можно отнести к кратковременному, или импульсному, воздействию.
Обратимыми последствиями будем называть такие, которые могут быть ликвидированы, а окружающая среда при этом восстановлена до исходного состояния или близкого к нему. Например, растительный покров после окончания строительно-монтажных работ может быть восстановлен посевом аналогичныхрастений.
К необратимым последствиям следует отнести такие, которые приводят к качественному (трудно восстановимому) изменению окружающей среды, например термокарсты, оползни, деформация русла реки [4].
Классификация компонентов окружающей среды, источников и типов воздействия и их последствий.
Из приведенного анализа источников и типов воздействия на окружающую среду и их последствий видно, что из-за органической связи различных компонентов отдельные источники воздействия оказывают влияние практически на все компоненты окружающей среды одновременно. Это обстоятельство существенно затрудняет проведение дифференцированного анализа влияния каждого из источников воздействия на отдельные компоненты окружающей среды.
На основании изучения воздействий на окружающую среду и соответствующих им последствий при строительстве трубопровода и его эксплуатации рекомендуется выделить следующие взаимосвязанные компоненты: приземной слой атмосферы, почвенно-растительный комплекс (ПРК) и рельеф местности, животный мир, поверхностные и подземные воды. Такая степень детализации позволяет, на наш взгляд, достаточно полно и определить характер воздействия на каждую компоненту, его последствия и наметить наиболее эффективные мероприятия по охране природы.
Приведем характеристику воздействий и их последствий на перечисленные компоненты окружающей среды.
Приземный слой атмосферы. Тип воздействия — загрязнение при эксплуатации трубопроводов.
Источники воздействия—утечки газа через негерметичные соединения или при разрывах газопровода, сжигание нефти инефтепродуктов, разлитых на поверхности при аварии на нефте- и нефтепродуктопроводах, утечки и испарения в процессеранения и сливно-наливных операций, пожары на газо-, нефте-и нефтепродуктопроводах и т. д.
Последствия — подавление роста растительности, превышение предельно допустимой концентрации (ОДК) и вредных веществ в воздухе.
Почвенно-растительный комплекс и рельеф местности. Типы воздействий — механическое и тепловое разрушение, загрязнение.
Источники воздействий — строительно-монтажные работы при прокладке трубопровода и эксплуатация последнего.
Последствия — развитие эрозии, оврагов, оползней, изменение рельефа, активизация криогенных процессов, заболачивание территории, снижение биологической продуктивности ПРК, уничтожение культурных посевов, развитие безлесных ландшафтов.
Животный мир.
Типы воздействия — сокращение и уничтожение кормовых ресурсов, ограничение перемещений.
Источники воздействий — загрязнение и разрушение ПРК и загрязнение воздушной среды, препятствия при миграции: надомные трубопроводы, транспорт и средства механизации. Последствия — сокращение поголовья животных.
Поверхностные и подземные воды (см. приложение 2).
Типы воздействия — загрязнение, механическое разрушение берегов и русла в створе перехода.
Источники воздействий — утечки нефти и нефтепродуктов из резервуаров при авариях подводных трубопроводов, устройствo береговых и подводных траншей.
Последствия — ухудшение качества воды и условий обитания водных организмов и растений, активизация русловых процессов. В отличие от классификации работы в данной классификации растительный мир объединен с питающей его средой (почвой) и представлен одной компонентой--«Почвенно-растительный комплекс и рельеф местности». Такое объединение оправдано тем, что растительный покров, будучи тесно связанным с почвой, является индикатором ее состояния, потому расчленять его на две отдельные компоненты нецелесообразно [11;4].
2.2 Воздействие нефти и нефтепродуктов на почвенно-растительный комплекс
Значение нижнего яруса растительного покрова как корма диких и домашних животных, тепло- и влагорегулятора почвы, основного средства против образования оврагов, оползней и эрозии трудно переоценить. Между тем основное воздействие нефти и нефтепродуктов на ПРК при отказах трубопроводов сводится именно к снижению биологической продуктивности почвы и фитомассы растительного покрова.
Характер и степень воздействия нефти и нефтепродуктов на почвенно-растительный комплекс определяются объемом ингредиента и его свойствами, видовым составом растительного покрова, временем года и другими факторами. Многие виды сосудистых растений оказываются устойчивыми против нефтяного загрязнения, тогда как большинство лишайников погибает при воздействии на них нефти и нефтепродуктов. Установлено, что наиболее токсичны углеводороды с температурой кипения в пределах от 150 до 275° С, т. е. нафтеновые и керосиновые фракции. Углеводороды с более низкой температурой кипения менее токсичны либо вообще безвредны, особенно их летучие фракции, поскольку они испаряются, не успевая проникнуть через растительную ткань. Высококипящие тяжелые фракции нефти также менее токсичны, чем нафтеновые и керосиновые фракции.
Деградация нефти в грунтовой среде происходит путем биологического окисления микроорганизмами и химического окисления. Значительно ускоряют процесс очищения почвы от нефти дождевые осадки, которые вымывают ее и тем самым снижают концентрацию нефти в верхних слоях почвы [4;10].
Загрязнение почвы нефтью и нефтепродуктами в северных районах будет, очевидно, иметь гораздо большие отрицательные последствия, нежели в районах с относительно умеренным климатом. Наблюдающаяся в настоящее время тенденция перемещения центров добычи нефти и газа именно в эти районы в существенной мере определяет важность рассматриваемой проблемы. Низкие температуры воздуха и грунтовой среды, сильные ветры, небольшая продолжительность летнего теплого периода (во время которого активизируются биологические процессы) создают чрезвычайно сложный режим функционирования растительного покрова. Поэтому всякое нарушение этого режима может привести к необратимым процессам. Одним из наиболее опасных в этом случае является загрязнение нефтью грунтовой среды в результате утечек из магистральных нефтепроводов, резервуаров и т. п.
Наряду с указанными явлениями загрязнение нефтью растительного покрова приводит к изменению его теплоизоляционных свойств. Па загрязненных нефтью участках наблюдалось уменьшение альбедо до 50%.
Нередко на болотистых участках трассы разлившуюся по дневной поверхности нефть, сжигают, что приводит к выгоранию леса иногда на значительных площадях. На участках многолетнемерзлых грунтов такие пожары могут привести к развитию криогенных процессов.
Таким образом, на основании изложенного можно сделать следующие выводы:
· загрязнение почвенно-растительного комплекса нефтью и нефтепродуктами приводит к уничтожению растительного покрова, период самовосстановления которого в северных районов может достигать 10—15 лет;
· снежный покров существенно снижает токсичное действие нефти на растительность. Наиболее опасны разливы нефти в период вегетации растений;
· наибольшей токсичностью обладают нефтепродукты с температурой кипения 150—275° С (нафтеновые и керосиновые Фракции);
· стойкость растений к загрязнению нефтью различна в зависимости от их вида;
· скорость биодеградации нефти в почве незначительна; в некоторой степени она может быть повышена добавлением в почву веществ, содержащих азот и фосфор[11;13].
2.3 Загрязнение грунтовой среды при утечках нефти и нефтепродуктов
Как уже отмечалось, утечки нефти и нефтепродуктов, возникающие при повреждении магистральных нефте- и нефтепродуктопроводов, резервуаров, а также при сливно-наливных операциях, приводят к загрязнению прилегающих грунтовых участков. В процессе поверхностной миграции (например, с дождевыми водами) и инфильтрации нефть и нефтепродукты загрязняют поверхностные и подземные воды. Самоочищение загрязняемых таким образом сред происходит крайне медленно, что может привести к длительному исключению их из пользования. Как последствия, так и связанные с ними материальные убытки определяются размерами и степенью загрязнения грунтовой среды.
Различие свойств и состояний грунтов, типов утечки, а также характеристик нефти и нефтепродуктов предопределяет многообразие расчетных схем [14;5].
В частности, можно выделить схемы загрязнения нефтью непроницаемой (малопроницаемой) и проницаемой сред, талых, мерзлых и многолетнемерзлых грунтов. Утечки могут происходить на дневной поверхности (например, при повреждении наземного либо надземного участка нефтепровода, или в результате потери устойчивости и выпучивания подъемного участка нефтепровода из траншеи, или в процессе его ремонта, а также при повреждении наземного резервуара) и ниже ее при повреждении подземного участка нефтепровода без обнажения его или подземного резервуара. Перекачиваемые нефти и нефтепродукты могут быть подогретыми и холодными (обычными).
Процесс загрязнения талой грунтовой среды при утечках нефти на дневной поверхности можно разделить на три последовательные во времени стадии. Первая, начальная стадия характеризуется преимущественно образованием поверхностного ареала загрязнения и незначительной инфильтрацией нефти в грунтовую среду. На второй стадии происходит главным образом вертикальная инфильтрация нефти, и, наконец, третья стадия характеризуется боковой миграцией последней в грунтовой среде.
Использование теории миграции грунтовых вод для описания процесса загрязнения грунтовой среды нефтью и нефтепродуктами осложняется специфичными физическими свойствами этих продуктов — вязкостью, плотностью, поверхностным натяжением, несмешиваемостью с водой и др. Это обстоятельство, по-видимому, и обусловило выполнение ряда исследований по изучению различных случаев загрязнения грунтовой среды нефтью и нефтепродуктами [5].
2.4 Загрязнение рек и водоемов нефтью и нефтепродуктами
Река (или водоем) считается загрязненной, если состав (или свойства) воды изменился под влиянием производственной деятельности настолько, что вода стала непригодной для одного или нескольких видов водопользования.
Различают следующие основные виды водопользования: хозяйственно-питьевое, культурно-бытовое и рыбохозяйственное. В соответствии с этими видами водопользования нормируются состав и свойства воды и предельно допустимая концентрация (ПДК) вредных веществ.
Практически любая авария подводного нефтепровода может привести к утрате водоема как объекта одного или нескольких видов водопользования. Возможные последствия загрязнения усугубляются высокой стойкостью нефти к окислению и токсичностью отдельных се фракций. Нефть, попадая в воду, растекается вследствие ее гидрофобности по поверхности, образуя тонкую нефтяную пленку, которая перемещается со скоростью примерно в два раза большей, чем скорость течения воды. При соприкосновении с берегом и прибрежной растительностью нефтяная пленка оседает па них. В процессе распространения по поверхности воды легкие фракции нефти частично испаряются, растворяются, а тяжелые опускаются в толщу воды, оседают на дно и образуют донное загрязнение [7;15].
В результате загрязнения воды нефтью (см. приложение 3) изменяются ее физические, химические и органолептические свойства, что существенно ухудшает условия обитания и воде животных и растении; использование такой воды в культурно-бытовых и хозяйственно-питьевых целях усложняется. Ввиду многообразия возможных последствии оценка даже- прямого ущерба затруднительна. В этом отношении весьма интересна классификация нефтяного загрязнения водоемов, разработанная ГосНИОРХом по материалам многолетних исследований. [4;11]
В нефтедобывающих районах источником загрязнения рек и водоемов являются сбросы отработанных и пластовых вод нефтепромыслов.
На судоходных реках систематическим источником загрязнения вод нефтепродуктами являются курсирующие по ним суда, о чем свидетельствуют замазученные шлейфы, остающиеся по траектории их движения, вблизи пристаней и берегов.
Существенно загрязняют реки и водоемы сбросы нефтеперерабатывающих заводов. Следует иметь в виду, что если загрязненность от сбросов нефтепромыслов, судов и нефтеперерабатывающих заводов может относительно легко регулироваться установкой соответствующих очистных устройств, то аварийный выброс нефти и нефтепродуктов при повреждении трубопровода характеризуется во много раз большей (нерегулируемой) концентрацией загрязненности (см. приложение 4).
Это обстоятельство позволяет считать подводные нефте- и нефтепродуктопроводы наиболее опасным потенциальным источником загрязнения рек и водоемов.
Последствия нефтяного загрязнения рек и водоемов. Загрязнение воды нефтью, как уже отмечалось, затрудняет все виды водопользования.
Влияние нефти, керосина, бензина, мазута, смазочных масел на водоем проявляется в ухудшении физических свойств воды (замутнение, изменение цвета, вкуса, запаха); растворении в воде токсических веществ; образовании поверхностной пленки нефти и осадка на дне водоема, понижающей содержание в воде кислорода.
Используемые в настоящее время методы очистки воды, устранения нефтяного привкуса и запаха, восстановления прозрачности и цветности, локализации, сброса и удаления нефтипозволяют в какой-то мере смягчить последствия загрязнения, ускорить процесс восстановления временно утраченных свойств воды и тем самым обеспечить дальнейшее использование водоемов в культурно-бытовых и хозяйственно-питьевых целях. Однако для рыбного хозяйства водоему может быть нанесен невосполнимый ущерб вследствие высокой чувствительности живых организмов и растительности к нефтяному загрязнению, а также стойкости и токсичности этого загрязнения.
Загрязнение нефтью и нефтепродуктами рыбохозяйственных водоемов приводит к ухудшению качества рыбы (появление окраски, пятен, запаха, привкуса); гибели взрослых рыб, молоди, личинок и икры; отклонениям от нормального развития икры личинок и молоди; сокращению кормовых запасов (бентоса, планктона), мест обитания, нереста и нагула рыб; нарушению миграции рыб, молоди, личинок и икры [11].
Самоочищение рек и водоемов от нефти и нефтепродуктов. Очищение воды от нефти и нефтепродуктов происходит в результате их естественного распада — химического окисления, испарения легких фракций и биологического разрушения микроорганизмами, обитающими в водной среде. Все эти процессы характеризуются чрезвычайно малой скоростью, определяемой главным образом температурой воды. Химическое окисление нефти затрудняется высоким содержанием в ней предельных углеводородов. Окисляются и испаряются в основном легкие фракции, а тяжелые трудноокисляемые фракции нефти накапливаются и затем оседают па дно, образуя донное загрязнение.
Уменьшение массы нефтяной пленки в первые дин после ее образования происходит преимущественно вследствие испарения нефти. В процессе биологического разрушения микроорганизмами нефть и нефтепродукты частично усваиваются ими, а частично окисляются. Известно около 100 видов бактерий, дрожжей и грибков, способных окислять углеводороды. Максимальная активность нефтеокисляющих микроорганизмов наблюдается при температуре воды 15—35° С. С понижением температуры интенсивность окисления резко уменьшается.
Биохимическое окисление нефти сопровождается интенсивным поглощением кислорода воды. В среднем на окисление 1 мг нефти затрачивается от 0,5 до 3,5 мг кислорода. Одним из показателей наличия в воде органических загрязнений и интенсивности их биологического окисления является биологическая потребность в кислороде (БПК), численно равная количеству кислорода, поглощаемого микроорганизмами при биологическом окислении органических загрязнении, содержащихся в 1 л воды.
Биохимическое окисление нефти в водоеме сопровождается непрерывной миграцией тяжелых ее фракций с поверхности на дно и обратно.
Нефтяные отложения на дне водоема в анаэробных условиях (при дефиците кислорода) сохраняются длительное время и являются источником вторичного загрязнения водоемов [4].
2.5 Загрязнение приземного слоя атмосферы при эксплуатации магистральных трубопроводов и его последствия
При повреждении газо- и нефтепроводов выделяются различные токсичные вещества. Основными загрязнителями атмосферы являются природный газ, продукты испарения нефти и нефтепродуктов, аммиак, этилен, ацетилен, а также продукты сгорания перекачиваемых углеводородных смесей. Все эти загрязнения относятся к локальным и временным, так как они рассеиваются под воздействием воздушных потоков.
Загрязнение приземного слоя атмосферы оказывает существенное отрицательное влияние на человека и растительность вследствие общетоксического действия перечисленных ингредиентов. Особую опасность представляет загрязнение воздуха вблизи населенных пунктов. В этих случаях возможность наложения или аккумуляции различных загрязнений значительно усугубляет характер последствий.
В отличие от средней полосы загрязнение воздуха в районах Крайнего Севера при прочих равных условиях оказывает более сильное воздействие на природу. Растительный покров в этих районах находится в крайне неблагоприятных климатических условиях. Поэтому всякое воздействие, в том числе и загрязнение воздуха, может привести к угнетению растительного покрова.
Источники загрязнения приземного слоя атмосферы
К основным источникам загрязнения приземного слоя атмосферы при трубопроводном транспорте нефти, нефтепродуктов и газа следует отнести аварийные выбросы газа при отказах и ремонте линейной части магистральных газопроводов и испарение нефти и нефтепродуктов при хранении в резервуарах. Не менее сильным источником загрязнения воздуха являются пожары при возгорании или сжигании транспортируемых продуктов.
Отказы газопроводов наблюдаются при использовании некондиционных материалов (труб, арматуры, сварочной проволоки и т. п.), нарушении технологии строительно-монтажныхработ, ремонта и эксплуатации, а также в результате коррозии. Причины отказов эксплуатируемых магистральных газопроводов (в % от общего числа отказов) распределяются следующим образом:
Дефект сварки.....................26,3
Низкое качество строительно-монтажных работ.....7
Низкое качество эксплуатации.............1,8
Коррозия......................52,6
Прочие.......................7
Другим источником загрязнения воздуха являются резервуарные парки, сооружаемые на головных и некоторых промежуточных перекачивающих станциях. В результате сливно-наливных операций, а также суточных колебаний температуры происходит достаточно интенсивное выделение продуктов испарения в приземной слой атмосферы.
В результате только одного большого «дыхания» потери нефти из резервуара объемом 5000 м3 могут достигать 3,5 т. Годовые потери нефти из такого резервуара из-за малых «дыханий» могут составить 30—60 т. Необходимость сливно-наливных операций, неизбежность суточных колебаний температуры окружающего воздуха предопределяют стационарный характер такого загрязнения. Это обстоятельство позволяет локализовать основные источники загрязнения атмосферы в пределах резервуарного парка.
Самопроизвольное возгорание нефти, нефтепродуктов и газа при повреждении линейной части или резервуара, хотя это и случайное редкое явление, однако оно вызывает очень интенсивное загрязнение воздуха [6;8].
2.6 Коммунальные трубопроводы и их воздействие на окружающую среду и человека
Комфортные условия жизни человека подразумевают подачу непосредственно в его жилище холодной и горячей воды, тепла или газа для отопления, а также водоотведение. Все это осуществляется с помощью трубопроводов.
Рассмотрим функции основных коммунальных трубопроводов и их воздействие на окружающую среду и человека.
Трубопроводы водоснабжения доставляют воду непосредственно в жилище человека. При этом возникают следующие проблемы: очистка и обеззараживание воды; доведение ее до состояния пригодной для питья человеком; исключение повторного загрязнения воды в процессе ее транспортировки продуктами коррозии, а также в результате подсоса грунтовых вод через неплотности. При несвоевременной замене трубопроводы, отслужившие срок эксплуатации, коррозируют, и через образовавшиеся отверстия вода поступает в грунт, вызывая повышение уровня грунтовых вод, которые в свою очередь способствуют коррозионному повреждению наружной поверхности трубопровода.
Трубопроводы централизованного теплоснабжения подают горячую воду для систем отопления и горячего водоснабжения. В этом случае вследствие внутренней коррозии трубопроводов теплоноситель - вода загрязняется продуктами этой коррозии. По причине увлажнения недостаточно гидроизолированной теплоизоляции происходит ускоренная коррозия наружной поверхности стальных труб. В результате повышается температура грунта, а при протечках в грунт поступает горячая вода.
Слабым местом канализационных трубопроводов, в основном выполняемых из раструбных труб, являются раструбные соединения, разгерметизация которых происходит из-за недолговечных уплотнений и неравномерной просадки грунта. Поступление в грунт канализационных стоков создает опасность заражения водоемов.
Таким образом, в задачу строительной экологии входят: оптимизация проектных разработок с учетом исключения негативных воздействий на окружающую среду; прогнозирование и оценка возможных как негативных, так и позитивных воздействий на окружающую среду; своевременное выявление объектов, наносящих ущерб окружающей среде, с помощью экологического мониторинга и принятия соответствующих превентивных мер.
Большие масштабы и темпы современной урбанизации (урбанус - городской) обусловили появление в рамках строительной экологии урбоэкологии - эколого-градостроительного направления деятельности, занимающейся изучением способов наилучшего расселения людей в городах и населенных пунктах с учетом обеспечения комфортного проживания человека и сохранения оптимальной для него природной среды.
В рамках задач урбоэкологии не последнее место занимает проблема формирования жилища, отвечающего оптимальным требованиям комфорта.
Экологичное жилище - это жилище вместе с прилегающей территорией, в котором формируется благоприятная среда обитания (микроклимат, защищенность от шума и загрязнений, обеспечение социально здоровых условий жизни), которое не оказывает негативных воздействий на городскую и природную среду, кроме того отвечает требованиям энергосбережения.
Следует отметить, что для создания экологичных условий внутри зданий немаловажную роль играют выбор коррозионно-стойких материалов для труб, арматуры, санитарно-технических и отопительных приборов, а также наличие приборов терморегулирования и гидравлической балансировки в системах отопления и горячего водоснабжения [17].
Глава 3. Геоэкологические проблемы, возникающие при строительстве и эксплуатации трубопроводов
3.1 Воздействия на окружающую природу при строительстве магистральных трубопроводов
Охарактеризуем основные воздействия на природу при строительстве трубопроводов.
1. Сведение растительности в полосе строительства. Вырубка леса и корчевка пней на продольных и поперечных склонах в полосе шириной до 30 м уменьшает устойчивость склонов и способствует активизации действующих оползней и возникновению новых. Особенно заметно это проявляется при корчевке пней взрывами.
2. Срезка грунта на продольных уклонах для уменьшения их крутизны. При этом образуются глубокие выемки на участках значительной протяженности. Эти выемки часто становятся путями сбора дождевых и грунтовых вод. Постоянно действующие стоки, устранить которые очень сложно, размывают грунт на значительную глубину и образуют глубокие промоины. При этом трубопровод оголяется и провисает, т. е. условия его эксплуатации осложняются.
3. Сооружение «полок» на поперечных уклонах и косогорах. Полками называют выемки, устраиваемые на поперечных (к направлению главной оси трубопровода) уклонах, крутизна которых не позволяет работать на них машинам без предварительно подготовленной строительной полосы.
Полки могут устраиваться в виде «чистой выемки» и в виде полувыемки-полунасыпи.
Устройство полки наносит наиболее ощутимый ущерб природе при строительстве трубопроводов в горах. Этот ущерб выражается в следующем. Резкое нарушение рельефа местности, обострение оползневых процессов и возникновение новых оползней в местах, где они не могли возникнуть в течение десятков и даже нескольких сотен лет. Это объясняется снижением запаса устойчивости склонов в результате выемки грунта и усиления силового воздействия фильтрационного потока в коренном грунте. Имеются примеры, когда вновь образовавшиеся оползни захватывали десятки гектаров площади, вовлекая в движение сотни тысяч кубометров грунтовой массы.
Полки становятся путями движения дождевых, снеговых и подземных вод, выходящих на поверхность через боковую их грань. В результате образуются промоины, которые разрушают полки.
4. «Временные» перекрытия балок и ручьев для проезда строительной техники. Эти «временные» перекрытия довольно часто остаются и после окончания строительства. Они препятствуют прохождению дождевых стоков и способствуют разрушению склонов балок.
5. Загрязнение строительной полосы отходами строительного производства (тросы, обрезки труб, битум, полимерные покрытия и т. п.).
Следует отметить, что влияние многих из рассмотренных воздействий можно существенно уменьшить и даже устранить при правильной организации и технологии работ и более качественном проектировании [4;14].
3.2 Взаимодействие трубопровода с окружающими породами
В процессе эксплуатации трубопровод подвержен воздействию не только перекачиваемого продукта, но и окружающей по среды: грунтовой и биологической коррозии, давлению оползающих грунтов.
Для трубопровода, уложенного на полках вдоль склонов гор, наиболее опасно давление грунта, оползающего в направлении, перпендикулярном к главной оси трубопровода. Одни оползни проявляются сразу, в процессе строительства, другие — через много лет после его окончания. Но от этого они становятся еще опаснее, так как кажущееся благополучие не способствует своевременному принятию защитных мер.
Оползание грунта в направлении главной оси трубопровода менее опасно, но при большой длине уклона оно также может привести к разрыву труб.
Поэтому при строительстве в горах в отличие от нормальных условий (равнины с сухими плотными грунтами) совершенно необходим расчет прочности трубопровода не «вообще», а на каждом характерном участке с учетом ожидаемого взаимодействия трубопровода с окружающей средой. Конечно, это усложняет проектирование, но зато гарантирует более высокий уровень надежности трубопровода и уменьшает вероятность отрицательных воздействий на природу[4;11].
3.3Влияние строительства и эксплуатации магистральных трубопроводов на животный мир
В процессе строительства и эксплуатации магистральных газо- и нефтепроводов причиняется определенным утери животному миру—одному из компонентов окружающей среды. Освоение отдаленных, ранее недоступных территорий, разработка нефтяных и газовых месторождений и прокладка трубопроводов могут привести к нарушению установившегося динамического экологического равновесия и природе.
Как показывает опыт, прокладка трубопровода оказывает отрицательное воздействие в основном па крупных животных. Поэтому дальнейшее изложение касается главным образом влияния строительства и эксплуатации трубопроводов на животных северных районов, в частности на диких и домашних оленей.
Совокупность факторов (воздействий), оказывающих отрицательное влияние на животных при строительстве и эксплуатации магистральных трубопроводов, можно условно подразделить на прямые и косвенные. К прямым воздействиям относятся создание искусственных препятствий на миграционных путях, шумы транспортных (наземных и воздушных) средств, а также бесконтрольный отстрел диких животных; к косвенным воздействиям — сокращение пастбищных площадей в результате развития эрозионных и криогенных процессов, механического повреждения растительного покрова, а также загрязнение атмосферы, грунтовой среды и т. п.
Значительные нарушения почвенно-растительного слоя обусловлены движением тяжелых транспортных средств. Установлено, что в результате повреждения растительного покрова происходит смена лишайниковых осоковыми. Лишайники являются зимним кормом для оленей, доступ к которому в это время затруднен. Следовательно, нарушение растительного покрова приводит к сокращению кормовых запасов для северных оленей в зимнее время.
Значительный ущерб продуктивности растительного покрова наносится загрязнением грунтовой среды нефтью и нефтепродуктами в результате их утечки при повреждении нефте- и нефтепродуктопроводов. Вследствие высоком токсичности и стойкости нефтяного, загрязнения пораженные площади оказываются длительное, время непригодными для произрастания растений.
Влияние искусственных препятствий на миграцию животных. Искусственные препятствия, затрудняющие сезонные миграции оленей, создаются прокладкой надземных, наземных и полуподземных магистральных трубопроводов , линий электропередач, автомобильных и железных дорог и других протяженных сооружении. Животные скапливаются перед такими препятствиями в огромные стада.
Как установлено наблюдениями, дикие олени пользуются традиционными летними и зимними пастбищами и путями миграции, формируемыми длительное время. Искусственные же препятствия либо удлиняют продолжительность миграции, либо обусловливают смену или маршрута движения, или пастбища. В любом случае вероятность гибели взрослых оленей и телят резко увеличивается из-за неосвоенности маршрута, что, безусловно, сказывается на численности оленей (Рис. 23).
В тех случаях, когда передвижение по привычному маршруту затруднено, животные выбирают в дальнейшем новый маршрут, позволяющий преодолеть (обойти) создавшееся препятствие.
Устройство переходов трубопроводов на пересечениях с миграционными путями диких животных. При проектировании трубопроводов особое внимание следует уделять изучению традиционных маршрутов миграции, районов летних и зимних пастбищ. Переходы через трубопровод необходимо устраивать только в местах пересечения с маршрутами передвижения оленей. Причем окрестности перехода должны быть по возможности свободны от временных городков строителей, а также от дорог.

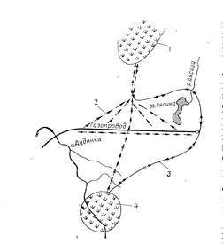
Рис.2. Влияние прокладки газопровода на миграцию оленей:
1,4-летнее и зимнее пастбища оленей; 2-маршрут весной; 3- осенью и весной.
Устройство перехода под трубопроводом, по-видимому, менее эффективно, чем над заглубленным в землю или обвалованным трубопроводом. Во-первых, потому, что при наземной прокладке трубопровода пролет между опорами в зависимости от диаметра составляет от 15 до 50 м, что явно достаточно для того, чтобы не вызвать беспокойства оленей; во-вторых, трубопровод необходимо устанавливать на более высоких опорах (по сравнению с обычными участками), что значительно усложнит монтаж трубопровода, особенно большого диаметра; в-третьих, как показывают наблюдения, животные опасаются переходить даже под более высоко расположенными по сравнению с надземными трубопроводами линиями электропередач. Поэтому целесообразнее в этом случае заглубленная схема перехода или в виде обвалования. Причем участки заглубления (обвалования) должны быть длиной не менее 60—100 м (по 30—50 м в обе стропы от миграционного пути). В этих же целях не следует располагать проезжие дороги вблизи от пастбищ [4].
3.4 Мероприятия по охране окружающей среды в период эксплуатации
Даже если строители выполнили работы с учетом всех предъявляемых к строительству трубопроводов требований, минимальный ущерб природе в последующие годы может быть нанесен только при условии тщательно продуманной организации службы наблюдения за всеми изменениями в состояниях трубопровода и местности вдоль всей трассы.
В службе эксплуатации трубопровода должна быть организована группа изучения состояния вдольтрассовой полосы и прилегающих к ней участков местности и самого трубопровода. Эта группа должна располагать всем необходимым оборудованием и приборами контроля, позволяющими улавливать самые незначительные изменения в состоянии как трубопровода, так и окружающей его среды.
В функции указанной группы входит изучение состояний окружающей среды, эксплуатируемого трубопровода и защитных сооружений.
Аэрофотосъемка совершенно необходима для выявления крупных нарушений естественного равновесия прилегающих к трассе трубопровода грунтовых масс.
Съемка полосы шириной до 1 км позволяет очень точно определить очертания действовавших и действующих оползней по таким внешним признакам, как четко очерченная граница оползня, устанавливаемая как ясно видимая линия отрыва оползающего грунта от неподвижного. Характерны для оползневых массивов такие признаки как «пьяный лес», т. е. лес, в котором деревья наклонены в разные стороны вследствие деформаций грунта.
Аэрофотосъемка трассы должна выполняться один раз в два-три года. Кроме того, требуется проводить внеочередные съемки после каждого, даже незначительного землетрясения. Обнаруженные при очередной съемке оползневые участки должны повторно фотографироваться не реже одного-двух раз в год с целью выяснения изменений общего характера в геле оползня. Прежде всего необходимо точно установить размеры оползня.
С помощью аэрофотосъемки выявляются оползни, движущиеся вдоль оси трубопровода. Такие оползни менее опасны для трубопровода, но, как было показано выше, они могут способствовать его разрушению.
После выявления оползающих и неустойчивых массивов грунта проводится изучение трассы трубопроводов с помощью различных приборов и инструментов. При этом точно определяются глубина тела оползня, скорость его движения и физико-механические характеристики грунта. На основании полученных данных составляется прогноз развития оползающих участков. Определив по данным аэрофотосъемки или по визуальным наблюдениям на местности границы оползня в плане, обозначают их специальными знаками, по которым в дальнейшем контролируют изменение границ оползня.
Поскольку оползень представляет наибольшую опасность для трубопровода, в его створе проводят самые детальные измерения: определяют глубину и скорость движения оползня, а также физико-механические характеристики грунта [10;12].
Для определения скорости движения оползня должны быть установлены постоянные (несмещающиеся) реперы в устойчивом зоне, а на поверхности оползня (желательно па 2—3 м выше оси трубопровода) — временные реперы. Временные реперы привязываются к постоянным и но изменению плановых и высотных отметок временных реперов определяют скорость движения оползня. После установки реперов измерения проводят не реже одного раза в пять дней, а затем по мере необходимости, но не реже одного раза в месяц.
В развитии оползней можно выделить четыре стадии:
-перенос элементов, составляющих склон;
-вязкое течение грунта без нарушения его сплошности;
-нарушение сплошности грунта;
-перемещение отделившихся грунтовых масс.
Получив необходимые данные, группа изучения выполняет сама или поручает проектной организации расчет прогноза состояний оползня и трубопровода.
Меры по предотвращению разрушения трубопровода можно подразделить на экстренные, срочные и долговременные.
Экстренные меры принимаются немедленно, срочные — в течение одного месяца, долговременные — в расчетный срок безопасного нахождения трубопровода в оползне. Экстренной, наиболее действенной мерой является вскрытие трубопровода с целью снятия усилий от давления оползающего грунта.
Комплекс работ, выполняемых группой изучения состояния трубопровода, заключается в своевременном выяснении отклонений последнего от проектного положения и в подготовке рекомендаций по составлению технологических карт текущего и капитального ремонтов трубопроводов и сооружений, обеспечивающих их эксплуатационную надежность. Особое внимание следует уделять изучению напряженного состояния труб и состоянию их изоляции. Выход из строя водоотводных сооружении приводит к размыву труб, к образованию новых оползнем, а выход из строя заранее подготовленных путей стока нефти при разрушении нефтепроводов — к тому, что при аварии нефть, уходит в близлежащие реки и водоемы, что совершенно недопустимо. Поэтому при обнаружении мест потенциальных paзрушений необходимо принять срочные меры к обеспечению стока продукта в нужном направлении. Это позволит снизить тяжелые последствия для окружающей среды [9;1].
Заключение
Трубопроводные системы являются основой системы обеспечения населения, производства и сельского хозяйства жизненно важными продуктами: чистым воздухом, питьевой и технологической водой, высоко- и низкопотенциальным теплоносителем, газом, нефтепродуктами. Они также отводят многочисленные отходы (бытовые и производственные стоки, загрязненный воздух, дымовые газы, мусор и твердые отходы) [19].
Трубопроводные конструкции и системы находят широкое применение практически во всех отраслях народного хозяйства. Трубопроводный транспорт обладает низкой себестоимостью, непрерывностью процесса перекачки, возможностью повсеместной укладки и т.д. Однако, наряду с преимуществами существуют и недостатки, связанные с загрязнением окружающей среды вследствие утечки нефти, газа и других продуктов. Необходимо вести экологический контроль, главными функциями которого являются:
· количественная оценка исходных природно-климатических параметров, определяющих характеристику биогеоценоза осваиваемой территории до активного воздействия на нее техногенных факторов;
· количественная оценка антропогенного изменения биогеоценозов под воздействием строительного и эксплуатационного техногенеза.
К наиболее эффективным средствам экологического контроля по обоим рассмотренным направлениям относится мониторинг, реализуемый службами наземного и аэрокосмического наблюдения. Кроме того, повышенную нормативность обеспечивают средства измерительного контроля [5;6].
Комплекс исследований по охране окружающей среды при трубопроводном строительстве и транспорте должен включать:
-анализ последствий различных нарушений и загрязнений на компоненты окружающей среды;
-анализ конструктивных и технологических решений, уменьшающих воздействия на окружающую среду;
-методы и средства ликвидации отрицательных последствий;
-методику оценки ущерба, наносимого окружающей среде в процессе строительства и эксплуатации трубопроводов;
-методику выбора оптимпльных инженерно-технических решений магистральных трубопроводов с учетом охраны окружающей среды.
Таким образом, решение геоэкологических проблем окружающей среды заключается в определении совокупности мероприятий, методов, средств, которые минимизируют, в том числе исключают полностью возможные воздействия и их последствия в процессе строительства и эксплуатации трубопроводов [4].
Список использованной литературы
1. Абрамян С.Г. Управление экологичностью реконструкции и капитального ремонта магистральных трубопроводов. ВолгГАСУ, 2007.-67 с.
2. Бородавкин П.П. Подземные трубопроводы. М.: Недра, 1973.-304 с.
3. Бородавкин П.П., Березин В.П., Шадрин О.Б. Подводные трубопроводы. М.: Недра, 1979.-415 с.
4. Бородавкин П.П., Ким Б.И. Охрана окружающей среды при строительстве и эксплуатации магистральных трубопроводов. М.: Недра, 1981.-160 с.
5. Кармазинов Ф.В. и др. Вода, нефть, газ и трубы в нашей жизни. М.: Наука и техника, 2005.-296 с.
6. Кривошеин Б.Л. Магистральный трубопроводный транспорт. М.: Наука, 1985.-237 с.
7. Левин С.И. Подводные трубопроводы. М.: Недра, 1970.-288 с.
8. Мазур И.И. Экология строительства объектов нефтяной и газовой промышленности. М.: Недра, 1991.-279 с.
9. Мазур И.И. и др. Конструктивная надежность и экологическая безопасность трубопроводов. М.: Недра, 1990.-264 с.
10. Офенгенден Н.Е. Промышленный трубопроводный транспорт. М.: Стройиздат, 1976.-120 с.
11. Телегин Л.Г. и др. Охрана окружающей среды при сооружении и эксплуатации газонефтепроводов. М.: Недра, 1988.-188 с.
12. Трубопроводный транспорт // Под ред. Попова Н.В., Чернова Д.П. М.: Гос. ком. Совета Министров СССР по науке и технике,1986.-157с.
13. Трубопроводный транспорт нефти и газа. Под ред. Юфина В.А. М.: Недра, 1978.-407 с.
14. Фриман Р.Э. и др. Магистральные трубопроводы. М.: Недра, 1976.-160 с.
15. Щербаков С.Г. Проблемы трубопроводного транспорта нефти и газа. М.: Наука, 1982.-203 с.
Источники интернета
16. www.spsale.ru
17. www.ngfr.ru
18. http://asozd2.duma.gov.ru
19. http://mixzona.ru
Приложения
Приложение 1.
Протяженность транспортных путей РФ
![]() |
Приложение 2.
Классификация воздействий на реки и водоемы при строительстве подводных трубопроводов
| Вид работ | Последствия | Время, необходимое для естественного восстановления |
Разработка траншей береговых |
Нарушаются берега водоема | Не восстанавливается» часто прогрессирует |
| Разработка русловых подводных траншей земснарядами | Повреждается русло рек | В зависимости от глубины и размеров траншей в течение 5 лет. Иногда в результате разработки подводных траншей возникают необратимые tдеформации русла |
| То же, взрывом | Повреждается русло рек. Гибнет животный мир | То же, 3—5 лет |
| Устройство сварочно-монтажных и изоляционных площадок на берегу | Уничтожается растительность. Загрязняется местность отходами металла, изоляционными материалами. Изменяется рельеф местности |
До 15—20 лет 30 и более лет Не восстанавливается |
| Работа земснарядов в русле | Загрязняется поверхность водоема отходами нефтепродуктов, мусором | 3—6 мес. |
Приложение 3.
Классификация нефтяного загрязнения водоемов
| Категория загрязнения | Характеристика загрязнения | Содержание нефти, мг/л | ||
| в грунте | в воде | |||
| Слабое | Нефтяная пленка отсутствует, привкус нефти слабый, запах не ощущается. Загрязнение не оказывает влияния на газовый режим, минерализацию, окисляемость и БПК воды. Рыба в водоеме обитает нормально, размножается, но имеет привкус нефтепродуктов. Отрицательное влияние на планктон незначительно, на бентос — не установлено | Менее 0,1 | Менее 1 | |
| Среднее | Вода имеет запах и привкус нефти, поверхность покрыта отдельными нефтяными пятнами. Влияние на газовый режим, минерализацию, окисляемость и БПК воды незначительно или не наблюдается. Рыба в водоеме обитает, но имеет привкус нефтепродуктов. Наблюдаются случаи гибели личинок рыб и нарушения нормального развития икры и представителей бентоса и планктона | 0,1—0,5 | 1—10 | |
| Сильное | Вода имеет запах и привкус нефти, отдельные участки ее поверхности покрыты нефтяной пленкой. Наблюдается изменение газового режима, минерализации, окисляемости и БПК воды. Рыба избегает таких участков водоема. При случайной задержке в этой зоне она погибает. Личинки рыб и икра гибнут. Планктон и бентос отсутствуют | 0,5—1 | 10—30 | |
| Очень сильное | Вода имеет сильный запах и привкус нефти, поверхность ее покрыта сплошной нефтяной пленкой. Берега и растительность покрыты нефтью или мазутом. Иногда дно покрыто тяжелыми фракциями нефти. Изменяются газовый режим, минерализация, окисляемость и БПК воды. Рыба, планктон и бентос в воде отсутствуют. Вода непригодна для водопользования | 1—5 | Более 30 | |
Приложение 4.
Предельно допустимая концентрация вредных веществ в воде водных объектов хозяйственно-питьевого, культурно-бытового и рыбохозяйственного водопользования
| Загрязнитель | Лимитирующий показатель вредности | Предельно допустимая концентрация (в мг/л) вредных веществ в объектах водопользования | |
| хозяйственно-питьевого и культурно-бытового | рыбохозяй-ственного | ||
| Аммиак | Общесанитарный | 2,0 | — |
| Токсикологический | — | 0,05 | |
Бензин |
Органолептический | 0,1 | — |
Керосин |
То же | 0,1 | — |
Масло соляровое |
Токсикологический | — | 0,01 |
Нефть высокосернистая |
Органолептический | 0,1 | — |
| Нефть прочная | То же | 0,3 | — |
Нефть и нефтепродукты в растворенном и |
Рыбохозяйственный | — | 0,05 |
| эмульгированном | |||
| состояниях | |||
| Этилен | Органолептический | 0,5 | -— |
Похожие рефераты:
Диагностическое обследование и ремонт нефтепровода
Применение полимерно-металлических труб при сооружении промысловых газонефтепроводов
Строительство резервуарного парка нефтеперерабатывающего завода
Проект реконструкции цеха первичной переработки нефти и получения битума на ОАО «Сургутнефтегаз»
Мировые цены на нефть и их влияние на экономику России
Мировые цены на нефть и их влияние на экономику России
Нефтеперерабатывающий завод "Уфанефтехим" как источник загрязнения среды обитания
Проектирование техологии бурения наклонно-направленной скважины глубиной 1773 м
Методика расследования хищения нефтепродуктов
Мероприятия по интенсификации добычи нефти на Мишкинском нефтяном месторождении
Энергетика ТЭК: Нефть, нефтяная промышленность
СНиП 3-42-80 магистральные трубопроводы
Проектирование дренажей на базе чертежей базы ГП
Подготовки добываемой газо-водонефтяной эмульсии
Нефть: происхождение, состав, методы и способы переработки
Нефтедобывающая и нефтеперерабатывающая промышленность стран СНГ (кроме России)
